Titel Logo
Amtsblatt VG Herxheim
Ausgabe 51/2022
Amtlicher Teil
Zurück zur vorigen Seite
Zurück zur ersten Seite der aktuellen Ausgabe

Bekannt03_Offenlage

gemäß § 4a Abs. 3 i.V.m. § 3 Abs. 2 des Baugesetzbuches (BauGB) zu der Erneuten Auslegung des Entwurfes der 2. Änderung/Erweiterung des Bebauungsplanes „In den Kieseläckern“ der Ortsgemeinde Herxheimweyher (Erneute Offenlage)

Der Ortsgemeinderat Herxheimweyher hat in seiner Sitzung am 20.06.2018 beschlossen, den am 27.08.2003 als Satzung beschlossenen und am 07.05.2004 im Mitteilungsblatt der Verbandsgemeinde Herxheim öffentlich bekannt gemachten Bebauungsplan „In den Kieseläckern, 1. Änderung“ zu erweitern (2. Änderung/Erweiterung). Der Erweiterungsbereich umfasst das Gebiet westlich des bestehenden Bebauungsplanes „In den Kieseläckern, 1. Änderung“.

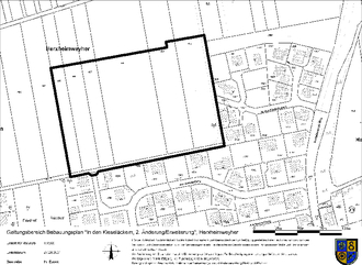
Die Grenzen des Geltungsbereiches des Bebauungsplan-Entwurfes sowie die in den Planbereich einbezogenen Grundstücke sind in dem nachstehenden Lageplan durch eine breite schwarze Linie kenntlich gemacht. Die Gesamtgröße des Gebietes beträgt ca. 2,17 ha.

Die Frühzeitige Öffentlichkeitsbeteiligung (§ 3 Abs. 1 BauGB) sowie die Frühzeitige Beteiligung der Behörden und sonstigen Träger öffentlicher Belange (§ 4 Abs. 1 BauGB) wurde im Oktober/November 2019 durchgeführt. Über die im Rahmen der Öffentlichkeitsbeteiligung und Beteiligung der Behörden und sonstigen Träger öffentlicher Belange eingegangenen Stellungnahmen hat der Ortsgemeinderat Herxheimweyher in seiner Sitzung am 04.02.2020 beraten und beschlossen.

Der Ortsgemeinderat Herxheimweyher hat in seiner Sitzung am 13.07.2021 dem Entwurf des Bebauungsplanes zugestimmt und die Auslegung nach § 3 Abs. 2 BauGB beschlossen.

Der Entwurf der 2. Änderung/Erweiterung des Bebauungsplanes „In den Kieseläckern“ der Ortsgemeinde Herxheimweyher hat mit den Textlichen Festsetzungen und der Begründung mit Fachbeitrag Naturschutz und Umweltbericht sowie den bereits vorliegenden umweltbezogenen Informationen in der Zeit vom 13.09.2021 bis einschließlich 12.10.2021 bei der Verbandsgemeindeverwaltung Herxheim zu jedermanns Einsicht öffentlich ausgelegen. Gleichzeitig ist die Beteiligung der Behörden und sonstigen Träger öffentlicher Belange erfolgt.

Der Ortsgemeinderat Herxheimweyher hat in seiner Sitzung am 02.11.2021 über die im Rahmen der Offenlage und der Beteiligung der Behörden und sonstigen Träger öffentlicher Belange eingegangenen Stellungnahmen beraten und Änderungen des Entwurfs des Bebauungsplanes beschlossen. In seiner Sitzung am 29.11.2022 hat der Ortsgemeinderat Herxheimweyher dem Entwurf des Bebauungsplanes zugestimmt und die Erneute Auslegung nach § 3 Abs. 2 BauGB beschlossen.

