Titel Logo
Homberg Efze aktuell
Ausgabe 30/2025
Amtliche Bekanntmachungen
Zurück zur vorigen Seite
Zurück zur ersten Seite der aktuellen Ausgabe

Amtliche Bekanntmachungen

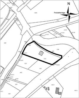
Vervielfältigung und Veröffentlichung genehmigt durch Hess. Landesvermessungsamt, Wiesbaden, unter Az.: K 5401 B-LA 3 / Verv. Nr. 86-1-034 am 20.02.1986.

der Kreisstadt Homberg (Efze) zur Ausweisung als öffentliche Grünfläche - Erholungspark/Efzepark - mit Freizeiteinrichtungen;

hier: Schlussbekanntmachung

Die Stadtverordnetenversammlung der Kreisstadt Homberg (Efze) hat am 27.03.2025 mit Beschluss Nr. 9 über die Stellungnahmen der Träger öffentlicher Belange entschieden und danach die Änderung Nr. 2 zum Bebauungsplan Nr. 34 als Satzung beschlossen.

Gegenstand: Aufstellung einer Änderung Nr. 2 zum Bebauungsplan Nr. 34 der Kreisstadt Homberg (Efze) zur Ausweisung als öffentliche Grünfläche - Erholungspark/Efzepark - mit Freizeiteinrichtungen

hier:

Abwägung über die während der öffentlichen Auslegung gem. § 3 (2) BauGB sowie der Beteiligung der Behörden und sonstigen Träger öffentlicher Belange gem. § 4 (2) BauGB eingegangenen Stellungnahmen der Träger öffentlicher Belange und Satzungsbeschluss

Beschluss: pp.

Weiterhin wird der Satzungsbeschluss gefasst.

Der Bebauungsplan, die zugehörige Begründung mit Umweltbericht und die zusammenfassende Erklärung über die Art und Weise, wie die Umweltbelange und die Ergebnisse der Öffentlichkeits- und Behördenbeteiligung bei der Aufstellung für die Änderung Nr. 2 zum Bebauungsplan Nr. 34 berücksichtigt wurden, können in den Räumen des FB Wirtschaftsförderung/Stadtentwicklung/Tourismus, Marktplatz 5, 34576 Homberg (Efze), während der allgemeinen Öffnungszeiten (Montag bis Freitag von 08:00 Uhr bis 12:00 Uhr und Donnerstag von 14:00 Uhr bis 18:00 Uhr) sowie auch außerhalb der Öffnungszeiten nach vorheriger telefonischer Terminvereinbarung unter Tel.: 05681 - 994-141 bzw. 994-144 von jedermann eingesehen werden und über deren Inhalt auch Auskunft verlangen.

Der Plan und die entsprechenden Unterlagen sind auch über die Internetseiten der Stadt Homberg (Efze) mit folgendem Link als pdf-Dateien abrufbar:

https://www.homberg-efze.de / wirtschaft-stadtentwicklung / stadtentwicklung / bauleitplanung/ laufende -bauleitplanungsverfahren / Bebauungsplan Nr. 34/2

Weiterhin stehen die Unterlagen über das zentrale Internetportal des Landes Hessen zur Verfügung.

Mit dieser Bekanntmachung tritt die Änderung Nr. 2 zum Bebauungsplan Nr. 34 in Kraft.

Es wird darauf hingewiesen, dass die Verletzung der in § 214 des Baugesetzbuches, in der derzeit gültigen Fassung, bezeichneten Verfahrens- und Formvorschriften dann unbeachtlich ist, wenn sie nicht innerhalb eines Jahres seit dieser Bekanntmachung schriftlich gegenüber der Gemeinde geltend gemacht worden ist. Der Sachverhalt, der die Verletzung von Verfahrens- und Formvorschriften oder den Mangel der Abwägung begründen soll, ist darzulegen.

Auf die Vorschriften des § 44 Abs. 3 Satz 1 und 2 sowie Abs. 4 des Baugesetzbuches, in der derzeit gültigen Fassung, über die Entschädigung von durch den Bebauungsplan eintretenden Vermögensnachteilen sowie über die Fälligkeit und das Erlöschen entsprechender Entschädigungsansprüche wird hingewiesen.

Homberg (Efze), den 16.07.2025
Der Magistrat
- FB II/3 WST-
gez. Claudia Ulrich
Erste Stadträtin