Der Bebauungsplan „Solarpark Rechelsberg“ und die parallele Teiländerung des Flächennutzungsplanes wurden bereits vom 17.06.2024 bis einschließlich 19.07.2024 öffentlich ausgelegt (frühzeitige Beteiligung gem. § 3 Abs 1 BauGB).
Der Gemeinderat der Gemeinde Marpingen hat in seiner Sitzung am 10.12.2024 den Entwurf des Bebauungsplanes „Solarpark Rechelsberg“ mit paralleler Teiländerung des Flächennutzungsplanes gebilligt und die öffentliche Auslegung des Bebauungsplanes sowie der parallelen Teiländerung des Flächennutzungsplanes beschlossen.
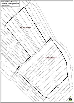
Ziel des Bebauungsplanes sowie der FNP-Teiländerung
Ziel der beiden Bauleitplanverfahren ist die Schaffung der planungsrechtlichen Voraussetzungen zur Errichtung einer PV-Freiflächenanlage mit einer Gesamtleistung von ca. 8,2 Mwp auf einer Fläche von ca. 6,0 ha. Hierdurch soll ein aktiver Beitrag zum Klimaschutz geleistet werden.
Der Geltungsbereich des Bebauungsplanes erstreckt sich über einen Bereich mit der Flurbezeichnungen „Auf der Schleht“ und „Auf den Büchen“ in Flur 10 der Gemarkung Alsweiler. Er umfasst hier die Parzellen: 201, 248, 249, 250, 251, 252, 253, 254, 255/1, 258, 261, 262, 263/1, 266/1, 267,268, 470/247 616/246, 617/247, 631/265, 632/264.
Die genaue Abgrenzung des Geltungsbereiches ist der folgenden Abbildung zu entnehmen.
Der Geltungsbereich der FNP-Teiländerung ist mit dem Geltungsbereich des Bebauungsplanes identisch.
Gemäß § 3 Abs. 2 Baugesetzbuch (BauGB), in der Fassung der Bekanntmachung vom 3. November 2017 (BGBl. I S. 363), zuletzt geändert durch Artikel 3 des Gesetzes vom 20. Dezember 2023 (BGBl. 2023 I Nr. 394), wird hiermit öffentlich bekannt gemacht, dass der Bebauungsplan „Solarpark Rechelsberg“ mit paralleler Teiländerung des Flächennutzungsplanes vom 27.01.2025 bis einschließlich zum 28.02.2025 im Rathaus der Gemeinde Marpingen, Fachbereich Gemeindeentwicklung, Zimmer 3.02, zu den unten stehenden Sprechzeiten zu jedermanns Einsicht öffentlich ausliegt.
Es ist davon auszugehen, dass der Zeitraum der Auslegung der Komplexität der Planungsaufgabe angemessen ist.
| Öffnungszeiten der Gemeinde Marpingen | ||
| • | Mo: | 08:30 - 12:00 Uhr und 13:30 - 15:30 Uhr |
| • | Di: | 08:30 - 12:00 Uhr und 13:30 - 18:00 Uhr |
| • | Mi: | 08:30 - 12:00 Uhr |
| • | Do: | 08:30 - 12:00 Uhr und 13:30 - 15:30 Uhr |
| • | Fr: | 08:30 - 12:00 Uhr |
Gleichzeitig werden die Beteiligungsunterlagen im Internet auf der Homepage der Gemeinde Marpingen unter https://marpingen.de/rathaus-service/bauen/offenlegungen/ veröffentlicht und zum Download bereitgestellt.
Zusätzlich besteht die Möglichkeit zur Teilnahme am elektronischen Beteiligungsverfahren.
Unter der Internetadresse
https://argusconcept.planungsbeteiligung.de
kann jedermann Einsicht in die vollständigen Unterlagen zum Verfahren nehmen und Stellungnahmen abgeben. Dieser Dienst steht nur während der Beteiligungsfristen vom 27.01.2025 – 28.02.2025 zur Verfügung.
