Titel Logo
Amtsblatt VG Herxheim
Ausgabe 45/2022
Amtlicher Teil
Zurück zur vorigen Seite
Zurück zur ersten Seite der aktuellen Ausgabe

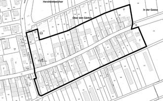
Bericht zur Sitzung des Ortsgemeinderats Herxheimweyher am 26.10.2022

Der Ortsgemeinderat beschließt die Verlängerung der Veränderungssperre „Östlicher Altort“ um ein Jahr als Satzung für folgenden Geltungsbereich:

Die ausführliche Sach- und Rechtslage zum gefassten Beschluss und die zugehörigen Anlagen können Sie im Ratsinformationssystem der Verbandsgemeinde Herxheim im Internet unter https://herxheim.more-rubin1.de abrufen. Navigieren Sie hierzu über „Kalender“ zur Sitzung oder suchen Sie über die „Recherche“.