Die Verbandsgemeindeverwaltung Maikammer erlässt nach § 36 des Landesstraßengesetzes für Rheinland-Pfalz (LStrG) vom 01.08.1977 (GVBI. S. 273), zuletzt geändert durch das Landesgesetz zur Änderung des LStrG vom 07.12.2022 (GVBI. S. 413), in der jeweils gültigen Fassung in Verbindung mit § 14 LStrG in Verbindung mit § 68 Abs. 2 Gemeindeordnung (GemO) in der Fassung vom 31.01.1994 (GVBI. S. 153), zuletzt geändert durch den Artikel 2 des Gesetzes vom 24.05.2023 (GVBI. S. 133) als zuständige Behörde namens und im Auftrag der Ortsgemeinde St. Martin folgende Widmungsverfügung:
Die nachfolgenden Verkehrsflächen werden gemäß § 36 Abs. 1 LStrG, als Gemeindestraße im Sinne des § 3 Ziffer 3 a) LStrG mit sofortiger Wirkung dem öffentlichen Verkehr gewidmet:
| Straßenbezeichnung | Gemarkung | Flurstück | Straßengruppe | Beschränkungen |
| An der Zitadelle | St. Martin | 4602/0 | Gemeindestraße | keine |
| Bergstraße | St. Martin | 392/27 | Gemeindestraße | keine |
| Dompropst-Dr.-Weindel-Straße | St. Martin | 4602/2 | Gemeindestraße | keine |
| Dompropst-Dr.-Weindel-Straße | St. Martin | 4602/4 | Gemeindestraße | keine |
| Dompropst-Dr.-Weindel-Straße | St. Martin | 4643/14 | Gemeindestraße | keine |
| (Teilfläche von 28 qm; siehe Lageplan rot markiert) | ||||
| Edenkobener Straße | St. Martin | 101/5 | Gemeindestraße | keine |
| Edenkobener Straße | St. Martin | 102/2 | Gemeindestraße | keine |
| Edenkobener Straße | St. Martin | 392/14 | Gemeindestraße | keine |
| (Teilfläche von 717 qm; siehe Lageplan rot markiert) | ||||
| Edenkobener Straße | St. Martin | 392/15 | Gemeindestraße | keine |
| Edenkobener Straße | St. Martin | 1958/2 | Gemeindestraße | keine |
| Edenkobener Straße | St. Martin | 2970/2 | Gemeindestraße | keine |
| Edenkobener Straße (Parkplatz) | St. Martin | 5813/0 | Gemeindestraße | keine |
| Edenkobener Straße | St. Martin | 5818/0 | Gemeindestraße | keine |
| Edenkobener Straße | St. Martin | 6376/0 | Gemeindestraße | keine |
| Einlaubstraße | St. Martin | 392/8 | Gemeindestraße | keine |
| Einlaubstraße | St. Martin | 4933/42 | Gemeindestraße | keine |
| (Teilfläche von 3083 qm; siehe Lageplan rot markiert) | ||||
| Emserstraße | St. Martin | 392/10 | Gemeindestraße | keine |
| Finsterlandstraße | St. Martin | 405/0 | Gemeindestraße | keine |
| Franz-Schweizer-Straße | St. Martin | 5046/0 | Gemeindestraße | keine |
| Franz-Schweizer-Straße | St. Martin | 5053/0 | Gemeindestraße | keine |
| (Teilfläche von 661 qm; siehe Lageplan rot markiert) | ||||
| Friedhofstraße | St. Martin | 392/18 | Gemeindestraße | keine |
| Friedhofstraße | St. Martin | 413 | Gemeindestraße | keine |
| Friedhofstraße | St. Martin | 415/1 | Gemeindestraße | keine |
| Friedhofstraße | St. Martin | 891/0 | Gemeindestraße | keine |
| Friedhofstraße | St. Martin | 892/4 | Gemeindestraße | keine |
| Friedhofstraße | St. Martin | 894/5 | Gemeindestraße | keine |
| Friedhofstraße | St. Martin | 894/7 | Gemeindestraße | keine |
| Haardtgasse | St. Martin | 392/13 | Gemeindestraße | keine |
| Haardtgasse | St. Martin | 3543/3 | Gemeindestraße | keine |
| Haardtgasse | St. Martin | 6495/2 | Gemeindestraße | keine |
| (Teilfläche von 271 qm; siehe Lageplan rot markiert) | ||||
| Heinrich-Lorenz-Straße | St. Martin | 4890/8 | Gemeindestraße | keine |
| Heinrich-Lorenz-Straße | St. Martin | 4890/10 | Gemeindestraße | keine |
| Heinrich-Lorenz-Straße | St. Martin | 4890/12 | Gemeindestraße | keine |
| Heinrich-Lorenz-Straße | St. Martin | 4890/19 | Gemeindestraße | keine |
