Titel Logo
Der Gemeindespiegel
Ausgabe 43/2024
Amtliche Bekanntmachungen
Zurück zur vorigen Seite
Zurück zur ersten Seite der aktuellen Ausgabe

Bauleitplanung der Gemeinde Wölfersheim

Bebauungsplan "Sondergebiet Erneuerbare Energien - Solar II"

Aufstellungsbeschluss gemäß § 2 Abs. 1 BauGB

Die Gemeindevertretung der Gemeinde Wölfersheim hat in Ihrer Sitzung vom 09.07.2024 die Aufstellung des oben genannten Bebauungsplanes beschlossen. Dieser Aufstellungsbeschluss wird hiermit ortsüblich bekannt gemacht.

Sachverhalt:

I. Einleitung

Die Energiewende und der Ausbau erneuerbarer Energien haben hohe Priorität als gesamt­gesellschaftliche Aufgabe. Die Bundesregierung hat im Jahr 2022 den beschleunigten und konsequenten Ausbau der Nutzung erneuerbarer Energien beschlossen und deren Nutzung im Erneuerbare-Energie-Gesetz (EEG) als überragendes öffentliches Interesse verankert. Bis 2030 soll der Anteil der erneuerbaren Energien am Bruttostromverbrauch auf mindestens 80 Prozent steigen, damit sich Deutschland unabhängiger von fossilen Energieimporten macht. Auch das Land Hessen forciert den Ausbau der erneuerbaren Energien und will bis zum Jahr 2045 klimaneutral sein. Der weitere Ausbau der Solarenergie stellt dabei einen wich­tigen Baustein dar.

Die OVAG-Gruppe ist in der Region Oberhessen ein Pionier in der Nutzung regenerativer Energien (Biomasse, Sonnen-, Wind- und Wasserkraft). Im Bereich Photovoltaik beläuft sich der Bestand eigener PV-Dachanlagen auf eine installierte elektrische Leistung von ca. 1,4 Megawatt. In Kooperation mit der Stadt Linden und der Gemeinde Wölfersheim hat die OVAG bereits 2011 und 2012 in Projektgesellschaften auf großen Freiflächen Photovoltaik-Anlagen mit einer Gesamtleistung von rund 12 Megawatt aufgebaut. Aktuell sind zwei wei­tere PV-Freiflächenanlagen mit einer Leistung von je ca. 5,5 MWp bei Münzenberg in der Planung. Da Ökostrom aus Photovoltaikanlagen sowohl auf Gebäuden als auch auf Frei­flächen weitgehend konfliktfrei erzeugt werden kann, ist es erklärtes Ziel der OVAG, zu­künftig dieses sehr große Potenzial zur regenerativen Stromerzeugung noch intensiver zu nutzen.

Seit 2012 betreiben die OVAG und die Gemeinde Wölfersheim in der hierzu gegründeten gemeinsamen Projektgesellschaft, der Wölfersheim-ovag Energie GmbH (WoE), eine Photovoltaik-Freiflächenanlage sowie zwei PV-Dachanlagen im Gebiet der Gemeinde Wölfersheim.

Die PV-Freiflächenanlage der WoE wurde auf einem ehemaligen Kraftwerksgelände auf einer Fläche von rund 10 ha, mit 22.000 Solarmodulen und einer Leistung von 5,3 MWp (Megawattpeak), errichtet. Die planungsrechtliche Grundlage hierfür lieferte der Bebauung­splan „Sondergebiet Erneuerbare Energien - Solar“. 2021 mussten aufgrund eines Material­fehlers neue Module installiert werden. In diesem Zusammenhang wurde die Anlagen­leistung aufgrund der höheren Leistungsfähigkeit der Module um ca. 1,5 MWp erhöht.

Im Zuge des konsequenten Ausbaus der erneuerbaren Energien im Gebiet der Gemeinde Wölfersheim strebt die WoE die Erweiterung der bestehenden PV-Freiflächenanlage um eine Leistung von ca. 1,5 MWp an. Es handelt sich um eine Konversionsfläche aus wirtschaft­licher Nutzung.

II. Umsetzung

Der Bereich des Plangebietes ist derzeit bauplanungsrechtlich als Außenbereich im Sinne von § 35 BauGB zu bewerten. Bislang waren PV-Freiflächenanlagen keine privilegierten Vorhaben im Außenbereich.

Mit dem „Gesetz zur sofortigen Verbesserung der Rahmenbedingungen für die erneuerbaren Energien im Städtebaurecht“ vom 04.01.2023 wurde die Nutzung solarer Strahlungsenergie als privilegierte Nutzung in § 35 Abs. 1 Nr. 8b BauGB aufgenommen; allerdings beschränkt sich die Privilegierung auf Flächen innerhalb einer Entfernung von 200 m längs von Auto­bahnen oder Schienenwegen. Da die geplante Erweiterungsfläche jedoch nicht in einem solchen Gebiet liegt, ist das Baurecht über einen Bebauungsplan zu schaffen.

