Titel Logo
Lebach Mittelpunkt des Saarlandes
Ausgabe 27/2024
Amtliche Bekanntmachungen
Zurück zur vorigen Seite
Zurück zur ersten Seite der aktuellen Ausgabe

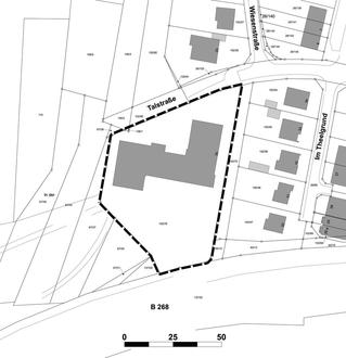
Lagepläne, o.M.

Quelle und Stand Katastergrundlage: LVGL, 03.06.2024; Bearbeitung: Kernplan

Quelle: ZORA, LVGL; Bearbeitung: Kernplan

Geltungsbereich des vorhabenbezogenen Bebauungsplanes mit Vorhaben- und Erschließungsplan „Neubau Mehrfamilienhäuser Theelgrund“ in der Stadt Lebach, Stadtteil Lebach