Titel Logo
Der Gemeindespiegel (Breuna)
Ausgabe 39/2024
Amtliche Bekanntmachungen
Zurück zur vorigen Seite
Zurück zur ersten Seite der aktuellen Ausgabe

Amtliche Bekanntmachungen

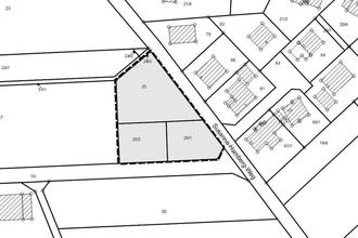
Übersichtsplan zur Lage der räumlichen Geltungsbereiche der verfahrensgegenständlichen Bauleitpläne im südöstlichen Siedlungskörper von Breuna mit Anstoßfunktion, genordet, ohne Maßstab (eigene Darstellung auf der Basis von GeoBasis-DE / BKG [2023])

Abgrenzung der räumlichen Geltungsbereiche der verfahrensgegenständlichen Bauleitpläne in der Gemarkung Breuna, Flur 21, genordet, ohne Maßstab

Der Gemeindevorstand

der Gemeinde Breuna — 34479 Breuna, den 24.09.2024

AZ: 51.51110.01.03 / 00130768

Bauleitplanung der Gemeinde Breuna

Änderung des Flächennutzungsplanes für das Gebiet „Hinterm Totenhof“ in der Gemeinde Breuna und Aufstellung des vorhabenbezogenen Bebauungsplanes Nr. 29 „Wohnbauliche Erweiterung Hinterm Totenhof“, Gemarkung Breuna

Bekanntmachung der Aufstellungs- und Einleitungsbeschlüsse nach § 2 Abs. 1 Baugesetzbuch (BauGB)

Bekanntmachung des Aufstellungs- und Einleitungsbeschlüsse nach § 2 Abs. 1 Baugesetzbuch (BauGB):

Die Gemeindevertretung der Gemeinde Breuna hat in der 23. Sitzung am 24. September 2024 die Beschlüsse gefasst, in die Verfahren zur Änderung des Flächennutzungsplanes „Hinterm Totenhof“ und zur Aufstellung des Bebauungsplanes Nr. 29 „Wohnbauliche Erweiterung Hinterm Totenhof“ einzutreten.

Die Beschlüsse werden hiermit gem. § 2 Abs. 1 BauGB öffentlich bekanntgemacht.

Mit den Bauleitplänen im Bereich „Hinterm Totenhof“ beabsichtigt die Gemeinde Breuna die für die Bebauung vorgesehenen Flächen nach der allgemeinen Art der baulichen Nutzung (Bauflächen) als „Wohnbauflächen“ darzustellen und nach der besonderen Art der baulichen Nutzung (Baugebiete) als „Allgemeines Wohngebiet“ (vgl. § 4 BauNVO) planungsrechtlich festzusetzen. Mit der Festsetzung beabsichtigt die Gemeinde einen Teil der erforderlichen Baugebietsflächen im direkten Siedlungszusammenhang bereitzuhalten und gleichzeitig den Wohnbedürfnissen der Bevölkerung Rechnung zu tragen, indem die wohnbauliche Siedlungsentwicklung im Ortsteil Breuna unter Wahrung kommunaler und öffentlicher Interessen gefördert wird.

Breuna, den 24.09.2024
Der Gemeindevorstand der Gemeinde Breuna
gez. Jens Wiegand
Bürgermeister