Titel Logo
Kirkeler Nachrichten
Ausgabe 31/2025
Amtliche Bekanntmachungen
Zurück zur vorigen Seite
Zurück zur ersten Seite der aktuellen Ausgabe

Bekanntmachung Aufstellungsbeschluss und frühzeitige Beteiligung der Öffentlichkeit

Bebauungsplan „Sportplatz FC Palatia Limbach“, Gemeinde Kirkel - Ortsteil Limbach

Der Gemeinderat der Gemeinde Kirkel hat am 03.07.2025 gem. § 1 Abs. 3 und § 2 Abs. 1 des Baugesetzbuches (BauGB) in der derzeit gültigen Fassung die Aufstellung des Bebauungsplans „Sportplatz FC Palatia Limbach“ beschlossen.

Der Beschluss über die Einleitung des Bebauungsplanverfahrens wird hiermit gem. § 2 Abs. 1 BauGB öffentlich bekannt gemacht.

Da der Flächennutzungsplan den geplanten Festsetzungen des Bebauungsplanes entspricht, ist dieser nicht zu ändern.

Gemäß § 3 Abs. 1 BauGB wird der Öffentlichkeit Gelegenheit gegeben, sich über die allgemeinen Ziele und Zwecke, sich wesentlich unterscheidende Lösungen sowie die voraussichtlichen Auswirkungen der Planungen zu informieren. Es besteht Gelegenheit zur Äußerung und Erörterung (Frühzeitige Beteiligung der Öffentlichkeit).

Die Behörden und sonstigen Träger öffentlicher Belange, deren Aufgabenbereich durch die Planung berührt werden kann, sind gem. § 3 Abs. 1 BauGB und § 4 Abs. 1 BauGB von der Auslegung zu benachrichtigen und zu beteiligen.

Das Ergebnis der frühzeitigen Beteiligung der Öffentlichkeit ist im weiteren Planaufstellungsverfahren zu beachten bzw. von den Beschlussgremien gewissenhaft abzuwägen.

Gemäß § 3 Abs. 2 BauGB wird hiermit öffentlich bekannt gemacht, dass der Entwurf des Bebauungsplanes einschließlich des Umweltberichtes in der Zeit vom 01.08.2025 bis einschließlich 02.09.2025 zu den üblichen Öffnungszeiten (Montag - Freitag von 8:00 Uhr bis 12:00 Uhr, Montag, Dienstag und Donnerstag von 13:30 Uhr bis 16:00 Uhr) im Rathaus der Gemeinde Kirkel, Hauptstraße 10, 66459 Kirkel, zu jedermanns Einsicht öffentlich ausliegt und eingesehen werden kann.

Die Unterlagen zur Planung finden Sie außerdem unter folgendem Link:

https://www.kirkel.de/oeffentliche-bekanntmachungen

Die Verarbeitung personenbezogener Daten erfolgt auf Grundlage des § 3 BauGB in Verbindung mit Art. 6 Abs. 1 Buchst. e DSGVO und dem Saarländisches Datenschutzgesetz. Sofern Sie ihre Stellungnahme ohne Absenderangaben abgeben, erhalten Sie keine Mitteilung über das Ergebnis der Prüfung. Weitere Informationen entnehmen Sie bitte dem Formblatt: Informationspflichten bei der Erhebung von Daten im Rahmen der Öffentlichkeitsbeteiligung nach BauGB (Art. 13 DSGVO), welches mit ausliegt.

Planungserfordernis:

Das wesentliche Ziel des Bebauungsplans ist es, den überwiegend für den Fußball genutzten Sportplatz planungsrechtlich zu sichern und seine Bedeutung als zentrale Sporteinrichtung im Ort langfristig zu erhalten.

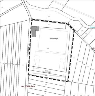
Das rund 2,3 ha große Plangebiet befindet sich nördlich des Ortsteils Limbach und wird durch die Straße „Zum Wäldchen“ erschlossen.

Der Geltungsbereich des Bebauungsplanes ist dem folgenden Lageplan zu entnehmen:

Kirkel, 01.08.2025
gez. Dominik Hochlenert, Bürgermeister