Ausgabe 5/2025
Amtliche Bekanntmachungen
Zurück zur ersten Seite der aktuellen Ausgabe
Vorheriger Artikel: Reisepässe
Nächster Artikel: Sitzung des Ortsrates Marpingen
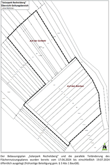
Bekanntmachung der öffentlichen Auslegung gemäß § 3 Abs. 2 Baugb zum Bebauungsplan „Solarpark Rechelsberg“ sowie zur parallelen Teiländerung des Flächennutzungsplanes