Titel Logo
Hochland Mitteilungsblatt Gilserberg
Ausgabe 38/2024
Amtliche Bekanntmachungen
Zurück zur vorigen Seite
Zurück zur ersten Seite der aktuellen Ausgabe
-

Bekanntmachung der Genehmigung der FNP-Änderung gemäß § 6 Abs. 5 Baugesetzbuch

genordet, ohne Maßstab

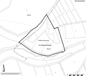
Bauleitplanung der Gemeinde Gilserberg, Ortsteil Schönau

FNP-Änderung im Bereich „Abfallbehandlungsanlage“

Gemäß § 6 BauGB (Baugesetzbuch) wurde dem Regierungspräsidium in Kassel die von der Gemeindevertretung der Gemeinde Gilserberg am 02.07.2024 festgestellte Änderung des Flächennutzungsplanes im Ortsteil (Gemarkung) Schönau zur Genehmigung vorgelegt.

Das Regierungspräsidium Kassel hat die Änderung des Flächennutzungsplanes geprüft und mit Schreiben vom 02.09.2024, Az.: RPKS-21-61 a 1406/1-2024/1 genehmigt.

Der Geltungsbereich ist der nachfolgenden Übersichtskarte zu entnehmen.

Die Erteilung der Genehmigung wird hiermit gemäß § 6 Abs. 5 Satz 1 BauGB bekannt gemacht, die Änderung des Flächennutzungsplanes wird mit dieser Bekanntmachung wirksam.

Jedermann kann die genehmigte Änderung des Flächennutzungsplanes und die Begründung inkl. Umweltbericht ab dem Tag der Bekanntmachung in der Gemeindeverwaltung Gilserberg, Bahnhofstraße 40, Bauamt, Zimmer 1, 1. OG, während der allg. Dienststunden sowie nach Vereinbarung einsehen. Über den Inhalt wird auf Verlangen Auskunft erteilt (§ 6 Abs. 5 Satz 2 BauGB).

Gemäß § 6a Abs. 1 BauGB wird der Änderung des Flächennutzungsplanes eine zusammenfassende Erklärung beigefügt, aus der die Art und Weise hervorgeht, wie die Umweltbelange und die Ergebnisse der Öffentlichkeits- und Behördenbeteiligung in dem Flächennutzungsplan berücksichtigt wurden, und aus welchen Gründen der Plan in der Abwägung mit den geprüften, in Betracht kommenden anderweitigen Planungsmöglichkeiten gewählt wurde.

Gemäß § 6a Abs. 2 BauGB ist die Änderung des Flächennutzungsplanes mit Begründung inkl. Umweltbericht sowie zusammenfassender Erklärung ergänzend auf der Homepage unter www.gemeinde-gilserberg.de unter der Rubrik – Rathaus/Amtliche Bekanntmachungen eingestellt. Gleichzeitig kann der Plan über das zentrale Internetportal des Landes Hessen (www.bauleitplanung.hessen.de) eingesehen und heruntergeladen werden.

Gemäß § 215 Abs. 2 BauGB wird darauf hingewiesen, dass eine nach § 214 Abs. 1 Satz 1 Nr. 1 bis 3 BauGB beachtliche Verletzung der dort bezeichneten Verfahrens- und Formvorschriften, eine unter Berücksichtigung des § 214 Abs. 2 BauGB beachtliche Verletzung der Vorschriften über das Verhältnis des Bebauungsplanes und des Flächennutzungsplanes und nach § 214 Abs. 3 Satz 2 BauGB beachtliche Mängel des Abwägungsvorgangs gemäß § 215 Abs. 1 BauGB unbeachtlich werden, wenn sie nicht innerhalb von einem Jahr seit dieser Bekanntmachung schriftlich gegenüber der Gemeinde unter Darlegung des die Verletzung begründenden Sachverhalts geltend gemacht worden sind.

Bauleitplanung der Gemeinde Gilserberg, Ortsteil (Gemarkung) Schönau

FNP-Änderung im Bereich „Abfallbehandlungsanlage“

Übersichtskarte des Änderungsbereiches