Titel Logo
Lebach Mittelpunkt des Saarlandes
Ausgabe 14/2025
Amtliche Bekanntmachungen
Zurück zur vorigen Seite
Zurück zur ersten Seite der aktuellen Ausgabe

Bekanntmachung des Satzungsbeschlusses

Vorhabenbezogener Bebauungsplan mit Vorhaben- und Erschließungsplan „Neubau Mehrfamilienhäuser Theelgrund“ in der Stadt Lebach, Stadtteil Lebach

Der Stadtrat hat mit Beschluss vom 27.03.2025 den vorhabenbezogenen Bebauungsplan mit Vorhaben- und Erschließungsplan „Neubau Mehrfamilienhäuser Theelgrund” gem. § 10 Abs. 1 BauGB als Satzung beschlossen. Dieser Beschluss wird hiermit gemäß § 10 Abs. 3 des Baugesetzbuches (BauGB) ortsüblich bekanntgemacht. Mit dieser Bekanntmachung tritt der Bebauungsplan in Kraft.

Dieser Bebauungsplan ersetzt in seinem Geltungsbereich die 1. Änderung des Bebauungsplanes „In der Dörrwies“ aus dem Jahr 1985.

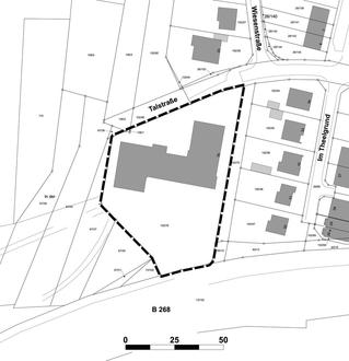
Die genauen Grenzen des Geltungsbereiches des Bebauungsplanes sind dem beigefügten Lageplan zu entnehmen. Er umfasst eine Fläche von ca. 4.400 m2.

Jedermann kann den vorhabenbezogenen Bebauungsplan mit Vorhaben- und Erschließungsplan „Neubau Mehrfamilienhäuser Theelgrund”, bestehend aus Plan und Begründung mit gutachterlicher Stellungnahme zur Beurteilung der Hochwassersituation, im Rathaus der Stadt, Am Markt 1, 66822 Lebach, Zimmer Nr. 308 (Bauamt) während der allgemeinen Dienststunden einsehen und über dessen Inhalt Auskunft verlangen.

Hinweise gem. §§ 214, 215 BauGB

Auf die Voraussetzungen für die Geltendmachung der Verletzung von Verfahrens- und Formvorschriften und von Mängeln der Abwägung sowie die Rechtsfolgen der §§ 214, 215 BauGB wird hingewiesen.

Unbeachtlich werden demnach:

1.

eine nach § 214 Abs. 1 Satz 1 Nr. 1 bis 3 BauGB beachtliche Verletzung der dort bezeichneten Verfahrens- und Formvorschriften,

2.

eine unter Berücksichtigung des § 214 Abs. 2 BauGB beachtliche Verletzung der Vorschriften über das Verhältnis des Bebauungsplans und des Flächennutzungsplans und

3.

nach § 214 Abs. 3 Satz 2 BauGB beachtliche Mängel des Abwägungsvorgangs,

wenn sie nicht innerhalb eines Jahres seit Bekanntmachung des Bebauungsplanes schriftlich gegenüber der Kommune unter Darlegung des die Verletzung begründenden Sachverhalts geltend gemacht worden sind. Dies gilt entsprechend, wenn Fehler nach § 214 Abs. 2a BauGB beachtlich sind.

Hinweise gem. § 12 Abs. 6 KSVG

Satzungen, die unter Verletzung von Verfahrens- oder Formvorschriften des Kommunalselbstverwaltungsgesetzes (KSVG) oder aufgrund dieses Gesetzes zustande gekommen sind, gelten ein Jahr nach der öffentlichen Bekanntmachung als von Anfang an gültig zustande gekommen. Dies gilt nicht, wenn

1.

die Vorschriften über die Genehmigung oder die öffentliche Bekanntmachung der Satzung verletzt worden sind,

2.

vor Ablauf der vorbezeichneten Frist (Satz 1 des § 12 Abs. 6 KSVG) der Bürgermeister dem Beschluss widersprochen oder die Kommunalaufsichtsbehörde den Beschluss beanstandet hat oder der Verfahrens- oder Formmangel gegenüber der Kommune unter Bezeichnung der Tatsache, die den Mangel ergibt, schriftlich gerügt worden ist.

Lebach, 04.04.2025
Klauspeter Brill
Der Bürgermeister

Lagepläne, o.M.

Geltungsbereich des vorhabenbezogenen Bebauungsplanes mit Vorhaben- und Erschließungsplan „Neubau Mehrfamilienhäuser Theelgrund“ in der Stadt Lebach, Stadtteil Lebach

Quelle und Stand Katastergrundlage: LVGL, 03.06.2024; Bearbeitung: Kernplan

Quelle: © GeoBasis DE/LVGL-SL (2025); Bearbeitung: Kernplan