Titel Logo
Hochland Mitteilungsblatt Gilserberg
Ausgabe 20/2024
Amtliche Bekanntmachungen
Zurück zur vorigen Seite
Zurück zur ersten Seite der aktuellen Ausgabe

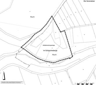
Bauleitplanung der Gemeinde Gilserberg, Ortsteil Schönau

genordet, ohne Maßstab

FNP-Änderung im Bereich „Abfallbehandlungsanlage“
Bekanntmachung der Beteiligung der Öffentlichkeit gemäß § 3 Abs.2 BauGB

(1) Die Gemeindevertretung der Gemeinde Gilserberg hat am 20.02.2024 für den neuen Standort der Grünabfallsammelstelle gemäß § 3 Abs. 2 BauGB die Entwurfsoffenlage für die Änderung des Flächennutzungsplanes (FNP) im Ortsteil Schönau beschlossen.

(2) Die Abgrenzung des Geltungsbereiches der FNP-Änderung ist der beiliegenden Übersichtskarte zu entnehmen und beschränkt sich auf die Flurstücke 32, 33, 68 tlw. in der Flur 8 und 54/39 tlw. in der Flur 9, alle Gemarkung Schönau. Die Fläche befindet sich südwestlich des Ortsteils Schönau.

(3) Mit der Änderung des Flächennutzungsplanes soll im Bereich der stillgelegten Deponie der Standort der Grünabfallsammelstelle bauplanungsrechtlich gesichert werden. Für den Planbereich liegt eine abfallrechtliche Genehmigung vor, welche aufgrund der naturschutzrechtlichen Nebenbestimmungen an die Verfüllung der Deponie gekoppelt ist. Ein Weiterbetrieb des Schredderplatzes ist derzeit aufgrund der fehlenden Privilegierung planungsrechtlich nicht möglich. Das Planziel der FNP-Änderung ist daher die Darstellung einer Fläche für die Abfallentsorgung mit der Zweckbestimmung Grünabfallsammelstelle gemäß § 5 Abs. 2 Nr. 4 BauGB, um eine Genehmigungsgrundlage für weiterführende Verfahren zu erzielen.

(4) Gemäß § 2 Abs. 4 und § 2a BauGB muss eine Umweltprüfung durchgeführt werden, in der die voraussichtlich erheblichen Umwelteinwirkungen ermittelt und in einem Umweltbericht beschrieben und bewertet werden. Der Umweltbericht ist gemäß § 2a BauGB in die Begründung der FNP-Änderung zu integrieren. Die Unterrichtung nach § 3 Abs.1 BauGB erfolgte gemäß den Vorgaben des Baugesetzbuches (BauGB) und diente im Hinblick auf die Ermittlung des erforderlichen Umfangs und Detaillierungsgrades der Umweltprüfung nach § 2 Abs. 4 BauGB, die jetzt im Umweltbericht dokumentiert und zusammen mit den umweltrelevanten Stellungnahmen im Internet veröffentlicht und in der Gemeindeverwaltung ausgelegt werden.

Folgende Arten umweltbezogener Informationen liegen vor:

Umweltbericht mit integriertem landschaftspflegerischem Planungsbeitrag. Der Umweltbericht umfasst neben einem einleitenden Kapitel zu den Inhalten, Zielen und Festsetzungen der Flächennutzungsplanänderung, der Einordnung des Plangebietes und den in den einschlägigen Fachgesetzen und Fachplänen festgelegten Zielen des Umweltschutzes, eine Beschreibung und Bewertung der voraussichtlichen erheblichen Umweltauswirkungen der Planung einschließlich der Maßnahmen zu ihrer Vermeidung, Verringerung bzw. ihrem Ausgleich. Die Betrachtung der umweltrelevanten Schutzgüter und Informationen umfasst in § 1 Abs.6 Nr.7a-j BauGB:

Boden und Wasser: Charakterisierung von Bodentypen und Bodeneigenschaften, Bodenfunktionsbewertung sowie Hinweise zur Betroffenheit von oberirdischen Gewässern. Bewertung der Planung im Hinblick auf den Eingriff in den Boden- und Wasserhaushalt.

