Titel Logo
Homberg Efze aktuell
Ausgabe 3/2025
Amtliche Bekanntmachungen
Zurück zur vorigen Seite
Zurück zur ersten Seite der aktuellen Ausgabe

Amtliche Bekanntmachungen

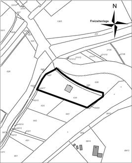
Vervielfältigung und Veröffentlichung genehmigt durch Hess. Landesvermessungsamt, Wiesbaden, unter Az.: K 5401 B-LA 3 / Verv. Nr. 86-1-034 am 20.02.1986.

zum Flächennutzungsplan der Kreisstadt Homberg (Efze) zur Ausweisung einer Grünfläche -Erholungspark/Efzepark-;

hier: Öffentliche Auslegung gem. § 3 (2) BauGB

Gemäß § 3, Abs. 2 des Baugesetzbuches (BauGB) in der derzeit geltenden Fassung wird hiermit bekanntgegeben, dass für o. g. Gebiet eine Änderung Nr. 27 zum Flächennutzungsplan der Kreisstadt Homberg (Efze beschlossen worden ist.

Der Entwurf, die Begründung mit Umweltbericht sowie vorliegende umweltbezogene Stellungnahmen liegen in der Zeit vom

20. Januar 2025 bis einschließlich 20. Februar 2025

in den Räumen des Fachbereichs Wirtschaftsförderung/Stadtentwicklung/Tourismus, Marktplatz 5, 34576 Homberg (Efze) zu jedermanns Einsichtnahme aus und können während der allgemeinen Öffnungszeiten (Montag bis Freitag von 08:00 Uhr bis 12:00 Uhr und Donnerstag von 14:00 Uhr bis 18.00 Uhr) sowie auch außerhalb der Öffnungszeiten nach vorheriger telefonischer Vereinbarung unter Tel.: 05681 - 994-141 bzw. 05681 - 994-144 eingesehen werden.

Es wird darauf hingewiesen, dass folgende umweltbezogene Informationen vorliegen:

Umweltbericht

-

Inhalt und wichtigste Ziele des Bebauungsplanes

-

In Betracht kommende anderweitige Planungsmöglichkeiten

-

Darstellung der in Fachgesetzen und Fachplänen festgelegten umweltrelevanten Ziele und ihre Begründung

-

Methoden der Umweltprüfung, Räumliche und inhaltliche Abgrenzung

-

Beschreibung und Bewertung der Umweltauswirkungen ( Schutzgut Fläche, Schutzgut Boden, Schutzgut Wasser, Schutzgut Klima/Luft, Schutzgut Landschaftsbild, Schutzgut Mensch, Schutzgut Kultur- u. Sachgüter, Sachgerechter Umgang mit Abfällen und Abwässer, Zu erwartende vorhabenbedingte schwere Unfälle oder Katastrophen, Schutzgut Tiere u. Pflanzen - Artenschutzrechtliche Betrachtung)

-

Zusammengefasste Umweltauswirkungen

-

Prognose über die Entwicklung des Umweltzustandes bei Nichtdurchführung der Planung (Nullvariante)

-

Maßnahmen zur Vermeidung, Verringerung und zum Ausgleich der nachteiligen Auswirkungen

-

Allgemein verständliche Zusammenfassung

7 Stellungnahmen von Behörden und sonstigen Trägern öffentlicher Belange

-

RP Kassel Dez. Forsten, Jagd: keine forstrechtlichen Bedenken

-

RP Kassel Umweltamt Dez. 31.1-FB Altlasten u. Bodenschutz - Altlasten/Altflächen: Hinweis zu belastende Eintragung im Fachinformationssystem Altflächen und Grundwasserschädensfälle (FIS AG zum Planungsgebiet) und keine Bedenken aus altlastenrechtlicher und -fachlicher Sicht; - Bodenschutz: keine Bedenken