Da im Regionalplan Südhessen / Regionalen Flächennutzungsplan 2010 in diesem Bereich keine Vorranggebiete festgesetzt sind (Grünfläche „Park“ / Vorbehaltsgebiet für den Grund­wasserschutz) ist ein Zielabweichungsverfahren nicht erforderlich.

Aufgrund der bislang entgegenstehenden Darstellungen ist der Regionale Flächennutzungs­plan im Parallelverfahren zur Aufstellung des Bebauungsplanes teilräumlich entsprechend zu ändern. Die Änderung des Flächennutzungsplans erfolgt im Parallelverfahren gemäß § 8 Abs. 3 BauGB durch den Regionalverband FrankfurtRheinMain.

Planziel des Bebauungsplanes ist die Ausweisung eines Sonstigen Sondergebietes gemäß § 11 Abs. 2 Baunutzungsverordnung (BauNVO) mit der Zweckbestimmung „Erneuerbare Energien - Solar“. Die angrenzende Hundewiese soll als Grünfläche gemäß § 9 Abs. 1 Nr. 15 BauGB planungsrechtlich gesichert werden. Die umgebenden Gehölzflächen sollen als Fläche zum Schutz von Natur und Landschaft (§ 9 Abs. 1 Nr. 20 BauGB) festgesetzt werden. Die Sondergebietsfläche umfasst rund 1,6 ha.

Die Kosten des Verfahrens trägt die WoE. Die WoE hat das Planungsbüro Vollhardt (Marburg) mit der Erarbeitung der erforderlichen Planungsunterlagen beauftragt.

Die Aufstellung des Bebauungsplans erfolgt im zweistufigen Vollverfahren mit Umwelt­prüfung.

Vom beauftragten Planungsbüro wurde ein Vorentwurf erstellt (siehe Anlage), mit dem die frühzeitige Beteiligung der Öffentlichkeit (§ 3 Abs. 1 BauGB) sowie der Behörden und Träger öffentlicher Belange (§ 4 Abs. 1 BauGB) durchgeführt werden sollen.

III. Rechtsgrundlagen

Baugesetzbuch (BauGB) in der Fassung der Bekanntmachung vom 03. November 2017 (BGBl. I S. 3634); zuletzt geändert durch Artikel 3 des Gesetzes vom 20. Dezember 2023 (BGBl. 2023 I Nr. 394)

Verordnung über die bauliche Nutzung der Grundstücke (Baunutzungsverordnung - BauNVO) in der Fassung der Bekanntmachung vom 21. November 2017 (BGBl. I S. 3786); zuletzt geändert durch Artikel 2 des Gesetzes vom 3. Juli 2023 (BGBl. 2023 I Nr. 176)

Verordnung über die Ausarbeitung der Bauleitpläne und die Darstellung des Planinhalts (Planzeichenverordnung - PlanzV) vom 18. Dezember 1990 (BGBl. 1991 I S. 58), zuletzt geändert durch Artikel 3 des Gesetzes vom 14. Juni 2021 (BGBl. I S. 1802)

Bundesnaturschutzgesetz vom 29. Juli 2009 (BGBl. I S. 2542); zuletzt geändert durch Artikel 3 des Gesetzes vom 8. Dezember 2022

Hessische Bauordnung (HBO) vom 28. Mai 2018 (GVBl. S. 198); zuletzt geändert durch Artikel 3 des Gesetzes vom 20. Juli 2023 (GVBl. S. 582)

Hessisches Gesetz zum Schutz der Natur und zur Pflege der Landschaft (Hessisches Naturschutzgesetz - HeNatG) vom 25. Mai 2023; Gesetz- und Verordnungsblatt für das Land Hessen; Nr. 18; 7. Juni 2023.

Gesetz über die Metropolregion Frankfurt / Rhein Main (MetropolG) vom 08. März 2011

Hessiches Landesplanungsgesetz (HLPG) vom 12.Dezember 2012

Beschluss:

Die Gemeindevertretung der Gemeinde Wölfersheim beschließt:

1.

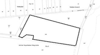
Die Aufstellung des Bebauungsplans „Sondergebiet Erneuerbare Energien - Solar II“ gemäß § 2 Abs. 1 BauGB. Der Geltungsbereich des Bebauungsplans umfasst eine Teilfläche des Flurstücks 348 in der Flur 2, Gemarkung Wölfersheim. Das Bauleitplanverfahren wird im Normalverfahren mit Umweltprüfung durchgeführt.

2.

Die Verwaltung wird beauftragt, den Aufstellungsbeschluss gemäß § 2 Abs. 1 BauGB öffentlich bekannt zu machen.

3.

Weiterhin beschließt die Gemeindevertretung der Gemeinde Wölfersheim beim Regionalverband FrankfurtRheinMain einen Antrag auf parallele Änderung des Regionalen Flächennutzungsplanes zu stellen.

4.

Mit dem vom beauftragten Planungsbüro erstellenden Vorentwurf des Bebauungsplans ist die frühzeitige Beteiligung gemäß § 3 Abs. 1 und § 4 Abs. 1 BauGB durchzuführen.

Eike See
Bürgermeister