Titel Logo
Felsberger Nachrichten
Ausgabe 42/2024
Amtliche Bekanntmachungen
Zurück zur vorigen Seite
Zurück zur ersten Seite der aktuellen Ausgabe

Bauleitplanung der Stadt Felsberg 46. Änderung des Flächennutzungsplanes

46. Änderung des Flächennutzungsplanes

Bekanntmachung der öffentlichen Auslegung gemäß § 3 Abs. 2 BauGB

Öffentliche Auslegung gemäß § 3 Abs. 2 BauGB

Gemäß § 3 Abs. 2 Baugesetzbuch (BauGB) vom 23.09.2004 (BGBl. I S. 2414), zuletzt geändert durch Gesetzes vom 20.12.2023 (BGBl. I S. 394), wird die o. g. Planung öffentlich ausgelegt.

Anlass und Ziel

Die vorbereitende Bauleitplanung hat das Ziel, die planungsrechtlichen Voraussetzungen zur Ausweisung einer Wohnbaufläche gemäß § 1 Abs. 1 Nr. 1 BauNVO zu schaffen. Zur Deckung der Nachfrage nach Wohnbaugrundstücken beabsichtigt die Stadt Felsberg im Stadtteil Lohre im Anschluss an ein bestehendes Wohngebiet die Ausweisung einer Entwicklungsfläche für ca. 3 – 4 Baugrundstücke.

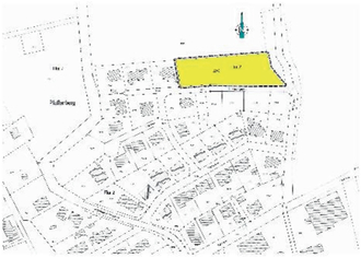
Abgrenzung

Das ca. 2.750 m² große Verfahrensgebiet befindet sich in Felsberg-Lohre und umfasst eine Teilfläche des in der Gemarkung Lohre in der Flur 2 liegenden Flurstücks 22/43. Die Fläche wird begrenzt, im Norden durch Flächen der Landwirtschaft, im Osten durch die Wegeparzelle 47/1 (Hartgraben), im Süden durch die Gemeindestraße Im Kirschgraben und im Westen durch die vorhandene Bebauung.

Beteiligung der Öffentlichkeit

Die Stadtverordnetenversammlung der Stadt Felsberg hat in ihrer Sitzung am 19.09.2024 die öffentliche Auslegung des Entwurfs der 46. Änderung des Flächennutzungsplanes gem. § 3 Abs. 2 Baugesetzbuch (BauGB) beschlossen.

Die Beteiligung erfolgt im Internet. Der Öffentlichkeit wird Gelegenheit zur Stellungnahme zu dem Planentwurf gegeben. Der Inhalt dieser ortsüblichen Bekanntmachung und die auszulegenden Unterlagen werden während des Auslegungszeitraumes 18.10.2024 bis einschließlich 18.11.2024 auf der Internetseite der Stadt Felsberg unter https://www.felsberg.de/Buerger-Service/Aktuelles Bekanntmachungen.htm? eingestellt.

Als zusätzliches Informationsangebot liegt der Entwurf auch während der allgemeinen Öffnungszeiten Montag bis Freitag von 8.00 – 12.00 Uhr sowie Donnerstag von 16.00 – 18.00 Uhr in der der Stadtverwaltung, Vernouillet-Allee 1, Foyer (Haupteingang), 34587 Felsberg, zu Jedermanns Einsicht öffentlich aus.

Während der öffentlichen Auslegungsfrist können Stellungnahmen unter Angabe der Anschrift schriftlich oder zur Niederschrift bei der Stadtverwaltung der Stadt Felsberg, Vernouillet-Allee 1, 34587 Felsberg oder in elektronischer Form an roman.rosenberg@felsberg.de vorgebracht werden. Durch die Abgabe ihrer Stellungnahmen stimmen die Einwender/-innen der Speicherung Ihrer personenbezogenen Daten zu.

Es wird darauf hingewiesen,

  • dass in der Regel alle eingegangenen Stellungnahmen in der öffentlichen Sitzung der Gremien beraten und entschieden werden,
  • dass nicht fristgerecht abgegebene Stellungnahmen bei der Beschlussfassung über die Bauleitplanung unberücksichtigt bleiben können,
  • dass gem. § 4b BauGB die Vorbereitung und Durchführung von Verfahrensschritten gem. §§ 2a bis 4a BauGB dem Büro für Stadtbauwesen Meißner, Hühnefelder Straße 20, 34295 Edermünde übertragen worden sind.

Im Rahmen der frühzeitigen Öffentlichkeitsbeteiligung (gem. § 3 Abs. 1 BauGB) bei gleichzeitiger Beteiligung der Behörden (gem. § 4 Abs. 1 BauGB) sind keine Stellungnahmen mit wesentlichen umweltrelevanten Informationen eingegangen, bzw. umweltrelevanten Themen angesprochen worden:

Umweltbezogene Informationen

[1]

Umweltbericht zur 46. Änderung des Flächennutzungsplanes

[2]

Maßnahmen zur Vermeidung, Verringerung und zum Ausgleich der nachteiligen Auswirkungen

[3]

Darstellung anderer Planungsmöglichkeiten

[4]

Maßnahmen zur Überwachung der Auswirkungen

[5]

Die im Rahmen der Beteiligung nach § 4 (1) BauGB eingegangenen Stellungnahmen.

Hinsichtlich der Umweltbelange wurden im Hinblick auf die Wirkfaktoren der geplanten Wohnbaufläche insbesondere die Auswirkungen auf den Menschen, auf Tiere und Pflanzen, auf Boden und Wasser, auf Klima und Luft sowie auf Kulturgüter und das Landschaftsbild geprüft.

Umweltbezogene Informationen zum Schutzgut Mensch finden sich in [1], [2]. Es werden Aussagen getroffen bzw. Hinweise gegeben zu: Störwirkungen, gewerblicher Lärm, Verkehrslärm, Abfall.

Umweltbezogene Informationen zum Schutzgut Tiere und Pflanzen finden sich in [1], [2] Es werden Aussagen getroffen bzw. Hinweise gegeben zu: Flächennutzung, Lebensraumpotenzial und Biotopausstattung, Vermeidungs- und Verminderungsmaßnahmen.

Umweltbezogene Informationen zum Schutzgut Boden und Wasser finden sich in [1], [2]. Es werden Aussagen getroffen bzw. Hinweise gegeben zu: Bodenarten, Flächennutzung, Grundwasser, Wasserspeichervermögen, Eingriffe durch Bebauung und Erschließung, Vermeidungs- und Verminderungsmaßnahmen.

Umweltbezogene Informationen zum Schutzgut Klima und Luft finden sich in [1], [2]. Es werden Aussagen getroffen bzw. Hinweise gegeben zu: überörtliche und lokale Klimasituation, Luftqualität, Vermeidungs- und Verminderungsmaßnahmen.

Umweltbezogene Informationen zum Schutzgut Kulturgüter finden sich in [1], [2]. Es werden Aussagen getroffen bzw. Hinweise gegeben zu: Kultur- und Sachgüter

Umweltbezogene Informationen zum Schutzgut Landschaftsbild finden sich in [1], [2]. Es werden Aussagen getroffen bzw. Hinweise gegeben zu: Betrachtungsraum, Auswirkungen durch visuelle Veränderungen.

Der Magistrat der Stadt Felsberg
Felsberg, 17.10.2024
gez. Hartmut Wagner
Stadtrat