Titel Logo
Waldsolmser Nachrichten
Ausgabe 29/2022
Amtliche Bekanntmachung
Zurück zur vorigen Seite
Zurück zur ersten Seite der aktuellen Ausgabe

Bauleitplanung der Gemeinde Waldsolms: Aufstellung des Bebauungsplanes „Fahrrad- und Wanderscheune“, OT Brandoberndorf

Die Gemeindevertretung der Gemeinde Waldsolms hat in ihrer Sitzung am 16.02.2022 die Aufstellung des Bebauungsplanes „Fahrrad- und Wanderscheune“, Ortsteil Brandoberndorf, beschlossen.

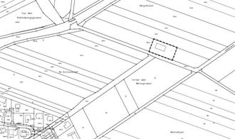
Der Geltungsbereich dieses Bebauungsplanes befindet sich östlich der Cleeberger Straße und nördlich der Straße „Drosselweg“ in ca. 300 m Entfernung zum nordöstlichen Siedlungsrand des Ortsteils Brandoberndorf. Er umfasst in der Gemarkung Brandoberndorf der Gemeinde Waldsolms, Flur 5, das Flurstück 29/1 teilweise mit dem bereits bestehenden Gebäude und einer Größe von 1.805 m².

Geltungsbereich ohne Maßstab

Gegenstand der Bebauungsplanaufstellung ist die Ausweisung eines Sondergebietes zur Schaffung von Baurecht für den Umbau der bereits bestehenden Halle zu einer Fahrrad- und Wanderscheune. Dadurch soll vor allem eine Einkehr- und Übernachtungsmöglichkeit für Aktivurlauber in der Region entstehen. Neben dem Angebot von Gastronomie und Übernachtung sollen auch Wohnmobil-Stellplätze ermöglicht werden.

Zur Beteiligung der Öffentlichkeit gemäß § 3 (1) BauGB wird der Vorentwurf des Bebauungsplanes in der Zeit vom 22.07.2022 bis 29.07.2022 in der Gemeindeverwaltung der Gemeinde Waldsolms, Bauverwaltung, Lindenplatz 1, 35647 Waldsolms-Brandoberndorf, während der Dienststunden (montags bis donnerstags von 7.30 Uhr bis 12.00 Uhr, zus. donnerstags von 15.30 Uhr bis 18.00 Uhr, freitags von 7.00 Uhr bis 12.00 Uhr)) Einsichtnahme ausgelegt. Auf Grund der aktuellen Einschränkungen zur Entschleunigung der Weiterverbreitung des Coronavirus, ist eine Einsichtnahme in der Gemeindeverwaltung nur nach vorheriger Terminabsprache (unter Telefonnummer 06085 – 98 10 13) möglich. Dabei werden die allgemeinen Ziele und Zwecke der Planung und die voraussichtlichen Auswirkungen öffentlich dargelegt. Der Öffentlichkeit wird Gelegenheit zur Äußerung und Erörterung gegeben.

Während der Auslegungsfrist können Stellungnahmen zu dem Vorentwurf von jedermann schriftlich oder zur Niederschrift bei der Gemeindeverwaltung abgegeben werden. Es wird darauf hingewiesen, dass nicht fristgerecht abgegebene Stellungnahmen bei der Beschlussfassung über den Bebauungsplan unberücksichtigt bleiben können. Die zum Bebauungsplan abgegebenen Stellungnahmen werden in öffentlichen Sitzungen beraten und somit personenbezogene Daten, soweit sie für das Verfahren des Bebauungsplanes erforderlich sind, der Gemeindevertretung und mithin der Öffentlichkeit zur Verfügung gestellt. Die einschlägigen personenbezogenen Daten werden gesondert verarbeitet. Die Verarbeitung erfolgt von der übrigen Verwaltung der Gemeinde Waldsolms personell und organisatorisch getrennt. Es erfolgt keine Nutzung dieser personenbezogenen Daten durch eine andere Stelle für andere Verwaltungszwecke oder eine Übermittlung an eine andere Stelle bis auf das beauftragte Planungsbüro.

Die Gemeinde Waldsolms hat gemäß § 4b BauGB für die Vorbereitung und Durchführung von Verfahrensschritten nach den §§ 2a bis 4a BauGB das Planungsbüro Koch aus Aßlar beauftragt.“

Waldsolms, den 15.07.2022

Der Gemeindevorstand
der Gemeinde Waldsolms
gez. Bernd Heine
Bürgmeister