Titel Logo
Homberg Efze aktuell
Ausgabe 41/2025
Amtliche Bekanntmachungen
Zurück zur vorigen Seite
Zurück zur ersten Seite der aktuellen Ausgabe

Amtliche Bekanntmachungen

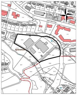
Vervielfältigung und Veröffentlichung genehmigt durch Hess. Landesvermessungsamt, Wiesbaden, unter Az.: K 5401 B-LA 3 / Verv. Nr. 86-1-034 am 20.02.1986.

zum Bebauungsplan Nr. 59 der Kreisstadt Homberg (Efze) im Bereich der Hersfelder Straße zur Ausweisung zweier Sondergebiete Einzelhandel

hier: Frühzeitige Beteiligung der Öffentlichkeit gem. § 13 a Abs. 3 BauGB und öffentliche Auslegung gem. § 3 (2) BauGB

Die Stadtverordnetenversammlung der Kreisstadt Homberg (Efze) hat in seiner Sitzung vom 11.10.2024 die Aufstellung einer Änderung und Erweiterung Nr. 1 zum Bebauungsplan Nr. 59 der Kreisstadt Homberg (Efze) im Bereich der Hersfelder Straße zur Ausweisung zweier Sondergebiete Einzelhandel beschlossen.

Die Stadtverordnetenversammlung der Kreisstadt Homberg (Efze) hat in seiner Sitzung am 11.09.2025 den Beschluss über die öffentliche Auslegung gefasst. Gleichzeitig wurde beschlossen, dass das Bauleitplanverfahren im beschleunigten Verfahren gem. § 13 a BauGB durchgeführt werden soll.

Wir weisen darauf hin, dass auch die Änderung Nr. 30 zum Flächennutzungsplan der Kreisstadt Homberg (Efze) im beschleunigten Verfahren gem. § 13 a BauGB durchgeführt werden soll. Das bedeutet, dass die Änderung Nr. 30 zum Flächennutzungsplan der Kreisstadt Homberg (Efze) nur im Wege der Berichtigung anzupassen ist.

Allgemeine Ziele und Zwecke der Planung:

Mit der Aufstellung des Bebauungsplanes soll die städtebauliche Neuordnung und Nachver-dichtung des im planungsrechtlichen Innenbereich sowie die Erhöhung der Verkaufsfläche für einen großflächigen Einzelhandelsbetrieb, eines Lebensmittelmarktes sowie eine Einzelhandelsnutzung oder andere Nachnutzung für z. B. Dienstleistungen ermöglicht werden.

Verfahren der frühzeitigen Öffentlichkeitsbeteiligung

Der Entwurf der Änderung und Erweiterung Nr. 1 zum Bebauungsplan Nr. 59 wird im beschleunigten Verfahren gem. § 13 a BauGB ohne Durchführung einer Umweltprüfung gem. § 2 Abs. 4 BauGB aufgestellt; die Voraussetzungen des § 13 a Abs. 1 BauGB sind erfüllt. Im Rahmen der Beteiligung der Öffentlichkeit nach § 13 a Abs. 3 BauGB (frühzeitige Unterrichtung der Öffentlichkeit) wird den Bürgerinnen und Bürgern Gelegenheit gegeben, sich in der Zeit vom

13. Oktober 2025 bis einschließlich 17. Oktober 2025

während der allgemeinen Öffnungszeiten (Montag bis Freitag von 8:00 Uhr bis 12:00 Uhr, und Donnerstag von 14:00 Uhr bis 18:00 Uhr) in den Räumen des Fachbereichs Wirtschaftsförderung/Stadtentwicklung/Tourismus, Marktplatz 5 sowie auch außerhalb der Öffnungszeiten nach vorheriger telefonischer Vereinbarung unter Tel.: 05681 - 994-144 über die allgemeinen Ziele und Zwecke sowie die wesentlichen Auswirkungen der Planung zu informieren. Es wird Gelegenheit zur Äußerung und Erörterung gegeben.

Offenlegung

Der Entwurf des Bebauungsplanes, der Begründung, der Auswirkungsanalyse von GMA, ein Verkehrsgutachten sowie eine Mobilitätsstudie von Oppermann GmbH, liegen gem. § 3 (2) BauGB in der Zeit vom

20. Oktober 2025 bis einschließlich 20. November 2025

während der allgemeinen Öffnungszeiten (Montag bis Freitag von 08:00 Uhr bis 12:00 Uhr und Donnerstag von 14:00 Uhr bis 18.00 Uhr) sowie auch außerhalb der Öffnungszeiten nach vorheriger telefonischer Vereinbarung unter Tel.: 05681 - 994-141 bzw. 05681 - 994-144 im Hauptamt, Rathaus, Rathausgasse 1, zu jedermanns Einsichtnahme aus und können eingesehen werden.

Erläuterungen können in der Bauverwaltung, FB Wirtschaftsförderung/Stadtentwicklung/ Tourismus während dieser Zeit gegeben werden.

Der Plan und die entsprechenden Unterlagen sind auch über die Internetseiten der Stadt Homberg (Efze) mit folgendem Link als pdf-Dateien abrufbar:

www.homberg-efze.de (wirtschaft-stadtentwicklung/stadtentwicklung/bauleitplanung/laufende- bauleitplanungsverfahren/Bebauungsplan Nr. 59/1).

Weiterhin stehen die Unterlagen über das zentrale Internetportal des Landes Hessen zur Verfügung.

Es wird ausdrücklich darauf hingewiesen, dass die Änderung und Erweiterung Nr. 1 zum Bebauungsplan Nr. 59 gem. § 13 a BauGB im beschleunigten Verfahren ohne Durchführung einer Umweltprüfung nach § 2 Abs. 4 und ohne Umweltbericht nach § 2 a und von der Angabe nach § 3 Abs. 2 Satz 2, welche Arten umweltrelevanter Informationen verfügbar sind, ausgeführt wird. § 4 c BauGB wird nicht angewendet

Etwaige Anregungen können während der Auslegungszeit beim Magistrat der Stadt Homberg (Efze), Rathaus, Rathausgasse 1, 34576 Homberg (Efze), schriftlich oder zur Niederschrift vorgebracht werden.

Nicht fristgerecht abgegebene Stellungnahmen können bei der Beschlussfassung über die Änderung und Erweiterung Nr. 1 zum Bebauungsplan Nr. 59 unberücksichtigt bleiben.

Nach Prüfung der fristgerecht vorgebrachten Stellungnahmen wird den Beteiligten das Ergebnis der Entscheidung mitgeteilt.

Die Vorbereitung und Durchführung von Verfahrensschritten nach §§ 2 a bis 4 a BauGB kann einem Dritten übertragen werden. Gemäß § 4 b BauGB wurde das Büro ebene4 Architektur und Städtebau, Kassel, mit der Durchführung der Verfahrensschritte beauftragt.

Homberg (Efze), den 01.10.2025
Der Magistrat
- FB II/3 WST -
gez. Dr. Nico Ritz
Bürgermeister