| Hintergasse | St. Martin | 392/6 | Gemeindestraße | keine |
| Hornbrücke | St. Martin | 56/0 | Gemeindestraße | keine |
| Hornbrücke | St. Martin | 58/0 | Gemeindestraße | keine |
| Hornbrücke | St. Martin | 58/3 | Gemeindestraße | keine |
| Im Bannholz | St. Martin | 468/0 | Gemeindestraße | keine |
| Im Bannholz | St. Martin | 5063/1 | Gemeindestraße | keine |
| Im Dörnel | St. Martin | 4532/1 | Gemeindestraße | keine |
| (Teilfläche von 6 qm; siehe Lageplan rot markiert) | ||||
| Im Dörnel | St. Martin | 4542/5 | Gemeindestraße | keine |
| (Teilfläche von 2161 qm; siehe Lageplan rot markiert) | ||||
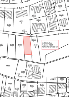
| Im Stöckelfeld | St. Martin | 4182/3 | Gemeindestraße | keine |
| (Teilfläche von 299 qm; siehe Lageplan rot markiert) | ||||
| Im Stöckelfeld | St. Martin | 4182/4 | Gemeindestraße | keine |
| (Teilfläche von 360 qm; siehe Lageplan rot markiert) | ||||
| Im Stöckelfeld (östliche Teilfläche) | St. Martin | 4264/1 | Gemeindestraße | keine |
| (Teilfläche von 1475 qm; siehe Lageplan rot markiert) | ||||
| Im Stöckelfeld (westliche Teilfläche) | St. Martin | 4264/1 | Gemeindestraße | keine |
| (Teilfläche von 131 qm; siehe Lageplan rot markiert) | ||||
| Im Stöckelfeld | St. Martin | 4271/3 | Gemeindestraße | keine |
| (Teilfläche von 4 qm; siehe Lageplan rot markiert) | ||||
| Im Stöckelfeld | St. Martin | 4272/5 | Gemeindestraße | keine |
| Jahnstraße | St. Martin | 392/3 | Gemeindestraße | keine |
| Jahnstraße | St. Martin | 422/0 | Gemeindestraße | keine |
| Jahnstraße | St. Martin | 599/1 | Gemeindestraße | keine |
| Jahnstraße | St. Martin | 5728/2 | Gemeindestraße | keine |
| (Teilfläche von 165 qm; siehe Lageplan rot markiert) | ||||
| Jahnstraße | St. Martin | 5731/2 | Gemeindestraße | keine |
| (Teilfläche von 18 qm; siehe Lageplan rot markiert) | ||||
| Kellereistraße | St. Martin | 180/0 | Gemeindestraße | keine |
| (Teilfläche von 6 qm; siehe Lageplan rot markiert) | ||||
| Kellereistraße | St. Martin | 181/1 | Gemeindestraße | keine |
| Kellereistraße | St. Martin | 3717/4 | Gemeindestraße | keine |
| (Teilfläche von 231 qm; siehe Lageplan rot markiert) | ||||
| Kirchstraße | St. Martin | 392/26 | Gemeindestraße | keine |
| Kreuzweg | St. Martin | 392/9 | Gemeindestraße | keine |
| Kreuzweg | St. Martin | 3743/3 | Gemeindestraße | keine |
| (Teilfläche von 64 qm; siehe Lageplan rot markiert) | ||||
| Lärchengasse | St. Martin | 392/12 | Gemeindestraße | keine |
| Ludwig-Schreieck-Straße (Parkplatz) | St. Martin | 5071/5 | Gemeindestraße | keine |
| (Teilfläche von 64 qm; siehe Lageplan rot markiert) | ||||
| Ludwig-Schreieck-Straße | St. Martin | 5072/0 | Gemeindestraße | keine |
| (Teilfläche von 573 qm; siehe Lageplan rot markiert) | ||||
| Maikammerer Straße | St. Martin | 312/13 | Gemeindestraße | keine |
| Maikammerer Straße | St. Martin | 392/19 | Gemeindestraße | keine |
| (Teilfläche von 98 qm; siehe Lageplan rot markiert) | ||||
| Maikammerer Straße | St. Martin | 392/24 | Gemeindestraße | keine |
| Maikammerer Straße | St. Martin | 1029/7 | Gemeindestraße | keine |
| Maikammerer Straße | St. Martin | 1425/4 | Gemeindestraße | keine |
| Maikammerer Straße | St. Martin | 1431/3 | Gemeindestraße | keine |
| Maikammerer Straße | St. Martin | 1433/5 | Gemeindestraße | keine |
| Maikammerer Straße | St. Martin | 1443/2 | Gemeindestraße | keine |
| Maikammerer Straße | St. Martin | 1444/11 | Gemeindestraße | keine |
