Titel Logo
Der Gemeindespiegel (Breuna)
Ausgabe 40/2025
Amtliche Bekanntmachungen
Zurück zur vorigen Seite
Zurück zur ersten Seite der aktuellen Ausgabe

Amtliche Bekanntmachungen Änderung des Flächennutzungsplanes

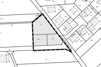
Lageplan zur Abgrenzung des räumlichen Geltungsbereiches I, genordert, ohne Maßstab, Gemarkung Breuna, Flur 21, Flurstücke 26/1, 26/2, 25 und Teile aus 53

Lageplan zur Abgrenzung des räumlichen Geltungsbereiches II, genordert, ohne Maßstab, Gemarkung Volkmarsen, Flur 40, Teile aus Flurstück 7

Bauleitplanung der Gemeinde Breuna

2. Änderung des Flächennutzungsplanes für das Gebiet „Hinterm Totenhof“ in der Gemeinde Breuna und Aufstellung des Bebauungsplanes Nr. 29 „Wohnbauliche Erweiterung Hinterm Totenhof“, Gemarkung Breuna

Bekanntmachung der formellen Beteiligung der Öffentlichkeit gem. § 3 Abs. 2 BauGB

Die Gemeindevertretung der Gemeinde Breuna hat in ihrer Sitzung am 01. Juli 2025 den Beschluss gefasst, in die Verfahren zur 2. Änderung des Flächennutzungsplanes für das Gebiet „Hinterm Totenhof“ in der Gemeinde Breuna und zur Aufstellung des Bebauungsplanes Nr. 29 „Wohnbauliche Erweiterung Hinterm Totenhof“, Gemarkung Breuna einzutreten. Die frühzeitige Unterrichtung der Öffentlichkeit gem. § 3 Absatz 1 BauGB sowie der Behörden und sonstigen Träger öffentlicher Belange gem. § 4 Absatz 2 BauGB hat in der Zeit vom 26. Mai 2025 bis zum 23. Juni 2025 stattgefunden.

Die Entwürfe der Bauleitplanung, jeweils bestehend aus der Planzeichnung, der Begründung, dem Umweltbericht und die nach Einschätzung der Gemeinde wesentlichen, bereits vorliegenden umweltbezogenen Stellungnahmen können nun für die Dauer von

Montag, 06. Oktober 2025 bis einschließlich

Freitag, 07. November 2025

auf der Internetseite der Gemeinde Breuna http://www.breuna.de/leben-und-wohnen/wohnen-oeffentliche-einrichtungen/bauplaetze-und-bebauungsplaene/bauleitplanung/ eingesehen und heruntergeladen werden.

Während der Dauer der Veröffentlichungsfrist kann sich jede Person über die allgemeinen Ziele und Zwecke sowie die wesentlichen Auswirkungen der Planung unterrichten. Während dieser Frist können Stellungnahmen beim Gemeindevorstand der Gemeinde Breuna, Sachgebiet Bau- und Liegenschaftsamt, Volkmarser Straße 3, 34479 Breuna schriftlich abgegeben oder Anregungen nach vorheriger Terminabsprache per Mail unter: ralf.hartmann@breuna.de oder unter der Rufnummer 05693 9898 - 13 zur Niederschrift gebracht werden.

Es wird darauf hingewiesen, dass nicht fristgerecht abgegebene Stellungnahmen bei der Beschlussfassung über den Bauleitplan unberücksichtigt bleiben können.

Die Auslegung der Planunterlagen in Papierform im Verwaltungsgebäude der Gemeinde Breuna, Volkmarser Straße 3, Sachgebiet Bau- und Liegenschaftsamt, 34479 Breuna während der Dienstzeiten

montags bis freitags von 08:00 Uhr bis 12:00 Uhr

montags und dienstags von 14:00 Uhr bis 15:00 Uhr

und donnerstags von 14:00 Uhr bis 18:00 Uhr

erfolgt als eine die Veröffentlichung im Internet ergänzende, leicht zu erreichende Zugangsmöglichkeit. Informationen und Erörterung zur Planung erhalten Sie nach vorheriger Terminabsprache per Mail unter: ralf.hartmann@breuna.de oder unter der Rufnummer 05693 9898 - 13.