Der Entwurf der 2. Änderung/Erweiterung des Bebauungsplanes „In den Kieseläckern“ der Ortsgemeinde Herxheimweyher liegt mit den Textlichen Festsetzungen und der Begründung mit Fachbeitrag Naturschutz und Umweltbericht in der Zeit vom 02.01.2023 bis einschließlich 02.02.2023 bei der Verbandsgemeindeverwaltung Herxheim, Rathaus, Zimmer 3.01, während der üblichen Besuchszeiten (Montag von 8.00 Uhr bis 18.00 Uhr, Dienstag, Donnerstag und Freitag von 8.00 Uhr bis 12.00 Uhr und Donnerstag zusätzlich von 12.00 Uhr bis 16.00 Uhr) zu jedermanns Einsicht erneut öffentlich aus. Aufgrund der Corona-Einschränkungen ist die Einsichtnahme in die Unterlagen nur nach vorheriger telefonischer Terminvereinbarung (Tel.: 07276/501-0) möglich. Auf die Möglichkeit der Einsichtnahme in die Unterlagen auf elektronischem Wege wird ausdrücklich hingewiesen.

Die Unterlagen können auch auf der Homepage der Verbandsgemeinde Herxheim unter dem Link www.vg-herxheim.de/bekanntmachungen eingesehen bzw. heruntergeladen werden und sind zusätzlich über das Zentrale Internetportal des Landes Rheinland-Pfalz (www.geoportal.rlp.de) zugänglich.

Bestandteil der ausgelegten Unterlagen sind auch die bereits vorliegenden umweltbezogenen Informationen. Neben dem Planentwurf sind folgende Dokumente verfügbar, die umweltbezogene Informationen enthalten:

Umweltbericht mit Aussagen zur Planung und möglichen Betroffenheit von Menschen, Tieren und Pflanzen, der biologischen Vielfalt und des Artenschutzes, Boden, Wasser, Klima, Landschaftsbild und Erholung, sowie von Kultur- und Sachgütern und deren jeweiligen Wechselwirkungen. Zudem Beschreibung von Maßnahmen zur Vermeidung, Verringerung und zum Ausgleich der nachteiligen Auswirkungen auf die vorgenannten Schutzgüter.

Fachbeitrag Naturschutz mit Aussagen zum Umweltzustand des Plangebiets, einschließlich einer Bewertung. Außerdem Beschreibung der Naturpotenziale mit Wirkungsprognose sowie Eingriffs- und Ausgleichsbilanzierung.

Artenschutz-Verträglichkeitsuntersuchung nach § 44 BNatSchG mit Aussagen zu den vom Vorhaben betroffenen Biotop- und Habitatstrukturen und der vorhabenbedingten Betroffenheit von planungsrelevanten Arten sowie der auf dieser Basis zu ergreifenden Maßnahmen.

In den vorgenannten Unterlagen werden Informationen zu folgenden Themenblöcken gegeben:

Umweltbezogene Informationen zum Schutzgut Mensch/Gesundheit

Angaben zu Lärmimmissionen im Bestand (Straßenverkehr L 493).

- Enthalten in der Begründung und im Umweltbericht.

Angaben zur Radonprognose.

- Enthalten im Umweltbericht und in den Planungsrechtlichen Festsetzungen (Hinweise).

Umweltbezogene Informationen zum Schutzgut Pflanzen/Tiere/Biologische Vielfalt

Angaben zu vorhandenen Tier- und Pflanzenarten, potenziell natürliche Vegetation, Biotopen im Umfeld.

- Enthalten in der Begründung, Umweltbericht und Artenschutzgutachten.

Umweltbezogene Informationen zum Schutzgut Boden/Fläche

Angaben zu Bodengüte, Bodenfunktionen, Altlasten und Versiegelungen.

- Enthalten in der Begründung und im Umweltbericht.

Umweltbezogene Informationen zum Schutzgut Wasser

Angaben zum Grundwasser, Oberflächengewässer und Wasserspeichervermögen.

