Titel Logo
Marpinger Nachrichten
Ausgabe 7/2025
Amtliche Bekanntmachungen
Zurück zur vorigen Seite
Zurück zur ersten Seite der aktuellen Ausgabe
-

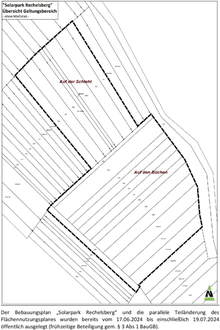
BEKANNTMACHUNG DER ÖFFENTLICHEN AUSLEGUNG GEMÄSS § 3 ABS. 2 BAUGB ZUM BEBAUUNGSPLAN „SOLARPARK Rechelsberg“ SOWIE ZUR PARALLELEN TEILÄNDERUNG DES FLÄCHENNUTZUNGSPLANES