Ausgabe 11/2025
Amtliche Bekanntmachungen
Zurück zur ersten Seite der aktuellen Ausgabe
Vorheriger Artikel: Standesamtliche Nachrichten
Nächster Artikel: Reisepässe
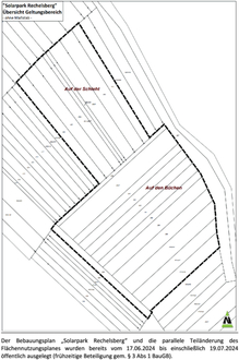
Bekanntmachung der Öffentlichen Auslegung gemäß § 3 Abs. 2 BauGB zum Bebauungsplan "Solarpark Rechelsberg" sowie zur parallelen Teiländerung des Flächennutzungsplanes