Titel Logo
Homberg Efze aktuell
Ausgabe 41/2024
Amtliche Bekanntmachungen
Zurück zur vorigen Seite
Zurück zur ersten Seite der aktuellen Ausgabe

Bekanntmachung

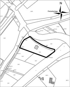
Vervielfältigung und Veröffentlichung genehmigt durch Hess. Landesvermessungsamt, Wiesbaden, unter Az.: K 5401 B-LA 3 / Verv. Nr. 86-1-034 am 20.02.1986.

der Kreisstadt Homberg (Efze) zur Ausweisung als einer Grünfläche -Erholungspark/Efzepark-;

hier: Frühzeitige Beteiligung gem. § 3 (1) BauGB

Die Stadtverordnetenversammlung hat in ihrer Sitzung vom 23. März 2023 die Aufstellung einer Änderung Nr. 27 zum Flächennutzungsplan der Kreisstadt Homberg (Efze) zur Ausweisung als einer Grünfläche -Erholungspark/Efzepark- beschlossen.

Allgemeine Ziele und Zwecke der Planung:

Mit der Planung soll die im Flächennutzungsplan herausgenommene Fläche an die Genehmigungsverfügung des Regierungspräsidiums Kassel zum Flächennutzungsplan sowie den neueren städtebaulichen Zielen der Stadt angepasst und eine geordnete städtebauliche Entwicklung angestrebt werden.

Verfahren der frühzeitigen Bürgerbeteiligung

Im Rahmen der Beteiligung der Öffentlichkeit nach § 3 (1) BauGB (frühzeitige Unterrichtung der Öffentlichkeit) wird den Bürgerinnen und Bürgern Gelegenheit gegeben, sich in der Zeit vom

21. Oktober 2024 bis einschließlich 04. November 2024

während der allgemeinen Öffnungszeiten (Montag bis Freitag von 8:00 Uhr bis 12:00 Uhr, und Donnerstag von 14:00 Uhr bis 18:00 Uhr) in den Räumen des Fachbereichs Wirtschaftsförderung/Stadtentwicklung/Tourismus, Marktplatz 5 sowie auch außerhalb der Öffnungszeiten nach vorheriger telefonischer Vereinbarung unter Tel.: 05681 - 994-141 bzw. 05681 - 994-144 über die allgemeinen Ziele und Zwecke sowie die wesentlichen Auswirkungen der Planung zu informieren. Es wird Gelegenheit zur Äußerung und Erörterung gegeben.

Der Planentwurf und die Begründung sind auch über die Internetseite der Stadt Homberg (Efze) mit folgendem Link als pdf-Datei abrufbar:

https://www.homberg-efze.de/wirtschaft-stadtentwicklung/stadtentwicklung/bauleitplanung/laufende-bauleitplanungsverfahren/Flächennutzungsplan Nr. 27

Es wird ausdrücklich darauf hingewiesen, dass dieses Verfahren nicht die öffentliche Auslegung nach § 3, Abs. 2 BauGB ersetzt.

Alle Bürgerinnen und Bürger und Interessenvereinigungen können sich zu dem Plan äußern.

Dieses Verfahren beschränkt nicht die Möglichkeit, während der öffentlichen Auslegung Bedenken und Anregungen schriftlich vorzubringen.

Homberg (Efze), den 02.10.2024
Der Magistrat
- FB II/3 WST -
gez.
Dr. Nico Ritz
Bürgermeister