Titel Logo
Der Gemeindespiegel
Ausgabe 42/2025
Amtliche Bekanntmachungen
Zurück zur vorigen Seite
Zurück zur ersten Seite der aktuellen Ausgabe

Bauleitplanung der Gemeinde Wölfersheim

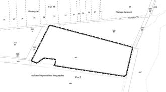
Bebauungsplan "Sondergebiet Erneuerbare Energien - Solar II“

Hier:

Bekanntmachung über die Beteiligung der Öffentlichkeit gemäß § 3 Abs. 2 Baugesetzbuch (BauGB)

Die Gemeindevertretung der Gemeinde Wölfersheim hat in ihrer Sitzung am 30.06.2025 den Entwurfs- und Offenlagebeschluss zum Bebauungsplan "Sondergebiet Erneuerbare Energien - Solar II“ sowie den Beschluss zur Beteiligung der Behörden und Träger öffentlicher Belange gemäß § 4 Abs. 2 BauGB gefasst.

Planziel des Bebauungsplanes ist die Ausweisung eines Sonstigen Sondergebietes gemäß § 11 Abs. 2 Baunutzungsverordnung (BauNVO) mit der Zweckbestimmung „Erneuerbare Energien - Solar“. Die angrenzende Hundewiese soll als Grünfläche gemäß § 9 Abs. 1 Nr. 15 BauGB planungsrechtlich gesichert werden.

Der Geltungsbereich des Bebauungsplanes umfasst eine Teilfläche des Flurstücks 348 in der Flur 2, Gemarkung Wölfersheim mit einer Größe von 30.265 m².

Es wird hiermit gemäß § 3 Abs. 2 BauGB bekannt gemacht, dass der Inhalt dieser Bekanntmachung, der Entwurf des Bebauungsplans bestehend aus Planzeichnung, Textfestsetzungen, Begründung, Umweltbericht und Artenschutzrechtlichem Fachbeitrag sowie die bereits vorliegenden wesentlichen umweltbezogenen Stellungnahmen

vom 20. Oktober 2025 bis einschließlich 21. November 2025

auf der Homepage der Gemeinde Wölfersheim unter der Adresse

www.woelfersheim.de/gemeinde-buergerservice/aktuelles/bauleitplanungen-bebauungsplaene/

veröffentlicht werden.

Ein entsprechender Verweis auf diese Seite erfolgt auch über das zentrale Internetportal Bauleitplanung des Landes Hessen unter

https://bauleitplanung.hessen.de/bebauungsplaene-in-hessen-a-z/v-z.

Gemäß § 3 Abs. 2 Satz 4 BauGB wird bekanntgemacht, dass folgende Arten umweltbezogener Informationen verfügbar sind:

1.

Umweltbericht mit

-

Darstellung und Berücksichtigung der in Fachgesetzen und -plänen festgelegten Ziele des Umweltschutzes

-

Festlegung von Umfang und Detaillierungsgrade der Umweltprüfung

-

Bestandsaufnahme der von der Planung möglicherweise betroffenen Umweltbelange gemäß § 1 Abs. 7 Nr. a-j BauGB

-

Prüfung und Bewertung der voraussichtlichen umweltrelevanten Auswirkungen auf die betroffenen Schutzgüter

-

Beschreibung der geplanten Vermeidungs- und Kompensationsmaßnahmen

-

Nutzungstypenkartierung

-

Bearbeitung der naturschutzrechtlicher Eingriffsregelung.

2.

Artenschutzrechtlicher Planungsbeitrag mit Bestandserfassung der Tiergruppen Vögel und Amphibien, Bewertung der Wirkfaktoren des Vorhabens, Prüfung der Verbotstatbestände sowie Festlegung von Maßnahmen zur Vermeidung und Entwicklung.

3.

Ergebnisbericht Artenschutz (zum Bebauungsplan Solarpark I) mit faunistischer Bestandserhebung von Brut- und Rastvögeln sowie von Reptilien.

4.

Umweltbezogene Stellungnahmen zu folgenden Themen:

-

Pflege der Grünflächen (Naturschutzverbände)

-

Kampfmittel (Kampfmittelräumdienst)

-

Altlasten, Immissionsschutz, Bergbau, Waldflächen (Regierungspräsidium Darmstadt)

-

Pflege der Grünflächen, Starkregen, Altlasten, Modulhöhe (Wetteraukreis).

Es wird darauf hingewiesen,

-

dass Stellungnahmen während der Dauer der Veröffentlichungsfrist abgegeben werden können,

-

dass Stellungnahmen elektronisch übermittelt werden sollen, bei Bedarf aber auch auf anderem Weg (z.B. schriftlich oder zur Niederschrift) abgegeben werden können,

-

dass nicht fristgerecht abgegebene Stellungnahmen bei der Beschlussfassung über den Bauleitplan unberücksichtigt bleiben können,

-

dass während o.g. Frist die Planunterlagen in Papierform im Bürgerbüro der Gemeinde Wölfersheim, Hauptstraße 60, 61200 Wölfersheim zur Einsichtnahme der während allgemeinen Dienststunden (Montag 08:00 bis12:30 Uhr, Dienstag 08:00 bis 12:30 Uhr und 14:00 bis 16:00 Uhr, Mittwoch 08:00 bis 12:30 Uhr, Donnerstag 14:00 bis 18:00 Uhr, Freitag 08:00 bis 12:30 Uhr sowie nach vorheriger Terminvereinbarung Montag 14:00 bis 16:00 Uhr und Donnerstag 08:00 bis 12:30 Uhr) zur Einsichtnahme ausliegen.

Gemäß § 4a Abs. 5 BauGB können Stellungnahmen, die im Verfahren der Öffentlichkeitsbeteiligung nicht rechtzeitig abgegeben worden sind, bei der Beschlussfassung über den Bauleitplan unberücksichtigt bleiben, sofern die Gemeinde deren Inhalt nicht kannte und nicht hätte kennen müssen und deren Inhalt für die Rechtmäßigkeit des Bauleitplans nicht von Bedeutung ist.

Wölfersheim, den 14.10.2025

Der Gemeindevorstand
gez. Eike See, Bürgermeister