Folgende wesentliche umweltbezogene Stellungnahmen werden mit offengelegt:
| • Bürgerstellungnahmen: | ||
| • | Zerstörung der Landschaft und des Ortsbildes: Beeinträchtigung der Kulturlandschaft und Attraktivität für Tourismus. |
| • | Belastung der Anwohner durch Geräusch- und Wärmeemissionen sowie Blendwirkungen |
| • | Entzug von 6 ha Ackerland und langfristige Bodenschäden durch Temperaturschwankungen. |
| • | Unzuverlässiger Strom und hohe Folgekosten (Fluktuierende Stromerzeugung destabilisiert das Netz und erhöht Kosten) |
| • Landesamt für Umwelt- und Arbeitsschutz | ||
| • | Immissionsschutz/Blendschutz: Forderung nach Vorlage eines Blendgutachtens aufgrund der Nähe von Wohnhäusern (unter 100 m). |
| • | Natur- und Artenschutz: Einhaltung von Rodungs- und Rückschnittzeiten (§ 39 Abs. 5 Nr. 2 BNatSchG). Ökologische Baubegleitung wird empfohlen. Förderung der Biodiversität durch geeignete Reihenabstände der Module (mind. 2,50 m breite besonnte Streifen). Maßnahmen zur Flächenaufwertung wie Totholz- und Steinhaufen, Prüfung von Nisthilfen. Ergänzung von Flächen für CEF-Maßnahmen für Feldlerche und Wachtel. |
| • | Eingriffsregelung: Ergänzung der Eingriffs-Ausgleichs-Bilanzierung. |
| • | Schutzgebiete und Biotope: Keine Beeinträchtigung von Schutzgebieten gem. BNatSchG. Verzicht auf Bepflanzung eines FFH-Lebensraumtyps (6510), Schutz durch Bauzäune während der Arbeiten. |
| • | Einfriedung: Einzäunung mit Zaununterkante mindestens 15 cm über dem Boden zur Durchlässigkeit für Klein- und Mittelsäuger. |
| • | Kompensationskataster: Übermittlung der digitalen Daten zu Kompensations- und Wiederherstellungsflächen an das LUA. |
| • | Bodenschutz: Keine zusätzlichen Anforderungen, bestehender Begründungstext ausreichend. |
| • | Landwirtschaftskammer: Keine grundsätzlichen Bedenken, aber CEF-Maßnahmen für Wachtel und Lerche werden als unnötig betrachtet, da diese Arten auch auf Ackerflächen vorkommen. Empfehlung: Keine zusätzlichen landwirtschaftlichen Flächen für CEF-Maßnahmen beanspruchen. |
| • | Ministerium für Bauen, Inneres und Sport: Externe Kompensationsmaßnahmen sollen frühzeitig verortet und mögliche Zielkonflikte vor weiteren Verfahrensschritten abgestimmt werden. |
| Folgende Unterlagen werden weiterhin ausgelegt: | ||||||
| • | Planzeichnung des Bebauungsplanes | |||||
| • | Planzeichnung mit Legende der FNP-Teiländerung | |||||
| • | Begründung und Umweltbericht als gesonderter Teil der Begründung mit folgenden Inhalten: | |||||
| - | Umweltrelevante Angaben zum Standort | ||||
|
| o | Bedarf an Grund und Boden | |||
|
| o | Festlegung von Umfang und Detaillierungsgrad der Umweltprüfung | |||
|
| o | Festgelegte Ziele des Umweltschutzes gemäß Fachgesetzen und Fachplänen | |||
|
| o | Abgrenzung des Untersuchungsraumes | |||
|
| o | Naturraum und Relief, Geologie und Böden, Oberflächengewässer / Grundwasser, Klima und Lufthygiene, Arten und Biotope, Landschaftsbild, Freizeit / Erholung, Kultur- und Sachgüter | |||
|
| o | Immissionssituation | |||
|
| o | Entwicklung des Umweltzustandes bei Nichtdurchführung der Planung | |||
|
| o | Beschreibung der Vermeidungs-, Verminderungs- und Ausgleichsmaßnahmen | |||