Klima und Luft: Auswirkungen des Plangebietes für die Kalt- und Frischluftbildung sowie das Lokal- bzw. Kleinklima.

Pflanzen, Biotop- und Nutzungstypen: Bestandsbeschreibung der Biotop- und Nutzungstypen, Eingriffsbewertung, Beschreibung des naturschutzrechtlichen Ausgleichs innerhalb des Plangebietes.

Tiere und Artenschutzrechtliche Belange: Bestandsbeschreibung, Beschreibung des artenschutzrechtlichen Ausgleichs innerhalb des Plangebietes, Verweise auf gesetzliche Regelungen zum Artenschutz.

Natura-2000-Gebiete und sonstige Schutzgebiete: Betroffenheit von Natura-2000-Gebieten ist nicht gegeben, Auswirkungen auf die Schutzziele der nächstgelegenen Schutzgebiete sind nicht zu erwarten. Betroffenheit von sonstigen Schutzgebieten (Naturschutzgebieten) ist nicht gegeben.

Biologische Vielfalt: Feststellung keiner erheblichen nachteiligen Wirkungen des Plangebietes für die biologische Vielfalt.

Landschaft: Auswirkungen der Planung auf das Landschafts- bzw. Ortsbild, Eingriffsbewertung.

Mensch, Gesundheit und Bevölkerung: Keine zusätzlichen erheblichen negativen Auswirkungen des Plangebietes auf die angrenzenden Nutzungen. Immissionsschutzrechtliche Konflikte sind nicht zu erwarten. Keine negativen Auswirkungen des Plangebietes auf die Erholungsfunktion.

Kultur- und sonstige Sachgüter: Hinweis auf gesetzliche Regelungen zum Umgang mit Bodendenkmälern.

Erhaltung der bestmöglichen Luftqualität: Beeinträchtigungen der bestehenden und zu erhaltenden bestmöglichen Luftqualität im Zuge der Planung ist nicht zu erwarten.

Hinzu kommt eine Eingriffs- und Ausgleichsbewertung zu dem durch die FNP-Änderung indirekt vorbereiteten Eingriff in Natur und Landschaft und dessen Ausgleich. Die vorliegende Planung sieht Flächen für Maßnahmen zum Schutz, zur Pflege und zur Entwicklung von Boden, Natur und Landschaft mit verschiedenen Entwicklungszielen innerhalb des Plangebietes vor. Ferner umfasst der Umweltbericht Angaben zu Maßnahmen zur Vermeidung, Verringerung und zum Ausgleich der nachteiligen Auswirkungen der Planung, zur Entwicklung des Umweltzustandes bei Durchführung bzw. Nichtdurchführung der Planung, zu den in Betracht kommenden anderweitigen Planungsmöglichkeiten sowie zur Überwachung der Umweltauswirkungen, die aufgrund des Bauleitplans auftreten können.

Es liegen keine weiteren umweltbezogenen Informationen vor.

Im Rahmen der frühzeitigen Beteiligung der Öffentlichkeit gemäß § 3 Abs. 1 BauGB (keine Stellungnahmen) sowie der Behörden und sonstigen Träger öffentlicher Belange gemäß § 4 Abs. 1 BauGB sind folgende Stellungnahmen mit umweltrelevanten Informationen eingegangen bzw. umweltrelevante Themen angesprochen worden:

Hessen Mobil, Straßen- und Verkehrsmanagement Kassel (14.02.2022): Keine Bedenken. Hinweise zur verkehrlichen Erschließung und zur Bauverbotszone.

Kreisausschuss des LK Schwalm-Eder (15.02.2022): Hinweise zu gesetzlich geschützten Biotopen nach § 30 BNatSchG und zu Magerrasenfragmenten. Allg. Hinweise zum Artenschutz, zu „Natura 2000“ Schutzgebieten und zu Lebensraumtypen nach Anhang I der FFH-Richtlinie, die nicht von der Planung betroffen sind. Hinweise zur nachfolgenden Eingriffsregelung, zur Darstellung im wirksamen Flächennutzungsplan und zum Umweltbericht.

