Titel Logo
Lebach Mittelpunkt des Saarlandes
Ausgabe 40/2022
Amtliche Bekanntmachungen
Zurück zur vorigen Seite
Zurück zur ersten Seite der aktuellen Ausgabe

Bekanntmachung der Aufstellung und der öffentlichen Auslegung des bebauungsplanes „Im Breitenfeld, 2. Erweiterung“ in der Stadt Lebach, Stadtteil Landsweiler

Gemäß § 2 Abs. 1 Baugesetzbuch (BauGB) wird hiermit öffentlich bekannt gemacht, dass der Rat der Stadt Lebach in seiner Sitzung am 22.09.2022 die Einleitung des Verfahrens zur Aufstellung des Bebauungsplanes „Im Breitenfeld, 2. Erweiterung“ beschlossen hat.

In der gleichen Sitzung hat der Rat der Stadt Lebach den Entwurf des Bebauungsplanes „Im Breitenfeld, 2. Erweiterung“, bestehend aus der Planzeichnung und dem Textteil, gebilligt und die öffentliche Auslegung gem. gem. § 13 b Abs. 2 Nr. 1 i.V.m. § 13 Abs. 2 Nr. 2 BauGB und § 3 Abs. 2 BauGB in der derzeit gültigen Fassung beschlossen.

Ziel des Bebauungsplanes „Im Breitenfeld, 2. Erweiterung“ ist die Schaffung der planungsrechtlichen Voraussetzungen zur Erweiterung des bestehenden Wohngebietes „Im Breitenfeld“, um einen weiteren Abschnitt, um auf die steigende Nachfrage an Bauplätzen zu reagieren.

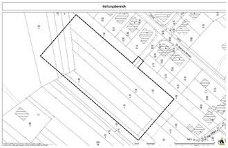
Der Geltungsbereich des Bebauungsplanes „Im Breitenfeld, 2. Erweiterung“ umfasst aktuell die Parzellen 29/4 und 30/1 sowie Teile der Parzellen 28/1, 29/3, 30/3, 31/4, 32/4, 33/1, 34/1, 34/3, 67/4, 67/9, 67/11 und 67/16 in Flur 9 der Gemarkung Landsweiler (siehe Plan).

Der Bebauungsplan soll im beschleunigten Verfahren gemäß § 13 b BauGB ohne Durchführung einer Umweltprüfung nach § 2 Abs. 4 BauGB sowie ohne Durchführung der frühzeitigen Beteiligung der Öffentlichkeit und der Behörden und Träger öffentlicher Belange gem. § 3 Abs. 1 und § 4 Abs. 1 BauGB aufgestellt werden. Im § 13 b BauGB wird das „beschleunigte Verfahren“ für bestimmte Außenbereichsflächen geregelt. Danach können Bebauungspläne aufgestellt werden, wenn in ihnen eine zulässige Grundfläche im Sinne des § 13a Abs. 1 S. 2 BauGB von weniger als 10.000 m² festgesetzt wird, die Zulässigkeit von Wohnnutzung begründet wird und die Fläche sich an im Zusammenhang bebaute Ortsteile anschließt. Zudem muss das Aufstellungsverfahren bis zum 31. Dezember 2022 förmlich eingeleitet werden.

Gemäß § 3 Abs. 2 BauGB wird hiermit öffentlich bekannt gemacht, dass der Entwurf des Planes und die dazugehörige Begründung in der Zeit

vom 17.10.2022 bis einschließlich 18.11.2022

während der allgemeinen Dienststunden (Montag-Dienstag: 08.00 - 12.00 Uhr und 14.00 - 16.00 Uhr, Mittwoch: 08:00 - 12:00 Uhr, Donnerstag: 08:00 - 12:00 Uhr und 14:00 - 18:00 Uhr, Freitag: 08:00 - 12:00 Uhr) im Rathaus der Stadt Lebach, Bauamt, Zimmer 308 zu jedermanns Einsicht öffentlich ausliegt.

