Titel Logo
Amtsblatt VG Kandel
Ausgabe 16/2026
Kandel
Zurück zur vorigen Seite
Zurück zur ersten Seite der aktuellen Ausgabe

Öffentliche Bekanntmachung Stadt Kandel

1. Änderung des Bebauungsplanes „Adamshof"

Der Stadtrat der Stadt Kandel hat in seiner Sitzung am 24.03.2026 die 1. Änderung des Bebauungsplanes „Adamshof" gem. § 2 Abs. 1 und § 10 Baugesetzbuch (BauGB) in der Fassung der Bekanntmachung vom 3. November 2017 (BGBl. I S. 3634), zuletzt geändert durch Artikel 5 G. v. 22.12.2025 BGBl. 2025 I Nr. 348, in Verbindung mit § 24 der Gemeindeordnung Rheinland-Pfalz (GemO) in der Fassung vom 31.01.1994 (GVBl. 1994, 153), zuletzt geändert durch Artikel 6 des Gesetzes vom 20.12.2024 (GVBl. S. 473, 475), als Satzung beschlossen.

Der Bebauungsplan, einschließlich der textlichen Festsetzungen und der Begründung, kann ab sofort bei der Verbandsgemeindeverwaltung Kandel, Gartenstraße 8, 76870 Kandel, Zimmer-Nr. 226 oder 227, während der üblichen Sprechzeiten (Montag bis Freitag 08.00 - 12.00 Uhr; Dienstag 13.30 - 16.00 Uhr; Donnerstag 13.30 - 18.00 Uhr; außerhalb der Öffnungszeiten nach Terminvereinbarung) eingesehen werden. Jedermann kann über den Inhalt des Bebauungsplanes Auskunft erlangen. Die Bebauungsplanunterlagen werden zudem entsprechend § 10 a Abs. 2 BauGB auf der Homepage der Verbandsgemeinde Kandel (www.vg-kandel.de) eingestellt und damit zur Einsicht vorgehalten.

Mit dieser Bekanntmachung tritt der o.g. Bebauungsplan in Kraft.

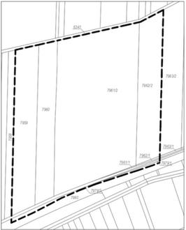
Der Geltungsbereich umfasst die Flurstücke 7959, 7960, 7961/1&2, 7962/1&2, 7979, 7980 in der Gemarkung Kandel. Die Flächengröße des Plangebiets beträgt rund 6,48 ha und wird in der nachfolgenden Grafik dargestellt.

Hinweise

a)

Diese Bekanntmachung nach den Rechtsvorschriften des § 10 des Baugesetzbuches (BauGB) in der Fassung der Bekanntmachung vom 3. November 2017 (BGBl. I S. 3634), zuletzt geändert durch Artikel 5 G. v. 22.12.2025 BGBl. 2025 I Nr. 348, beinhaltet auch die förmliche Bekanntmachung der örtlichen Bauvorschriften nach § 88 Abs. 6 der Landesbauordnung Rheinland-Pfalz (LBauO) in der Fassung vom 24.11.1998 (GVBl. S. 365), zuletzt geändert durch Artikel 3 des Gesetzes vom 19.11.2025 (GVBl. S. 672, 673).

b)

Gemäß § 215 Abs. 1 des Baugesetzbuches (BauGB) werden

 

1. eine nach § 214 Abs. 1 Nr. 1 bis 3 BauGB beachtliche Verletzung der dort bezeichneten Verfahrens- und Formvorschriften;

 

2. eine unter Berücksichtigung des § 214 Abs. 2 BauGB beachtliche Verletzung der Vorschriften über das Verhältnis des Bebauungsplans und des Flächennutzungsplans;

 

3. nach § 214 Abs. 3 Satz 2 BauGB beachtliche Mängel des Abwägungsvorgangs

 

dann unbeachtlich, wenn sie nicht innerhalb eines Jahres seit Bekanntmachung schriftlich gegenüber der Gemeinde unter Darlegung des die Verletzung begründeten Sachverhalts geltend gemacht worden sind. Dies gilt entsprechend, wenn Fehler nach § 214 Absatz 2a beachtlich sind.

c)

Auf die Vorschriften des § 44 Abs. 3 Satz 1 und 2 sowie Abs. 4 des Baugesetzbuches (BauGB) über die fristgerechte Geltendmachung etwaiger Entschädigungsansprüche für Eingriffe in eine bisher zulässige Nutzung durch diesen Bebauungsplan - §§ 39 - 42 BauGB - und über das Erlöschen möglicher Entschädigungsansprüche wird hingewiesen. Ein Entschädigungsanspruch erlischt, wenn nicht innerhalb von 3 Jahren nach Ablauf des Kalenderjahres, in dem die in Absatz 3 Satz 1 bezeichneten Vermögensnachteile eingetreten sind, die Fälligkeit des Anspruches herbeigeführt wird.

d)

Gemäß § 24 Abs. 6 der Gemeindeordnung Rheinland-Pfalz (GemO) in der Fassung vom 31.01.1994 (GVBl. 1994, 153), zuletzt geändert durch Artikel 6 des Gesetzes vom 20.12.2024 (GVBl. S. 473, 475) gelten Satzungen, die unter Verletzung von Verfahrens- oder Formvorschriften der GemO oder auf Grund der GemO zustande gekommen sind, ein Jahr nach der öffentlichen Bekanntmachung als von Anfang an gültig zustande gekommen. Dies gilt nicht, wenn

 

1. die Bestimmungen über die Öffentlichkeit der Sitzung, die Genehmigung, die Ausfertigung oder die Bekanntmachung der Satzung verletzt worden sind, oder

 

2. vor Ablauf der genannten Frist die Aufsichtsbehörde den Beschluss beanstandet oder jemand die Verletzung der Verfahrens- oder Formvorschriften gegenüber der Gemeindeverwaltung unter Bezeichnung des Sachverhalts, der die Verletzung begründen soll, schriftlich geltend gemacht hat.

Kandel, den 17.04.2026
Michael Gaudier, Stadtbürgermeister