Titel Logo
Amtsblatt VG Kandel
Ausgabe 2/2026
Kandel
Zurück zur vorigen Seite
Zurück zur ersten Seite der aktuellen Ausgabe

Bebauungsplan „Adamshof“, 1. Änderung

Bekanntmachung des Aufstellungs- und Planentwurfsbeschlusses und Beteiligung der Öffentlichkeit nach § 3. Abs. 2 i.V.m. § 1. Abs. 8 Baugesetzbuch (BauGB) sowie der Behörden und sonstigen Träger öffentlicher Belange nach § 4. Abs. 2 i.V.m. § 1 Abs. 8 BauGB

Der Stadtrat der Stadt Kandel hat in seiner öffentlichen Sitzung am 03.07.2025 beschlossen, einen Bebauungsplan mit der Bezeichnung „Adamshof“, 1. Änderung aufzustellen. In der Sitzung am 17.12.2025 wurden die Beteiligung der Öffentlichkeit gem. § 3 Abs. 2 i.V.m § 1 Abs. 8 BauGB sowie die Beteiligung der Behörden und sonstigen Träger öffentlicher Belange nach § 4 Abs. 2 i.V.m. § 1 Abs. 8 BauGB zum Entwurf des Bebauungsplanes „Adamshof“ – 1. Änderung“ beschlossen.

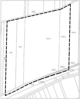
Der Geltungsbereich umfasst die Flurstücke 7959, 7960, 7961/1&2, 7962/1&2, 7979, 7980 in der Gemarkung Kandel. Die Flächengröße des Plangebiets beträgt rund 6,48 ha und wird in der nachfolgenden Grafik dargestellt.

Der Bebauungsplan wird gem. § 13 a BauGB als Bebauungsplan der Innenentwicklung im beschleunigten Verfahren aufgestellt. Die Stadt weist darauf hin, dass für diese Planung gem. § 13 Abs. 3 BauGB keine Umweltprüfung nach § 2 Abs. 4 BauGB vorgenommen wird. Die Öffentlichkeit kann sich beim Fachbereich Natürliche Lebensgrundlagen und Bauen der Verbandsgemeindeverwaltung über die allgemeinen Ziele und Zwecke sowie die wesentlichen Auswirkungen der Planung informieren. Gem. § 13 Abs. 2 S. 1 BauGB wird von der frühzeitigen Beteiligung nach § 3 Abs. 1 und § 4 Abs. 1 BauGB abgesehen.

Gemäß den Bestimmungen des § 3 Abs.2 BauGB erfolgt die Veröffentlichung der Unterlagen in der Zeit vom

12.01.2026 bis 15.02.2026

auf der Internetseite der Verbandsgemeindeverwaltung Kandel, www.VG-Kandel.de, unter der Rubrik Rat & Verwaltung / Bauleitplanung / Bauleitplanverfahren. Hier besteht die Möglichkeit, per E-Mail Auskünfte zu erhalten.

Zusätzlich wird von der Verbandsgemeindeverwaltung gem. § 3 Abs. 2 S. 2 BauGB ein öffentlich zugängliches Lesegerät bereitgestellt. Hier besteht die Möglichkeit, die Planunterlagen zum Änderungsentwurf „Adamshof– 1. Änderung“ einzusehen. Das Lesegerät ist barrierefrei zugänglich und kann während der Dienstzeiten (Montag bis Freitag 08.00 - 12.00 Uhr; Dienstag 13.30 - 16.00 Uhr; Donnerstag 13.30 - 18.00 Uhr) bzw. nach vorheriger Terminvereinbarung bei der Verbandsgemeindeverwaltung Kandel, Gartenstraße 8, 76870 Kandel, im Foyer des 1. Obergeschosses, genutzt werden.

Folgende Unterlagen können eingesehen werden:

- Textliche Festsetzungen und Begründung

Dabei sind die aktuellen Informationen der Verbandsgemeindeverwaltung Kandel zum Publikumsverkehr zu beachten. Auf Wunsch werden während den o.g. Dienststunden oder nach Terminvereinbarung auch nähere Erläuterungen durch den Fachbereich Bauen gegeben. Stellungnahmen sind möglichst elektronisch an die E-Mail-Adresse bauleitplanung@vg-kandel.de zu übermitteln, können aber auch schriftlich, mündlich zur Niederschrift (nach Terminvereinbarung), per Fax oder in sonstiger Weise bei der oben angegebenen Dienststelle abgeben werden. Da das Ergebnis der Behandlung der Stellungnahmen mitgeteilt wird, ist die Angabe der Anschrift des Verfassers zweckmäßig. Stellungnahmen können während der Dauer der Veröffentlichungsfrist abgegeben werden - nicht fristgerecht abgegebene Stellungnahmen können bei der Beschlussfassung des Bebauungsplans unberücksichtigt bleiben.

Im Zusammenhang mit dem Datenschutz wird ausdrücklich darauf hingewiesen, dass ein Bauleitplanverfahren ein öffentliches Verfahren ist und daher in der Regel alle dazu eingehenden Stellungnahmen in öffentlichen Sitzungen beraten und entschieden werden, sofern sich nicht aus der Art der Einwände oder der betroffenen Personen ausdrückliche oder offensichtliche Einschränkungen ergeben. Gemäß den Bestimmungen der Datenschutz-Grundverordnung (DSGVO) Art. 6 Abs. 1 Satz 1 lit. e) sowie § 3 des Landesdatenschutzgesetzes Rheinland-Pfalz (LDSG RLP), werden personenbezogene Daten von Bürgerinnen und Bürgern wie Vor- und Familienname sowie Kontaktdaten (Anschrift, Telefon- und Faxnummer, E-Mailadresse) zur Bearbeitung der vorgebrachten Anregungen gespeichert. Die vorgebrachten Anregungen und Bedenken werden in den Drucksachen für die öffentlichen Sitzungen der zuständigen Gremien anonymisiert aufgeführt. Grundsätzlich wird auf die Datenschutzerklärung der Verbandsgemeindeverwaltung Kandel verwiesen.

Kandel, den 18.12.2025
Michael Gaudier, Stadtbürgermeister