Titel Logo
Kirkeler Nachrichten
Ausgabe 2/2023
Amtliche Bekanntmachungen
Zurück zur vorigen Seite
Zurück zur ersten Seite der aktuellen Ausgabe

Vorhabenbezogener Bebauungsplan Mehrfamilienhaus Auf dem Höfchen Gemeinde Kirkel Ortsteil Limbach

Bekanntmachung der Aufstellung und der Öffentlichen Auslegung des vorhabenbezogenen Bebauungsplanes mit Vorhaben- und Erschließungsplan

(Verlängerung der Auslegungsfrist um einen Tag bis zum 21.02.2023)

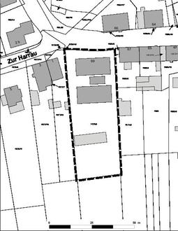
Der Gemeinderat der Gemeinde Kirkel hat in seiner Sitzung am 07.07.2022 gemäß § 1 Abs. 3 und § 2 Abs. 1 BauGB i. V. m. § 13a BauGB beschlossen, das Verfahren zur Aufstellung des vorhabenbezogenen Bebauungsplanes mit Vorhaben- und Erschließungsplan „Mehrfamilienhaus Auf dem Höfchen“ einzuleiten (s. Anlage Geltungsbereich).

Dieser Beschluss wird hiermit öffentlich bekannt gemacht.

In der Sitzung am 15.12.2022 hat der Gemeinderat den Entwurf des vorhabenbezogenen Bebauungsplanes mit Vorhaben- und Erschließungsplan „Mehrfamilienhaus Auf dem Höfchen“, bestehend aus dem Vorhaben- und Erschließungsplan, der Planzeichnung (Teil A) und dem Textteil (Teil B) sowie der Begründung, gebilligt und die öffentliche Auslegung beschlossen.

Mit der Aufstellung des vorhabenbezogenen Bebauungsplanes mit Vorhaben- und Erschließungsplan werden folgende Ziele verfolgt:

Im Ortsteil Limbach der Gemeinde Kirkel wurde im Kreuzungsbereich „Auf dem Höfchen“/ Limbacher Straße ein Mehrfamilienhaus (Auf dem Höfchen 69) mit insgesamt elf Wohneinheiten im Freistellungsverfahren nach Saarländischer Landesbauordnung errichtet, da das Grundstück innerhalb des Geltungsbereichs des Bebauungsplanes „Im Speckenbruch“ aus dem Jahre 1970 liegt.

Als Beurteilungsgrundlage für die Errichtung des Mehrfamilienhauses wurde die zum Zeitpunkt der Errichtung des Vorhabens gültige Landesbauordnung (LBO) und Baunutzungsverordnung (BauNVO) herangezogen.

Da das Grundstück jedoch innerhalb des Geltungsbereichs des o. g. Bebauungsplanes liegt, gilt als Beurteilungsgrundlage nicht das zum Zeitpunkt der Errichtung des Mehrfamilienhauses gültige Recht, sondern „altes“ Recht.

Das Vorhaben widerspricht somit den Festsetzungen des Bebauungsplanes.

Um diesen Widerspruch zwischen bereits errichtetem Vorhaben und dem Bebauungsplan „Im Speckenbruch“ (1970) aufzulösen, bedarf es einer Überplanung durch einen vorhabenbezogenen Bebauungsplan.

Im Zuge dieser Überplanung soll die vorhandene Bebauung festgesetzt und eine bauliche Erweiterung über den Ist-Zustand hinaus ausgeschlossen werden.

Der vorhabenbezogene Bebauungsplan mit Vorhaben- und Erschließungsplan „Mehrfamilienhaus Auf dem Höfchen“ ersetzt dabei innerhalb seines Geltungsbereiches den bestehenden rechtskräftigen Bebauungsplan.

Die genauen Grenzen des Geltungsbereiches des vorhabenbezogenen Bebauungsplanes mit Vorhaben- und Erschließungsplan sind dem beigefügten Lageplan zu entnehmen.

