Titel Logo
Amtsblatt VG Landau-Land
Ausgabe 42/2022
Aus der Verbandsgemeinde Landau-Land
Zurück zur vorigen Seite
Zurück zur ersten Seite der aktuellen Ausgabe

Vollzug des Baugesetzbuches (BauGB)

Frühzeitige Öffentliche Auslegung des Entwurfes der 7. Teiländerung des Flächennutzungsplanes der Verbandsgemeinde Landau-Land für den Teilbereich Billigheim-Ingenheim

Der Verbandsgemeinderat Landau-Land hat in seiner Sitzung am 04.10.2022 dem Vorentwurf der 7. Teiländerung des Flächennutzungsplanes der Verbandsgemeinde Landau-Land für den Teilbereich Billigheim-Ingenheim, Stand 17.06.2022 mit Vorentwurf Erläuterungsbereich und Umweltbericht zugestimmt.

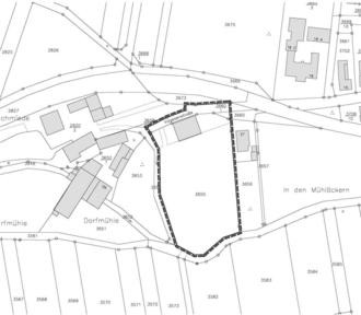
Die betroffenen Flächen sind aus beigefügten Planskizzen ersichtlich.

Der ca. 0,5 ha große Geltungsbereich der Teiländerung des Flächennutzungsplans der Verbandsgemeinde Landau-Land befindet sich am westlichen Rand der Gemarkung Billigheim-Ingenheim in unmittelbarer Nähe zur Klingbachmühle. Die Lage des Geltungsbereichs ergibt sich aus den nachfolgenden Übersichtsplänen.

Abb.1: Geltungsbereich des vorhabenbezogenen Bebauungsplans

Quelle: Kataster: Verbandsgemeindeverwaltung Landau-Land

Abb. 2: Übersichtsplan

Quelle: lanis.rlp

Abb. 3: Auszug aus dem wirksamen Flächennutzungsplan 2015 der Verbandsgemeinde Landau-Land

Abb. 3: Fassung zum Vorentwurf der 7. Teiländerung des Flächennutzungsplans 2015 der Verbandsgemeinde Landau-Land

Der Vorentwurf, Stand 17.06.2022 liegt mit Begründung allen weiteren Bestandteilen während eines Monats, und zwar vom 27.10.2022 bis einschließlich 28.11.2022 im Fachbereich Planen, Bauen und Umwelt der Verbandsgemeindeverwaltung Landau-Land in 76829 Landau i.d.Pf., An 44, Nr. 31, Haus 2 Zimmer 2.18 zu jedermanns Einsichtnahme während der Dienststunden Montag bis Donnerstagvormittag von 8.30 Uhr bis 12.00 Uhr, Freitagvormittag von 8.30 Uhr bis 12.30 Uhr, Dienstagnachmittag von 14.00 Uhr bis 16.00 Uhr und Donnerstagnachmittag von 14.00 Uhr bis 18.00 Uhr öffentlich aus.

Die Planunterlagen können auch unter folgender Internetadresse eingesehen werden:

https://www.landau-land.de/politik-verwaltung/bauen/offenlage-bauleitplaene/

Gemäß § 4a Absatz 6 in Verbindung mit § 3 Absatz 2 BauGB wird darauf hingewiesen, dass Stellungnahmen nur während der Auslegungsfrist abgegeben werden können und dass nicht fristgerecht abgegebene Stellungnahmen bei der Beschlussf

assung unberücksichtigt bleiben können. Die Stellungnahmen können schriftlich oder zur Niederschrift bei der Verbandsgemeindeverwaltung Landau-Land, An 44, Nr. 31, 76829 Landau i.d.Pf. vorgebracht werden.

Landau, den 20.10.2022
Verbandsgemeindeverwaltung Landau-Land
Torsten Blank, Bürgermeister