Titel Logo
Fuldabrücker Nachrichten
Ausgabe 25/2024
Öffentliche Bekanntmachungen
Zurück zur vorigen Seite
Zurück zur ersten Seite der aktuellen Ausgabe

Öffentliche Bekanntmachungen

Geltungsbereich des Bebauungsplanes Nr. 44 (ohne Maßstab)

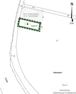
Geltungsbereich des Teil B zum Bebauungsplanes Nr. 44 (ohne Maßstab)

Bekanntmachung des Satzungsbeschlusses gemäß § 10 Abs. 3 Baugesetzbuch (BauGB)

Die Gemeindevertretung der Gemeinde Fuldabrück hat in ihrer Sitzung am 14.12.2023 gemäß § 10 Abs. 1 BauGB den Bebauungsplan Nr. 44 „Kindertagesstätte Dennhausen/Dittershausen“ als Satzung beschlossen.

Der Satzungsbeschluss wird gemäß § 10 Abs. 3 BauGB hiermit ortsüblich bekannt gemacht.

Mit dieser Bekanntmachung tritt der Bebauungsplan Nr. 44 „Kindertagesstätte Dennhausen/Dittershausen“, gemäß § 10 Abs. 3 BauGB i.V.m. § 7 der Hauptsatzung der Gemeinde Fuldabrück in Kraft.

Der Geltungsbereich des Bebauungsplanes Nr. 44 ist ca. 0,81 ha groß und umfasst die Flurstücke Nr. 49/7, Flur 1, sowie Nr. 39/1, Nr. 38/3 tlw., Nr. 36/1 tlw., alle Flur 5, in der Gemarkung Dittershausen.

Die Plangebietsflächen werden aktuell landwirtschaftlich genutzt. Die Schulstraße ist mit einseitigem Gehweg inkl. Baumreihe und Entwässerungsgraben ausgestattet. Nördlich grenzen die Grundschule sowie die Freiwillige Feuerwehr an. Im Westen wird aktuell das Neubaugebiet „Südliche Schulstraße“ entwickelt. Östlich des Plangebiets sowie südlich der Schulstraße grenzen weitere Landwirtschaftsnutzungen an.

Die Abgrenzung des Bebauungsplanes ist aus der nachfolgenden Karte ersichtlich.

Des Weiteren werden auf dem Flurstück Nr. 27 (teilw.) der Flur 4 in der Gemarkung Dittershausen ca. 0,1 ha als externe Ausgleichsmaßnahmen im Planteil B – Kompensation vorgesehen. Die Flächen liegen südwestlich des Ortsteils Dennhausen/Dittershausen im Bereich der Fuldaaue. Die Abgrenzungen des Planteils B – Kompensation sind aus der nachfolgenden Karte ersichtlich.

Der Bebauungsplan Nr. 44 „Kindertagesstätte Dennhausen/Dittershausen“ wird gemäß § 10 Abs. 3 BauGB mit Begründung, Umweltbericht, Faunistischer Potentialanalyse, Avifaunistischem Gutachten und zusammenfassender Erklärung vom Tag der Veröffentlichung dieser Bekanntmachung an im Rathaus, Am Rathaus 2, 34277 Fuldabrück-Dörnhagen, 2. OG. Zimmer 201 bereitgehalten und kann während der Sprechzeiten

Montag, und Dienstag,

8:00 – 16:00 Uhr

Donnerstag

8:00 – 18:00 Uhr

Mittwoch und Freitag

8:00 – 12:00 Uhr

(sofern auf die genannten Tage kein gesetzlicher Feiertag fällt) sowie außerhalb der Sprechzeiten nach Vereinbarung, von jeder Person eingesehen werden. Auf Verlangen wird über den Inhalt des Bebauungsplanes Auskunft gegeben. Zusätzlich kann der Bebauungsplan auf der Homepage der Gemeinde Fuldabrück https://www.fuldabrueck.de/aktuelles/2024-06-19-bebauungsplan-nr-44-kindertagesstaette-dennhausen-dittershausen eingesehen werden.

Hinweise:

Gemäß § 215 Abs. 1 BauGB werden unbeachtlich

1.

eine nach § 214 Abs. 1 S. 1 Nr. 1 bis 3 BauGB beachtliche Verletzung der dort bezeichneten Form- und Verfahrensvorschriften,

2.

eine unter Berücksichtigung des § 214 Abs. 2 BauGB beachtliche Verletzung der Vorschriften über das Verhältnis des Bebauungsplans und des Flächennutzungsplans und

3.

nach § 214 Abs. 3 Satz 2 BauGB beachtliche Mängel des Abwägungsvorganges, wenn sie nicht innerhalb eines Jahres seit Bekanntmachung der Satzung schriftlich gegenüber der Gemeinde unter Darlegung des die Verletzung begründenden Sachverhalts geltend gemacht worden sind.

Auf die Vorschriften des § 44 Abs. 3 Satz 1 und 2 und Abs. 4 des Baugesetzbuches über die fristgemäße Geltendmachung etwaiger Entschädigungsansprüche für Eingriffe in eine bisher zulässige Nutzung durch diesen Bebauungsplan und über das Erlöschen von Entschädigungsansprüchen wird hingewiesen. Danach erlöschen Entschädigungsansprüche für nach §§ 39 bis 42 BauGB eingetretene Vermögensnachteile, wenn nicht innerhalb von drei Jahren nach Ablauf des Kalenderjahres, in dem die Vermögensnachteile eingetreten sind, die Fälligkeit des Anspruches herbeigeführt wird.

Fuldabrück, den 19.06.2024
Der Gemeindevorstand
gez. Andreas Damm
Bürgermeister