Titel Logo
Amtsblatt VG Herxheim
Ausgabe 3/2023
Amtlicher Teil
Zurück zur vorigen Seite
Zurück zur ersten Seite der aktuellen Ausgabe

Bekanntmachung gemäß § 3 Abs. 2 des Baugesetzbuches (BauGB) zu der Auslegungdes Entwurfes des Bebauungsplanes „Östlicher Altort“ der Ortsgemeinde Herxheim-weyher (Offenlage) im beschleunigten Verfahren (§ 13a i.V.m. § 13 Abs. 2 und 3 Satz 1BauGB)

gemäß § 3 Abs. 2 des Baugesetzbuches (BauGB) zu der Auslegung des Entwurfes des Bebauungsplanes „Östlicher Altort“ der Ortsgemeinde Herxheimweyher (Offenlage) im beschleunigten Verfahren (§ 13a i.V.m. § 13 Abs. 2 und 3 Satz 1 BauGB)

Der Ortsgemeinderat Herxheimweyher hat in seiner Sitzung am 12.11.2020 beschlossen, den Bebauungsplan „Östlicher Altort“ aufzustellen. Die Aufstellung des Bebauungsplanes „Östlicher Altort“ erfolgt im beschleunigten Verfahren (§ 13a i.V.m. § 13 Abs. 2 und 3 Satz 1 BauGB) ohne Durchführung einer Umweltprüfung nach § 2 Abs. 4 BauGB. Der Planbereich umfasst das Gebiet östlich des Knittelsheimer Wegs nördlich und südlich der L493 bis zum östlichen Ortsausgang.

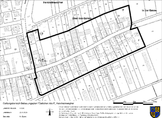
Die Grenzen des Geltungsbereiches des Bebauungsplan-Entwurfes sowie die in den Planbereich einbezogenen Grundstücke sind in dem nachstehenden Lageplan durch eine breite schwarze Linie kenntlich gemacht. Die Gesamtgröße des Gebietes beträgt ca. 3,40 ha.

Der Ortsgemeinderat Herxheimweyher hat in seinen Sitzungen am 05.10.2022 und 29.11.2022 dem Entwurf des Bebauungsplanes zugestimmt und die Auslegung nach § 3 Abs. 2 BauGB beschlossen.

Der Entwurf des Bebauungsplanes „Östlicher Altort“ der Ortsgemeinde Herxheimweyher liegt mit den Textlichen Festsetzungen und der Begründung mit dem Fachbeitrag Naturschutz in der Zeit vom

30.01.2023 bis einschließlich 02.03.2023 bei der Verbandsgemeindeverwaltung Herxheim, Rathaus, Zimmer 3.01, während der üblichen Besuchszeiten (Montag von 8.00 Uhr bis 18.00 Uhr, Dienstag, Donnerstag und Freitag von 8.00 Uhr bis 12.00 Uhr und Donnerstag zusätzlich von 12.00 Uhr bis 16.00 Uhr) zu jedermanns Einsicht öffentlich aus. Aufgrund von Corona-Einschränkungen ist die Einsichtnahme in die Unterlagen nur nach vorheriger telefonischer Terminvereinbarung (Tel.: 07276/501-0) möglich.

Die Unterlagen können auch auf der Homepage der Verbandsgemeinde Herxheim unter dem Link www.vg-herxheim.de/bekanntmachungen eingesehen bzw. heruntergeladen werden und sind zusätzlich über das Zentrale Internetportal des Landes Rheinland-Pfalz

(www.geoportal.rlp.de) zugänglich.

Anregungen oder Bedenken (Stellungnahmen) zum Entwurf des Bebauungsplanes „Östlicher Altort“ können schriftlich oder zur Niederschrift bei der Verbandsgemeindeverwaltung, 76863 Herxheim, Obere Hauptstraße 2, Zimmer 3.01, vorgebracht werden.

Gemäß § 3 Abs. 2 Satz 2 Halbsatz 2 BauGB wird darauf hingewiesen, dass

-

Stellungnahmen während der Auslegungsfrist abgegeben werden können und

-

nicht fristgerecht abgegebene Stellungnahmen bei der Beschlussfassung über den Bebauungsplan unberücksichtigt bleiben können.

Herxheimweyher, den 10.01.2023
Dr. Markus Müller, Ortsbürgermeister