Titel Logo
Waldecker Nachrichten
Ausgabe 8/2025
Amtliche Bekanntmachungen
Zurück zur vorigen Seite
Zurück zur ersten Seite der aktuellen Ausgabe

Amtliche Bekanntmachungen

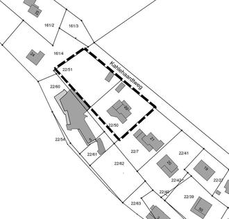
Räumlicher Geltungsbereich Bebauungsplan zur 15. Änderung des Bebauungsplans Nr. 3 „Halbinsel Scheid“, Stadtteil Nieder-Werbe der Nationalparkstadt Waldeck – ohne Maßstab

Bebauungsplan zur 15. Änderung des Bebauungsplans Nr. 3 „Halbinsel Scheid“, Stadtteil Nieder-Werbe der Nationalparkstadt Waldeck, gemäß § 2 Abs. 1 Baugesetzbuch (BauGB)

Gemäß § 2 Abs. 1 BauGB wird hiermit Folgendes öffentlich bekannt gemacht:

I. Beschluss

Die Stadtverordnetenversammlung der Nationalparkstadt Waldeck hat in ihrer Sitzung am 13.12.2024 die Aufstellung des Bebauungsplans zur 15. Änderung des Bebauungsplans Nr. 3 „Halbinsel Scheid“, Stadtteil Nieder-Werbe der Nationalparkstadt Waldeck beschlossen. Der Aufstellungsbeschluss wird hiermit öffentlich bekannt gemacht.

II. Darlegung allgemeiner Ziele und Zwecke der Planung

1. Räumlicher Umfang

Die Abgrenzung des Geltungsbereiches ist aus der beigefügten Skizze ersichtlich.

2. Aufstellungsgründe

Die 15. Änderung des Bebauungsplans Nr. 3 „Halbinsel Scheid“ umfasst einen Teilbereich der 11. Änderung des Ursprungsbebauungsplans.

Aufgrund der geplanten Setzung des Neubaus befindet sich ein Anteil von rund der Hälfte der geplanten Grundfläche des Gebäudes außerhalb der zeichnerisch festgesetzten überbaubaren Grundstücksflächen. Mit der Umsetzung der Planung ist auch eine zusätzliche Fällung von drei Bäumen erforderlich.

Die zusätzlich zu fällenden Bäume sind gemäß dem rechtsgültigen Bebauungsplan jedoch als zu erhaltende Bäume festgesetzt.

Gemäß § 31 Abs. 2 Baugesetzbuch (BauGB) kann von den Festsetzungen des Bebauungsplans befreit werden, wenn die Grundzüge der Planung nicht berührt werden. Die zeichnerische Festsetzung zur Abgrenzung der überbaubaren Grundstücksflächen sowie die Festsetzung zum Erhalt von Bäumen stellen jedoch Grundzüge der Planung dar. Der Bebauungsplan zur 11. Änderung des Bebauungsplans Nr. 3 „Halbinsel Scheid“ ist aus diesem Grund für seinen nördlichen Teilbereich aufzuheben und durch die neu aufzustellende 15. Änderung des Bebauungsplans Nr. 3 „Halbinsel Scheid“ zu ersetzen.

3. Abgrenzung des Geltungsbereiches

Waldeck, den 18.02.2025
Der Magistrat der Nationalparkstadt Waldeck
gez. Jürgen Vollbracht
-Bürgermeister-