Titel Logo
Amtsblatt VG Herxheim
Ausgabe 36/2022
Amtlicher Teil
Zurück zur vorigen Seite
Zurück zur ersten Seite der aktuellen Ausgabe

Bekanntmachung des Satzungsbeschlusses der 5. Änderung des Bebauungsplanes „Süd-West“ der Ortsgemeinde Herxheim gemäß § 10 Abs. 3 des Baugesetzbuches (BauGB)

Der Ortsgemeinderat Herxheim hat gemäß § 10 Abs. 1 BauGB in seiner Sitzung am 21.07.2022 die 5. Änderung des Bebauungsplanes „Süd-West“ mit den Textlichen Festsetzungen sowie der Begründung aufgrund der §§ 2 Abs. 1 und 10 BauGB in Verbindung mit § 24 der Gemeindeordnung Rheinland-Pfalz als Satzung beschlossen. Gleichzeitig hat der Ortsgemeinderat den Satzungsbeschluss vom 12.10.1989 aufgehoben.

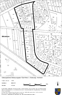
Der räumliche Geltungsbereich der 5. Änderung des Bebauungsplanes ist in dem nachfolgenden Planausschnitt durch eine breite schwarze Linie kenntlich gemacht und im Wesentlichen wie folgt abgegrenzt:

Bereich südlich der „Oberen Hauptstraße“ (L493) westlich der Straße „Südring“ bis zur Einmündung der „Albert-Detzel-Straße“. Die Westseite des Geltungsbereichs wird durch den Ortsrand abgegrenzt.

Die Ausfertigung durch die Ortsbürgermeisterin erfolgte am 26.08.2022. Gemäß § 10 Abs. 3 BauGB wird der Beschluss des vorgenannten Bebauungsplanes der Ortsgemeinde Herxheim hiermit bekannt gemacht.

Mit dieser Bekanntmachung tritt die 5. Änderung des Bebauungsplanes „Süd-West“ in Kraft. Der Bebauungsplan mit den Textlichen Festsetzungen und der Begründung kann während der Dienststunden der Verbandsgemeindeverwaltung Herxheim bei dem Fachbereich Bauen und Umwelt im Rathaus, Zimmer 3.01 (3. Obergeschoss), von jedermann eingesehen werden. Über den Inhalt wird auf Verlangen Auskunft gegeben.

Die Unterlagen können auch auf der Homepage der Verbandsgemeinde Herxheim unter dem Link www.vg-herxheim.de/bekanntmachungen eingesehen bzw. heruntergeladen werden.

Es wird auf folgende Bestimmungen des Baugesetzbuches hingewiesen:

1.

Nach § 44 Abs. 3 und 4 BauGB kann ein Entschädigungsberechtigter Entschädigung verlangen, wenn die in den §§ 39 bis 42 BauGB bezeichneten Vermögensnachteile eingetreten sind. Der Entschädigungsberechtigte kann die Fälligkeit des Anspruchs dadurch herbeiführen, dass er die Leistung der Entschädigung schriftlich bei dem Entschädigungspflichtigen beantragt. Ein Entschädigungsanspruch erlischt, wenn nicht innerhalb von 3 Jahren nach Ablauf des Kalenderjahres, in dem die vorbezeichneten Vermögensnachteile eingetreten sind, die Fälligkeit des Anspruchs herbeigeführt wird.

2.

Nach § 215 BauGB werden

1. eine nach § 214 Abs. 1 Satz 1 Nr. 1 bis 3 BauGB beachtliche Verletzung der dort bezeichneten Verfahrens- und Formvorschriften,

2. eine unter Berücksichtigung des § 214 Abs. 2 BauGB beachtliche Verletzung der Vorschriften über das Verhältnis des Bebauungsplanes zum Flächennutzungsplan und

3. nach § 214 Abs. 3 Satz 2 BauGB beachtliche Mängel des Abwägungsvorgangs

unbeachtlich, wenn sie nicht innerhalb eines Jahres seit Bekanntmachung des Bebauungsplanes gegenüber der Gemeinde unter Darlegung des die Verletzung begründenden Sachverhalts geltend gemacht worden sind. Dies gilt entsprechend, wenn Fehler nach § 214 Abs. 2a beachtlich sind.

Weiterhin wird auf die örtlichen Bauvorschriften, die als Festsetzungen in den Bebauungsplan aufgenommen wurden, gemäß § 88 Abs. 6 LBauO hingewiesen.

Außerdem wird auf die Bestimmungen des § 24 Abs. 6 Gemeindeordnung für Rheinland-Pfalz (GemO) hingewiesen, wonach Satzungen, die unter Verletzung von Verfahrens- und Formvorschriften zustande gekommen sind, ein Jahr nach der Bekanntmachung als von Anfang an gültig zustande gekommen gelten. Dies gilt nicht, wenn

1. die Bestimmungen über die Öffentlichkeit der Sitzung, die Genehmigung, die Ausfertigung oder die Bekanntmachung der Satzung verletzt worden sind, oder

2. vor Ablauf der in Satz 1 genannten Frist die Aufsichtsbehörde den Beschluss beanstandet oder jemand die Verletzung der Verfahrens- oder Formvorschriften gegenüber der Verbandsgemeindeverwaltung Herxheim, 76863 Herxheim, Rathaus, Obere Hauptstraße 2, unter Bezeichnung des Sachverhaltes, der die Verletzung begründen soll, schriftlich geltend gemacht hat.

Hat jemand eine Verletzung nach § 24 Abs. 6 Satz 2 Nr. 2 GemO geltend gemacht, so kann auch nach Ablauf der in § 24 Abs. 6 Satz 1 GemO genannten Frist jedermann diese Verletzung geltend machen.

Herxheim, den 29.08.2022
Hedi Braun, Ortsbürgermeisterin