Ausgabe 6/2025
Amtliche Bekanntmachungen
Zurück zur ersten Seite der aktuellen Ausgabe
Vorheriger Artikel: Reisepässe
Nächster Artikel: Fundsachen
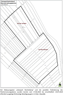
BEKANNTMACHUNG DER ÖFFENTLICHEN AUSLEGUNG GEMÄSS § 3 ABS. 2 BAUGB ZUM BEBAUUNGSPLAN „SOLARPARK Rechelsberg“ SOWIE ZUR PARALLELEN TEILÄNDERUNG DES FLÄCHENNUTZUNGSPLANES