X
Marpinger Nachrichten
Ausgabe 10/2026
Amtliche Bekanntmachungen
Zurück zur vorigen Seite
Zurück zur ersten Seite der aktuellen Ausgabe
Vorheriger Artikel: VÖ B Plan Alsbachstraße
Nächster Artikel: Informationen des Ortsvorstehers aus Urexweiler
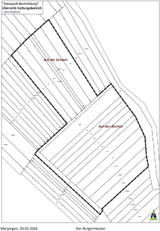
Bekanntmachung „SOLARPARK RECHELSBERG“