- Enthalten in der Begründung und im Umweltbericht.

Umweltbezogene Informationen zum Schutzgut Klima/Luft

Angaben zu Hauptwindrichtung, klimaökologische Bedeutung, Kaltluftentstehungsflächen und Klimaschutzfunktionen.

- Enthalten in der Begrünung und im Umweltbericht.

Umweltbezogene Informationen zum Schutzgut Landschaftsbild/Erholung

Angaben zum Landschaftsraum und Erholungsfunktion.

- Enthalten in der Begründung und im Umweltbericht.

Umweltbezogene Informationen zum Schutzgut Kultur- und Sachgüter

Angaben zu Bau- und Bodendenkmälern.

- Enthalten in der Begründung, im Umweltbericht und in den Planungsrechtlichen Festsetzungen (Hinweise).

Im Rahmen der öffentlichen Auslegung und der Beteiligung der Behörden und sonstiger Träger öffentlicher Belange wurden folgende Stellungnahmen abgegeben, die umweltrelevante Informationen enthalten:

Nr.

Träger öffentlicher Belange

Thematischer Bezug

1

Landesbetrieb Mobilität (LBM)
13.09.2021

§ Hinweis auf Landesstraße in 170 m Entfernung.

2

Forstamt Haardt
07.10.2021

§ Hinweis, dass die geplante Ausgleichsfläche als naturschutzrechtlicher Ausgleich aus dem Öko-Konto ausgebucht werden kann. Anderen Maßnahmen aus der planmäßigen Forstwirtschaft wird nicht zugestimmt.

§

3

Verbandsgemeinde Herxheim – Beitragsstelle (FB5)
29.09.2021

§ Hinweis, dass die Zuordnung der Maßnahme 1, die sich innerhalb des Geltungsbereichs befindet, noch erfolgen muss.

4

Verbandsgemeindewerke Herxheim (FB4)
11.10.2021

§ Hinweis, dass das Regenrückhaltebecken eine Rückhaltungs- und Versickerungsfläche ist.

§ Hinweis auf die Ableitung/Verwertung des Außengebietswassers.

§ Hinweis, dass der Versiegelungsgrad der Grundstücke kleiner als 60% festgelegt werden sollte.

§ Es sollte geprüft werden, ob ausreichend Flächen zur Schaffung von Rückhaltevolumen für das Außengebietswasser im nördlichen Bereich zur Verfügung stehen.

§ Hinweis, dass Baumpflanzflächen nicht im Bereich der Leitungstrassen liegen sollen.

§ Hinweis, dass für die entwässerungstechnische Erschließung die Verbandsgemeindewerke zuständig sind.

5

Struktur- und Genehmigungsdirektion Süd, Regionalstelle Wasserwirtschaft, Abfallwirtschaft, Bodenschutz
07.10.2021

§ Niederschlagswasserkonzept ist rechtzeitig mit SGD Süd abzustimmen.

§ Hinweis auf Starkregen/Hochwasserschutz.

§ Hinweis auf Geothermische Nutzung.

Anregungen oder Bedenken (Stellungnahmen) zum Entwurf der 2. Änderung/Erweiterung des Bebauungsplanes „In den Kieseläckern“ können schriftlich oder zur Niederschrift bei der Verbandsgemeindeverwaltung 76863 Herxheim, Obere Hauptstraße 2, Zimmer 3.01, vorgebracht werden.

Gemäß § 3 Abs. 2 Satz 2 Halbsatz 2 BauGB wird darauf hingewiesen, dass

-

Stellungnahmen während der Auslegungsfrist abgegeben werden können und

-

nicht fristgerecht abgegebene Stellungnahmen bei der Beschlussfassung über den Bebauungsplan unberücksichtigt bleiben können.

Herxheimweyher, den 15.12.2022
(Dr. Markus Müller)
Ortsbürgermeister