|
| o | Prognose über die Entwicklung des Umweltzustandes | |||
|
| o | Auswirkungen der Planung auf die Schutzgüter Böden, Wasser, Luft /Klima und Wechselwirkungen | |||
|
| o | Auswirkungen der Planung auf die Schutzgüter Tiere, Pflanzen, Biotope und das Landschaftsbild | |||
|
| o | Auswirkungen der Planung auf die Gesundheit des Menschen | |||
|
| o | Wahrscheinlichkeit von Auswirkungen der Planung | |||
|
| o | Dauer, Häufigkeit und Reversibilität der Auswirkungen der Planung | |||
|
| o | Prüfung von Planungsalternativen | |||
| Folgende Fachgutachten werden zudem ausgelegt: | |
| • | PV-Anlage Marpingen - Untersuchung zur Avifauna Ergebnisbericht (Büro für Landschaftsökologie Flottmann) |
| • | SolPEG Blendgutachten Analyse der potentiellen Blendwirkung einer geplanten PV-Anlage in der Nähe von Marpingen im Saarland, Stand: 17.09.2024 |
Die Entwürfe der Bauleitpläne können während der Auslegungsfrist von jedermann eingesehen werden. Über Ihren Inhalt, die allgemeinen Ziele und Zwecke sowie wesentlichen Auswirkungen der Planung wird Auskunft erteilt und es besteht die Möglichkeit zur Äußerung. Während der Auslegungsfrist können von jedermann Stellungnahmen schriftlich, zur Niederschrift oder elektronisch per Mail an die E-Mail-Adresse: gemeindeverwaltung@Marpingen.de vorgebracht werden. Über die Beteiligungsplattform des Planungsbüros können zudem Stellungnahmen direkt beim Planungsbüro eingereicht werden. Nicht fristgerecht vorgebrachte Stellungnahmen können bei der Beschlussfassung über den Bebauungsplan unberücksichtigt bleiben.
Als Teil der Öffentlichkeit werden auch interessierte Kinder und Jugendliche aufgefordert, sich zu den Planungen zu äußern.
Für die FNP-Teiländerung gilt:
Eine Vereinigung im Sinne des § 4 Absatz 3 Satz 1 Nummer 2 des Umwelt- Rechtsbehelfsgesetzes ist in einem Rechtsbehelfsverfahren nach § 7 Absatz 2 des Umwelt- Rechtsbehelfsgesetzes gemäß § 7 Absatz 3 Satz 1 des Umwelt-Rechtsbehelfsgesetzes mit allen Einwendungen ausgeschlossen, die sie im Rahmen der Auslegungsfrist nicht oder nicht rechtzeitig geltend gemacht hat, aber hätte geltend machen können.
Hinweis zum Datenschutz
Im Rahmen der Abgabe einer Stellungnahme werden personenbezogene Daten, insbesondere Namen, Anschrift, Telefonnummer, die allein zur Information über das durchgeführte Verfahren dienen, verarbeitet. Mit Abgabe einer Stellungnahme erklärt sich die abgebende Person mit dieser Verarbeitung einverstanden. Sie willigt ein, dass die Gemeinde Marpingen oder ein von der Gemeinde eingeschalteter Dritter (hier ein externes Planungsbüro) ihr postalisch oder per E-Mail Informationen zum durchgeführten Verfahren zukommen lässt. Sie ist gemäß § 15 der Datenschutz-Grundverordnung (DSGVO) jederzeit berechtigt, die Gemeinde Marpingen oder den von der Gemeinde eingeschalteten Dritten um umfangreiche Auskunftserteilung zu den zu ihrer Person gespeicherten Daten zu ersuchen. Gemäß § 17 DSGVO kann sie jederzeit gegenüber der Gemeinde Marpingen oder dem von der Gemeinde einschalteten Dritten die Berichtigung, Löschung und Sperrung einzelner personenbezogener Daten verlangen.