Gleichzeitig wird der Bebauungsplan im Internet auf der Homepage der Stadt Lebach (https://www.lebach.de/lebach/rathaus/fachbereiche-und-sachgebiete/fb-5-bauen-stadtplanung-umwelt/sg-401-hochbau-tiefbau-technik/ausschreibungen) zum Download bereitgestellt.

Es ist davon auszugehen, dass der Zeitraum der Auslegung der Komplexität der Planungsaufgabe angemessen ist.

Folgende Unterlagen liegen vor:

Diese öffentliche Bekanntmachung nach § 3 Abs. 2 BauGB

Planzeichnung des Bebauungsplanes (Teil A)

Textteil des Bebauungsplanes (Teil B)

Begründung des Bebauungsplanes

Zusätzlich besteht die Möglichkeit zur Teilnahme am elektronischen Beteiligungsverfahren. Unter der Internetadresse

https://argusconcept.planungsbeteiligung.de

kann jedermann Einsicht in die vollständigen Unterlagen zum Verfahren nehmen. Dieser Dienst steht nur während der Beteiligungsfristen vom 17.10.2022 bis einschließlich 18.11.2022 zur Verfügung.

Während der Auslegungsfrist können gemäß § 3 Abs. 2 BauGB von jedermann Stellungnahmen schriftlich, zur Niederschrift oder elektronisch per Email an die Adresse: Bauamt@lebach.de vorgebracht werden. Über die Beteiligungsplattform des Planungsbüros können zudem Stellungnahmen direkt beim Planungsbüro eingereicht werden. Nicht fristgerecht abgegebene Stellungnahmen können bei der Beschlussfassung über die Ergänzungssatzung unberücksichtigt bleiben.

Hinweis aufgrund der Corona-Pandemie

Zur Gewährleistung eines größtmöglichen Schutzes in der derzeit anhaltenden Corana-Pandemie wird um eine telefonische Anmeldung unter 06881/59272 gebeten. Die im öffentlichen Raum derzeit übliche Abstandsregelung (mindestens 1,50 m zu anderen Personen) sowie das Tragen eines geeigneten Mund-Nasenschutzes ist auch innerhalb des Rathauses zu beachten.

Hinweis zum Datenschutz

Im Rahmen der Abgabe einer Stellungnahme werden personenbezogene Daten, insbesondere Namen, Anschrift, Telefonnummer, die allein zur Information über das durchgeführte Verfahren dienen, verarbeitet. Mit Abgabe einer Stellungnahme erklärt sich die abgebende Person mit dieser Verarbeitung einverstanden. Sie willigt ein, dass die Stadt Lebach oder ein von der Stadt eingeschalteter Dritter (hier ein externes Planungsbüro) ihr postalisch oder per E-Mail Informationen zum durchgeführten Verfahren zukommen lässt. Sie ist gemäß § 15 der Datenschutz-Grundverordnung (DSGVO) jederzeit berechtigt, die Stadt Lebach oder den von der Stadt eingeschalteten Dritten um umfangreiche Auskunftserteilung zu den zu ihrer Person gespeicherten Daten zu ersuchen. Gemäß § 17 DSGVO kann sie jederzeit gegenüber der Stadt Lebach oder dem von der Stadt einschalteten Dritten die Berichtigung, Löschung und Sperrung einzelner personenbezogener Daten verlangen.

Im Zusammenhang mit dem Datenschutz weist die Stadt Lebach ausdrücklich darauf hin, dass ein Bauleitplanverfahren ein öffentliches Verfahren ist und daher in der Regel alle dazu eingehenden Stellungnahmen in öffentlichen Sitzungen beraten und entschieden werden. Soll eine Stellungnahme nur anonym behandelt werden, ist dies auf derselben eindeutig zu vermerken.

Lebach, 07.10.2022
Klauspeter Brill, Bürgermeister