Titel Logo
Heusweiler Wochenpost
Ausgabe 50/2022
Amtlicher Teil
Zurück zur vorigen Seite
Zurück zur ersten Seite der aktuellen Ausgabe

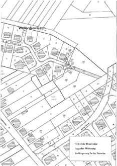
Widmung der Verlängerung der Straße In der Neuwies

Gemäß Beschluss des Gemeinderates der Gemeinde Heusweiler vom 24.11.2022 wird die Verlängerung der Straße In der Neuwies im Ortsteil Wahlschied der Gemeinde Heusweiler (Gemarkung Wahlschied, Flur 4, Flurstücksnummern 215/24, 203/9 und 200/6) hiermit gemäß § 6 Saarländisches Straßengesetz (SStrG) in der zurzeit geltenden Fassung als Gemeindestraße dem öffentlichen Verkehr gewidmet.

Ein entsprechender Lageplan ist beigefügt.

Rechtsbehelfsbelehrung

Gegen diese Allgemeinverfügung kann gemäß § 70 der Verwaltungsgerichtsordnung (VwGO) in der zurzeit geltenden Fassung Widerspruch erhoben werden. Der Widerspruch ist innerhalb eines Monats, nachdem die Allgemeinverfügung bekannt gegeben worden ist, schriftlich oder zur Niederschrift bei der Gemeinde Heusweiler, Saarbrücker Straße 35, 66265 Heusweiler, zu erheben. Die Frist wird auch durch Einlegung des Widerspruchs beim Rechtsausschuss für den Regionalverband Saarbrücken, Europaallee 11, 66113 Saarbrücken, gewahrt (§ 70 Abs. 1 Satz 2 VwGO).

Heusweiler, 05.12.2022
Thomas Redelberger, Bürgermeister