-

RP Kassel Umweltamt Dez. 31.3-Oberirdische Gewässer, Hochwasserschutz: keine Bedenken, bei Korrektur textl. Festsetzung 2.1 „Überschwemmungsgebiet“ im Bebauungsplan

-

RP Kassel Umweltamt Dez. 31.5-Kommunales Abwasser, Gewässergüte: liegt in der Zuständigkeit der Unteren Wasserbehörde

Dez. 31.5-Industrielles Abwasser, Wassergefährdende Stoffe: Belange werden nicht berührt

-

RP Kassel Bergaufsicht - Belange des Bergbaus werden nicht berührt

-

Kreisausschuss AG 60.3 - Bauen und Umwelt

Aus wasseraufsichtlicher Sicht keine grundsätzlichen Bedenken

UNB - keine grundsätzlichen Bedenken aus Sicht des Naturschutzes und der Landschaftspflege bei Berücksichtigung zu (1) Biotopschutz nach § 30 BNatSchG: nicht betroffen; (2) Artzenschutz gem. §§ 44 ff BNatSchG: Beachtung von artenschutzrechtlichen Belange; (3) Europäisches Netz „Natura 2000“ gem. §§ 31 ff. BnatSchG - nicht beeinträchtigt; (4) Lebensraumtypen gem. Anhang I der FFH-Richtlinie: nicht betroffen

-

Kreisausschuss FB 83-Landwirtschaft u. Landentwicklung - keine Bedenken u. Anregungen aus landwirtschaftlicher Sicht

Weiterhin wird darauf hingewiesen, dass eine Vereinigung im Sinne des § 4 Absatz 3 Satz 1 Nummer 2 des Umwelt-Rechtsbehelfsgesetzes in einem Rechtsbehelfsverfahren nach § 7 Absatz 2 des Umwelt-Rechtsbehelfsgesetzes gem. § 7 Absatz 3 Satz 1 des Umwelt-Rechtsbehelfsgesetzes mit allen Einwendungen ausgeschlossen ist, die sie im Rahmen der Veröffentlichung-frist nicht oder nicht rechtzeitig geltend gemacht hat, aber hätte geltend machen können.

Erläuterungen können im FB Wirtschaftsförderung/Stadtentwicklung/ Tourismus während dieser Zeit gegeben werden.

Der Plan und die entsprechenden Unterlagen sind auch über die Internetseiten der Stadt Homberg (Efze) mit folgendem Link als pdf-Dateien abrufbar:

https://www.homberg-efze.de/wirtschaft-stadtentwicklung/stadtentwicklung/bauleitplanung/ laufende-bauleitplanungsverfahren/Flächennutzungsplan Nr. 27

Weiterhin stehen die Unterlagen über das zentrale Internetportal des Landes Hessen zur Verfügung.

Etwaige Anregungen können während der Auslegungszeit beim Magistrat der Stadt Homberg (Efze) -FB Wirtschaftsförderung/Stadtentwicklung/Tourismus-, Rathaus, Rathausgasse 1, 34576 Homberg (Efze), vorgebracht werden. Die Stellungnahmen sollen elektronisch unter wifoestadtentwtour@homberg-efzde.de übermittelt werden, sie können aber auch bei Bedarf schriftlich oder zur Niederschrift abgegeben werden. Nicht fristgerecht abgegebene Stellungnahmen können bei der Beschlussfassung über den Flächennutzungsplan unberücksichtigt bleiben.

Nach Prüfung der fristgerecht vorgebrachten Stellungnahmen wird den Beteiligten das Ergebnis der Entscheidung mitgeteilt.

Die Vorbereitung und Durchführung von Verfahrensschritten nach §§ 2 a bis 4 a BauGB kann einem Dritten übertragen werden. Gemäß § 4 b BauGB wurde das Büro für Ingenieurbiologie und Landschaftsplanung, BIL, Witzenhausen, mit der Durchführung der Verfahrensschritte beauftragt.

Homberg (Efze), den 08.01.2025
Der Magistrat
- FB II/3 WST -
gez.
Claudia Ulrich
Erste Stadträtin