Ausgabe 4/2025
Amtliche Bekanntmachungen
Zurück zur ersten Seite der aktuellen Ausgabe
Vorheriger Artikel: Freiwillige Feuerwehr der Gemeinde Marpingen Löschbezirk Berschweiler
Nächster Artikel: Fundsachen
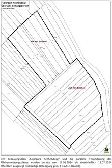
BEKANNTMACHUNG DER ÖFFENTLICHEN AUSLEGUNG GEMÄSS § 3 ABS. 2 BAUGB ZUM BEBAUUNGSPLAN „SOLARPARK DIRMINGER STRASSE“ SOWIE ZUR PARALLELEN TEILÄNDERUNG DES FLÄCHENNUTZUNGSPLANES