Räumlicher Umfang

Das verfahrensgegenständliche Plangebiet besteht aus zwei Geltungsberiechen. Geltungsbereich I befindet sich am südöstlichen Ortsrand von Breuna und umfasst die Entwicklungsabsichten der Gemeinde Breuna. Geltungsbereich II umfasst die Ausgleichsmaßnahme des verbindlichen Bauleitplanes. Der Geltungsbereich der. Änderung des Flächennutzungsplanes ist deckungsgleich mit dem Geltungsbereich I.

Übersichtsplan zur Einordnung der Lage der räumlichen Geltungsbereiche, genordet, ohne Maßstab

Anlass, Ziel und Zweck der Planung

Die Gemeinde Breuna, in unmittelbarer Nähe zur nordhessischen Stadt Kassel gelegen, verzeichnet aufgrund ihrer vorteilhaften Lage zum Oberzentrum eine steigende Nachfrage nach Grundstücken für wohnbauliche Zwecke. Um diesem Bedarf gerecht zu werden und die Schaffung neuen Wohnraums zu ermöglichen, plant die Gemeinde die rechtliche Sicherung von Flächen für wohnbauliche Nutzungen für die heimische Bevölkerung und für Hinzuziehende.

Im Rahmen der wohnbaulichen Entwicklung des Ortsteils Breuna wurden Potentialräume ermittelt. Bei der verfahrensgegenständlichen Fläche handelt es sich um eine Fläche hinter dem Friedhof, die derzeit als private Gartenanlage genutzt wird. Diese Fläche soll zukünftig als Erweiterung des bestehenden allgemeinen Wohngebietes "Hinterm Totenhof" dienen, welches sich auf der gegenüberliegenden Straßenseite des „Susanne-Hamberg-Weges“ befindet. Diese Entwicklung zielt darauf ab, das Wohnraumangebot in Breuna zu erweitern und den wachsenden Bedürfnissen an Wohnraum in der Gemeinde gerecht zu werden ohne die technische oder verkehrliche Infrastruktur ausbauen zu müssen.

Hinweise:

Der Inhalt der Bekanntmachung und die Planunterlagen können zudem über das zentrale Internetportal des Landes www.bauleitplanung.hessen.de eingesehen werden. Auch Kinder und Jugendliche sind Teil der Öffentlichkeit. Den Beteiligten wird nach Prüfung der vorgebrachten Anregungen das Ergebnis der Entscheidung mitgeteilt. Es wird darauf hingewiesen, dass die Vorbereitung und Durchführung von Verfahrensschritten gemäß § 4b Baugesetzbuch einem Dritten (Planungsbüro) übertragen worden ist.

Hinweise auf umweltbezogene Informationen

Zu den ausgelegten Unterlagen gehören auch folgende umweltbezogene Informationen:

Umweltbericht gemäß § 2a BauGB mit integrierter Umweltprüfung nach § 2 Abs. 4 BauGB – insbesondere zu den Schutzgütern Fläche, Boden, Wasser, Klima/Luft, Pflanzen, Tiere, biologische Vielfalt, Landschaftsbild, Mensch/Gesundheit, Sach- und Kulturgüter, Wechselwirkungen dieser Schutzgüter sowie den geplanten Ausgleichsmaßnahmen (Kompensation). Der Bericht enthält eine zusammengefasste Bewertung möglicher erheblicher Umweltauswirkungen sowie Vermeidungs-, Minimierungs- und Ausgleichsmaßnahmen:

Folgende fachliche Stellungnahmen wurden im Rahmen der frühzeitigen Unterrichtung der Öffentlichkeit gem. § 3 Absatz 1 BauGB sowie der Behörden und sonstigen Träger öffentlicher Belange gem. § 4 Absatz 2 BauGB abgegeben: Auswirkungen der geplanten Wohnbebauung auf Flora, Fauna und Biotope (Bestandsaufnahme Wiesenfläche)

Prüfung auf Eintreten artenschutzrechtlicher Verbotstatbestände nach § 44 Abs. 1 BNatschG

Bedarf an Löschwasser

Belange des Grundwasserschutzes

Breuna, den 02.10.2025
Der Gemeindevorstand der Gemeinde Breuna
gez. Jens Wiegand
Bürgermeister