Regierungspräsidium Kassel, Dez. 21 Regionalplanung (14.02.2022): Hinweise zur Walddarstellung und zur Darstellung im Regionalplan Nordhessen.

Regierungspräsidium Kassel, Abfallwirtschaft (17.02.2022): Hinweise zur abfallrechtlichen Genehmigungssituation.

Regierungspräsidium Kassel, Dez. 31.1 Bodenschutz, Altlasten (18.01.2022): Hinweise zum Fachinformationssystem Altflächen und Grundwasserschadensfälle und allg. Hinweise zum Bodenschutz.

Regierungspräsidium Kassel, Forsten Jagd (20.01.2022): Hinweise zur Walddarstellung und einer möglichen Umwandlung des Waldes.

Regierungspräsidium Kassel, Dez. 31.3 Oberirdische Gewässer, Hochwasserschutz (13.01.2022): Hinweise zur angrenzenden oberirdischen Gewässern und zum Gewässerrandstreifen.

Regierungspräsidium Darmstadt, Kampfmittelräumdienst (06.02.2022): Hinweise beim Auffinden von Kampfmitteln im Plangebiet.

Die umweltrelevanten Stellungnahmen werden zusammen mit der Umweltprüfung (Umweltbericht), in der die Aspekte der Kompensation und Regelungen nach Bundesnaturschutzgesetz (BNatSchG) und dem Hess. Naturschutzgesetzes behandelt sind, im Internet auf der Homepage der Gemeinde veröffentlicht.

(5) In Ausführung des § 3 Abs. 2 BauGB (Beteiligung der Öffentlichkeit) werden die Planunterlagen der FNP-Änderung (Plankarte und Begründung) einschließlich Umweltbericht und den o.g. umweltrelevanten Stellungnahmen in der Zeit vom

27.05.2024 – 28.06.2024 einschließlich

in das Internet eingestellt und auf der Homepage der Gemeinde unter www.gilserberg.de unter der Rubrik Gemeinde / Öffentliche Bekanntmachungen Rubrik Rathaus / Amtliche Bekanntmachungen veröffentlicht und können ebenfalls über das zentrale Internetportal des Landes Hessen unter https://bauleitplanung.hessen.de/ eingesehen werden. Zusätzlich zur Veröffentlichung im Internet erfolgt eine öffentliche Auslegung der oben genannten Unterlagen in der Gemeindeverwaltung Gilserberg, Bahnhofstraße 40, Bauamt, Zimmer 1. OG, 01, während der allg. Dienststunden der Verwaltung sowie nach Vereinbarung. Während der oben genannten Dauer der Veröffentlichungsfrist können Stellungnahmen abgegeben werden.

Es wird darauf hingewiesen, dass Stellungnahmen elektronisch übermittelt werden sollen, bei Bedarf aber auch auf anderem Weg, zum Beispiel schriftlich, in Textform oder zur Niederschrift, abgegeben werden können. Die elektronische Abgabe der Stellungnahmen ist zum Beispiel unter der E-Mail-Adresse beteiligung@fischer-plan.de möglich.

(6) Für die FNP-Änderung gilt, dass eine Vereinigung im Sinne des § 4 Abs. 3 Satz 1 Nummer 2 des Umwelt-Rechtsbehelfsgesetzes in einem Rechtsbehelfsverfahren nach § 7 Abs. 2 des Umwelt-Rechtsbehelfsgesetzes gemäß § 7 Abs. 3 Satz 1 des Umwelt-Rechtsbehelfsgesetzes mit allen Einwendungen ausgeschlossen ist, die sie im Rahmen der Auslegungsfrist nicht oder nicht rechtzeitig geltend gemacht hat, aber hätte geltend machen können.

(7) Das Planungsbüro Fischer aus 35435 Wettenberg ist gemäß § 4b BauGB mit der Durchführung des Bauleitplanverfahrens beauftragt.

Bauleitplanung der Gemeinde Gilserberg, Ortsteil Schönau

FNP-Änderung im Bereich „Abfallbehandlungsanlage“

Übersichtskarte des Änderungsbereiches