Titel Logo
Amtsblatt VG Herxheim
Ausgabe 35/2022
Amtlicher Teil
Zurück zur vorigen Seite
Zurück zur ersten Seite der aktuellen Ausgabe

Bekanntmachung

gemäß § 3 Abs. 2 des Baugesetzbuches (BauGB) zu der Auslegung des Entwurfes des Bebauungsplanes „Panzergraben-Süd, Neuaufstellung“ der Ortsgemeinde Herxheim (Offenlage) im beschleunigten Verfahren (§ 13a i.V.m. § 13 Abs. 2 und 3 Satz 1 BauGB)

Der Ortsgemeinderat Herxheim hat in seiner Sitzung am 09.12.2021 beschlossen, den Bebauungsplan „Panzergraben-Süd, Neuaufstellung“ aufzustellen. Die Aufstellung des Bebauungsplanes „Panzergraben-Süd, Neuaufstellung“ erfolgt im beschleunigten Verfahren (§ 13a i.V.m. § 13 Abs. 2 und 3 Satz 1 BauGB) ohne Durchführung einer Umweltprüfung nach § 2 Abs. 4 BauGB. Der Planbereich umfasst das gesamte Plangebiet des bestehenden Bebauungsplanes „Panzergraben-Süd“.

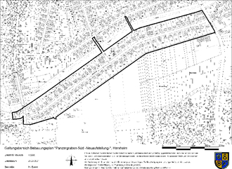
Die Grenzen des Geltungsbereiches des Bebauungsplan-Entwurfes sowie die in den Planbereich einbezogenen Grundstücke sind in dem nachstehenden Lageplan durch eine breite schwarze Linie kenntlich gemacht. Die Gesamtgröße des Gebietes beträgt ca. 6,80 ha.

Der Ortsgemeinderat Herxheim hat in seiner Sitzung am 21.07.2022 dem Entwurf des Bebauungsplanes zugestimmt und die Auslegung nach § 3 Abs. 2 BauGB beschlossen.

Der Entwurf des Bebauungsplanes „Panzergraben-Süd, Neuaufstellung“ der Ortsgemeinde Herxheim liegt mit den Textlichen Festsetzungen und der Begründung mit Artenschutzrechtlicher Vorprüfung und Vorprüfungen des Einzelfalles nach BauGB und nach UVPG in der Zeit vom

12.09.2022 bis einschließlich 13.10.2022

bei der Verbandsgemeindeverwaltung Herxheim, Rathaus, Zimmer 3.01, während der üblichen Besuchszeiten (Montag von 8.00 Uhr bis 18.00 Uhr, Dienstag, Donnerstag und Freitag von 8.00 Uhr bis 12.00 Uhr und Donnerstag zusätzlich von 12.00 Uhr bis 16.00 Uhr) zu jedermanns Einsicht öffentlich aus. Aufgrund der Corona-Einschränkungen ist die Einsichtnahme in die Unterlagen nur nach vorheriger telefonischer Terminvereinbarung (Tel.: 07276/501-0) möglich.

Die Unterlagen können auch auf der Homepage der Verbandsgemeinde Herxheim unter dem Link www.vg-herxheim.de/bekanntmachungen eingesehen bzw. heruntergeladen werden und sind zusätzlich über das Zentrale Internetportal des Landes Rheinland-Pfalz (www.geoportal.rlp.de) zugänglich.

Anregungen oder Bedenken (Stellungnahmen) zum Entwurf des Bebauungsplanes „Panzergraben-Süd, Neuaufstellung“ können schriftlich oder zur Niederschrift bei der Verbandsgemeindeverwaltung 76863 Herxheim, Obere Hauptstraße 2, Zimmer 3.01, vorgebracht werden.

Gemäß § 3 Abs. 2 Satz 2 Halbsatz 2 BauGB wird darauf hingewiesen, dass

-

Stellungnahmen während der Auslegungsfrist abgegeben werden können und

-

nicht fristgerecht abgegebene Stellungnahmen bei der Beschlussfassung über den Bebauungsplan unberücksichtigt bleiben können.

Herxheim, den 29.08.2022
Hedi Braun, Ortsbürgermeisterin