Titel Logo
Mitteilungsblatt für die Gemeinde Weimar
Ausgabe 34/2024
Aus dem Rathaus wird berichtet
Zurück zur vorigen Seite
Zurück zur ersten Seite der aktuellen Ausgabe

Bekanntmachung des Aufstellungsbeschlusses gemäß § 2 (1) Satz 2 BauGB und der frühzeitigen Beteiligung der Öffentlichkeit gemäß § 3 (1) BauGB

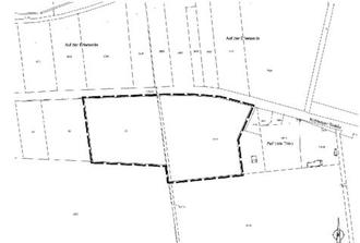
Abgrenzung des Geltungsbereichs des Bebauungsplanes „Freiflächen-Photovoltaik Oberweimar II“ sowie des Änderungsbereichs der parallelen Änderung des Flächennutzungsplanes (ohne Maßstab)

(1)

Die Gemeindevertretung der Gemeinde Weimar (Lahn) hat in ihrer öffentlichen Sitzung am 16.05.2024 gemäß § 2 (1) Satz 2 BauGB die Aufstellung des Bebauungsplanes „Freiflächen-Photovoltaik Oberweimar II“ sowie die parallele Änderung des Flächennutzungsplanes in diesem Bereich beschlossen.

(2)

Geltungsbereich Der ca. 2,5 ha große Geltungsbereich des Bebauungsplanes „Freiflächen-Photovoltaik Oberweimar II“ befindet sich im Westen des Ortsteils Oberweimar und umfasst die Flurstücke 27, in der Gemarkung Oberweimar, Flur 5, und 89/7 tw. und 131/3 tw. in der Gemarkung Oberweimar, Flur 7. Er wird wie folgt abgegrenzt:

-

im Norden durch die angrenzende Straße (Trasse der Bundesstraße B 255 vor Fertigstellung der Ortsumgehung Weimar (Lahn)),

-

im Osten durch die vorhandene Gehölzstruktur und einen Abstand von 36 m zur östlichen Grenze des Flurstücks 89/7 (Flur 7, Gemarkung Oberweimar),

-

im Süden durch die Grenze der Flurstücke 27 (Flur 5, Gemarkung Oberweimar) und 89/7 (Flur 7, Gemarkung Oberweimar),

-

und im Westen durch die Grenze des Flurstücks 27 (Flur 5, Gemarkung Oberweimar).

Die Grenzen des Geltungsbereiches des Bebauungsplanes sind den nachfolgenden Karten zu entnehmen.

(3)

Ziel und Zweck der Planung

Anlass der vorliegenden Planung ist die konkrete Absicht im Westen der Kernstadt der Gemeinde Weimar (Lahn) und des Ortsteils Oberweimar eine Freiflächen-Photovoltaikanlage als ein Baustein auf dem Weg zu einer klimaneutralen Energieversorgung und zur Verringerung der Abhängigkeit von fossilen Energieträgern zu errichten. Entsprechend der beabsichtigten Nutzung wird das Plangebiet daher im Bebauungsplan als „Sonstiges Sondergebiet“ mit der Zweckbestimmung „FreiflächenPhotovoltaikanlage“ gemäß § 11 (2) BauNVO festgesetzt. Auf Ebene des Flächennutzungsplanes soll die Fläche als Sonderbaufläche mit der Zweckbestimmung „Freiflächen-Photovoltaikanlage“ gemäß § 5 (2) Nr. 1 BauGB i. V. m. § 1 (1) Nr. 4 BauNVO dargestellt werden.

(4)

Der Aufstellungsbeschluss für den Bebauungsplan und die Änderung des Flächennutzungsplanes wird hiermit gemäß § 2 (1) Satz 2 BauGB ortsüblich bekanntgemacht.

(5)

Die Aufstellung des Bebauungsplanes erfolgt im zweistufigen Normalverfahren. Gemäß § 8 (2) Satz 1 BauGB sind Bebauungspläne aus den Darstellungen des Flächennutzungsplanes zu entwickeln. Da die Darstellungen des Flächennutzungsplanes der Gemeinde Weimar (Lahn) derzeit noch nicht der Zielsetzung des vorliegenden Bebauungsplanes entsprechen, wird dieser im Parallelverfahren geändert.

(6)

Im Rahmen der frühzeitigen Beteiligung der Öffentlichkeit wird gemäß § 3 (1) BauGB den Bürgerinnen und Bürgern die Gelegenheit gegeben, sich frühzeitig über die allgemeinen Ziele und Zwecke und die voraussichtlichen Auswirkungen der Planung zu informieren; zugleich besteht Gelegenheit zur Äußerung und Erörterung. Hierzu liegen die Planunterlagen (Vorentwurf des Bebauungsplanes „Freiflächen-Photovoltaik Oberweimar II“ sowie der parallelen Änderung des Flächennutzungsplanes (jeweils mit der Begründung)) in der Zeit

vom 28. August 2024 bis einschließlich 27. September 2024

im Rathaus der Gemeinde Weimar (Lahn), Alte Bahnhofstraße 31, 35096 Weimar (Lahn), während der allgemeinen Dienststunden zur Einsichtnahme öffentlich aus. Während dieser Auslegungsfrist kann schriftlich oder zur Niederschrift zu den Planungsabsichten Stellung genommen werden. Die Stellungnahmen können auch, unter Angabe des Bebauungsplanes, per E-Mail (bauleitplanung@igkmeschede.de) abgegeben werden.

(7)

Zusätzlich können die ausliegenden Unterlagen auf der Internetseite der Gemeinde Weimar (Lahn) (https://www.gemeinde-weimar.de/leben-in-weimar/bauen-und-wohnen/bauleitplanung) eingesehen werden.

(8)

Es wird darauf hingewiesen, dass die Vorbereitung und Durchführung von Verfahrensschritten gemäß § 4b BauGB einem Dritten (Planungsbüro) übertragen worden ist.