Er umfasst eine Fläche von ca. 2.000 m2.

Der vorhabenbezogene Bebauungsplan mit Vorhaben- und Erschließungsplan wird im beschleunigten Verfahren gem. § 13a i. V. m. § 13 BauGB aufgestellt.

Der rechtswirksame Flächennutzungsplan der Gemeinde Kirkel aus dem Jahr 1984 enthält für den Geltungsbereich des vorhabenbezogenen Bebauungsplanes mit Vorhaben- und Erschließungsplan keine Darstellungen, da Bayerisch Kohlhof zum Zeitpunkt der Aufstellung des Flächennutzungsplanes noch dem Gebiet der Stadt Neunkirchen zugeordnet war.

Da die Art der baulichen Nutzung jedoch den Festsetzungen des bestehenden Bebauungsplanes (von 1970) entspricht, wird auf Ebene des Flächennutzungsplanes kein Handlungsbedarf gesehen.

Gemäß §§ 13a, 13 BauGB und 3 Abs. 2 BauGB, in der Fassung der Bekanntmachung vom 03. November 2017 (BGBI. I S. 3634), unter Berücksichtigung der aktuell gültigen Änderungen, wird hiermit öffentlich bekannt gemacht, dass der Entwurf des vorhabenbezogenen Bebauungsplanes mit Vorhaben- und Erschließungsplan, bestehend aus dem Vorhaben- und Erschließungsplan, der Planzeichnung (Teil A) und dem Textteil (Teil B) sowie der Begründung, in der Zeit vom 16.01.2023 bis einschließlich 21.02.2023 während der allgemeinen Dienststunden (Montag-Dienstag: 08:00 Uhr - 12:00 Uhr und 13:30 Uhr - 16:00 Uhr, Mittwoch: 08:00 Uhr - 12:00 Uhr, Donnerstag: 08:00 Uhr - 12:00 Uhr und 13:30 Uhr - 16:00 Uhr, Freitag: 08:00 Uhr - 12:00 Uhr) im Rathaus der Gemeinde Kirkel, Fachbereich Bauen und Umwelt, Zimmer 27, zu jedermanns Einsicht öffentlich ausliegt.

Gleichzeitig wird der Bebauungsplan im Internet auf der Homepage der Gemeinde Kirkel (https://www.kirkel.de/aktuelles-termine/oeffentliche-bekanntmachungen/) zum Download bereitgestellt.

Während der Auslegungsfrist können von jedermann Stellungnahmen schriftlich, zur Niederschrift oder elektronisch per E-Mail an die E-Mail-Adresse gemeinde@kirkel.de vorgebracht werden.

Nicht fristgerecht vorgebrachte Stellungnahmen können bei der Beschlussfassung über den vorhabenbezogenen Bebauungsplan unberücksichtigt bleiben.

Das Verfahren zur Aufstellung des vorhabenbezogenen Bebauungsplans mit Vorhaben- und Erschließungsplan erfüllt die Vorgaben, um gemäß § 13a BauGB (Bebauungspläne der Innenentwicklung) i. V. m. § 13 BauGB im beschleunigten Verfahren durchgeführt zu werden.

§ 13 Abs. 2 und 3 Satz 1 BauGB gelten entsprechend.

Es wird darauf hingewiesen, dass gem. § 13 Abs. 3 BauGB von einer Umweltprüfung nach § 2 Abs. 4 BauGB, von dem Umweltbericht nach § 2 a BauGB, von der Angabe nach § 3 Abs. 2 Satz 2 BauGB, welche Arten umweltbezogener Informationen verfügbar sind, der zusammenfassenden Erklärung nach § 10a Abs. 1 BauGB und gem. § 13 Abs. 2 BauGB und § 13a Abs. 3 BauGB von der frühzeitigen Unterrichtung und Erörterung nach §§ 3 Abs. 1 und 4 Abs. 1 BauGB abgesehen wird.

Kirkel, den 06.01.2023
gez. Frank John, Bürgermeister