| Maikammerer Straße | St. Martin | 1446/2 | Gemeindestraße | keine |
| Maikammerer Straße | St. Martin | 5424/0 | Gemeindestraße | keine |
| Mühlstraße/Zimmerplatz | St. Martin | 392/2 | Gemeindestraße | keine |
| Mühlstraße/Zimmerplatz | St. Martin | 392/7 | Gemeindestraße | keine |
| (Teilfläche von 1456 qm; siehe Lageplan rot markiert) | ||||
| Richard-Platz-Straße | St. Martin | 5024/1 | Gemeindestraße | keine |
| (Teilfläche von 652 qm; siehe Lageplan rot markiert) | ||||
| Riedweg | St. Martin | 1453/7 | Gemeindestraße | keine |
| Riedweg (Parkplatz) | St. Martin | 5781/0 | Gemeindestraße | keine |
| Riedweg | St. Martin | 5782/1 | Gemeindestraße | keine |
| Riedweg | St. Martin | 5783/0 | Gemeindestraße | keine |
| Riedweg (Parkplatz) | St. Martin | 5784/0 | Gemeindestraße | keine |
| Talstraße (Parkplatz) | St. Martin | 4197/2 | Gemeindestraße | keine |
| (Teilfläche von 436 qm; siehe Lageplan rot markiert) | ||||
| Talstraße | St. Martin | 4262/9 | Gemeindestraße | keine |
| (Teilfläche von 4539 qm; siehe Lageplan rot markiert) | ||||
| Tanzstraße (Parkplatz) | St. Martin | 88/0 | Gemeindestraße | keine |
| Tanzstraße | St. Martin | 392/28 | Gemeindestraße | keine |
| Tanzstraße | St. Martin | 392/29 | Gemeindestraße | keine |
| Tanzstraße | St. Martin | 392/30 | Gemeindestraße | keine |
| Tina-Will-Straße | St. Martin | 5030/0 | Gemeindestraße | keine |
| (Teilfläche von 249 qm; siehe Lageplan rot markiert) | ||||
| Von-Dalberg-Straße | St. Martin | 5005/0 | Gemeindestraße | keine |
| Von-Dalberg-Straße | St. Martin | 5013/1 | Gemeindestraße | keine |
| (Teilfläche von 355 qm; siehe Lageplan rot markiert) | ||||
| Von-Dalberg-Straße | St. Martin | 5084/0 | Gemeindestraße | keine |
| Waasenweg | St. Martin | 4643/4 | Gemeindestraße | keine |
| Waasenweg | St. Martin | 5729/2 | Gemeindestraße | keine |
| (Teilfläche von 20 qm; siehe Lageplan rot markiert) | ||||
| Wooggasse | St. Martin | 4890/21 | Gemeindestraße | keine |
| Wooggasse | St. Martin | 4890/22 | Gemeindestraße | keine |
| Wooggasse | St. Martin | 4167/2 | Gemeindestraße | keine |
| (Teilfläche von 17 qm; siehe Lageplan rot markiert) | ||||
Die Widmung erfolgt mit sofortiger Wirkung; die Verkehrsübergabe ist bereits erfolgt. Der Landesbetrieb Mobilität Speyer hat mit Schreiben vom 19.11.2024 gem. § 36 Abs. 1 S. 2 LStrG dieser Widmung zugestimmt. Die beigefügten Lagepläne sind Bestandteil dieser Widmungsverfügung.
Begründung:
Die Widmung ist erforderlich, weil für die zu widmenden Flächen die Voraussetzungen des Gemeingebrauch nach § 34 Abs. 1 LStrG vorliegen. Demnach sollen die Flächen für jedermann als öffentliche Straßenverkehrsfläche zu Verfügung stehen.
Die Widmungsunterlagen können während der Sprechzeiten
| Montag, Dienstag | 08:30 Uhr – 12:00 Uhr und 14:00 Uhr – 16:00 Uhr |
| Mittwoch | 08:30 Uhr – 12:00 Uhr |
| Donnerstag | 08:30 Uhr – 12:00 Uhr und 14:00 Uhr – 18:00 Uhr |
| Freitag | 08:30 Uhr – 12:30 Uhr |
bei der Verbandsgemeindeverwaltung Maikammer, Zimmer 015 (EG), Immengartenstraße 24, 67487 Maikammer eingesehen werden.
Hierzu bitten wir vorab telefonisch einen Termin unter der Rufnummer 06321-5899-51/-57 (Frau Sandra Utech/Herr Julian Schultz) zu vereinbaren.
Rechtsbehelfsbelehrung:
Gegen diesen Bescheid kann innerhalb eines Monats nach Bekanntgabe Widerspruch bei der Verbandsgemeindeverwaltung Maikammer, Immengartenstr. 24, 67487 Maikammer schriftlich, in elektronischer Form nach § 3 a des Verwaltungsverfahrensgesetzes oder zur Niederschrift erhoben werden.