Titel Logo
Blickpunkt Merchweiler
Ausgabe 15/2023
Amtliche Bekanntmachungen
Zurück zur vorigen Seite
Zurück zur ersten Seite der aktuellen Ausgabe

Teiländerung des Flächennutzungsplanes „Kita Wemmetsweiler“ in der Gemeinde Merchweiler, Ortsteil Wemmetsweiler

Bekanntmachung der Öffentlichen Auslegung der Teiländerung des Flächennutzungsplanes

Der Gemeinderat der Gemeinde Merchweiler hat in seiner Sitzung am 30.03.2023 die öffentliche Auslegung der Teiländerung des Flächennutzungsplanes im Bereich des vorhabenbezogenen Bebauungsplanes mit Vorhaben- und Erschließungsplan „KITA Wemmetsweiler“ beschlossen.

Gegenstand der Teiländerung des Flächennutzungsplanes ist die Darstellung einer Gemeinbedarfsfläche im genannten Bereich, um die Umsetzung des Projektes planungsrechtlich vorzubereiten.

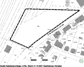
Die genauen Grenzen des Geltungsbereiches der Teiländerung des Flächennutzungsplanes sind dem beigefügten Lageplan zu entnehmen. Er umfasst eine Fläche von ca. 6.500 m2.

Nach der frühzeitigen Beteiligung gem. § 3 Abs. 1 BauGB und § 4 Abs. 1 BauGB sowie aus dem Fortschritt der Detailplanungen und der Anfertigung des Umweltberichtes ergeben sich für das vorliegende Planverfahren (inkl. vorhabenbezogener Bebauungsplan mit Vorhaben- und Erschließungsplan) folgende Änderungen:

  • Konkretisierung der Nutzungen innerhalb des Plangebietes
  • Gutachterliche Prüfung und Klarstellung zur Verkehrsanbindung und Organisation des ruhenden Verkehrs
  • Aufnahme von Kompensationsmaßnahmen (externer Ausgleich)
  • Aufnahme des Leitungsverlaufs (unterirdische Fernversorgungsleitung) mit Schutzstreifen
  • Konkretisierung der Festsetzungen zur Abwasserbeseitigung
  • Aufnahme von Hinweisen
  • Anpassung / Ergänzung der Begründung (u. a. städtebauliche Konzeption, Alternativenprüfung)

Gemäß § 3 Abs. 2 BauGB, in der Fassung der Bekanntmachung vom 03. November 2017 (BGBl. I S. 3634), unter Berücksichtigung der aktuell gültigen Änderungen, wird hiermit öffentlich bekannt gemacht, dass der Entwurf der Teiländerung des Flächennutzungsplanes im Bereich des vorhabenbezogenen Bebauungsplanes mit Vorhaben- und Erschließungsplan „KITA Wemmetsweiler“, bestehend aus der Planzeichnung (Teil A) und dem Textteil (Teil B) sowie der Begründung, dem Umweltbericht und dem Verkehrsgutachten,

in der Zeit vom 13.04.2023 bis einschließlich 17.05.2023

während der Dienststunden

(montags bis freitags von 8:30 bis 12:00 Uhr und

von 14:00 bis 15:30 Uhr)

beim Bauamt der Gemeinde Merchweiler, im Rathaus Wemmetsweiler, Zimmer 2.25, einsehbar ist.

Der Inhalt der ortsüblichen Bekanntmachung nach § 3 Abs. 2 Satz 2 BauGB und die nach § 3 Abs. 2 Satz 1 BauGB auszulegenden Unterlagen sind zusätzlich zum Internetportal der Gemeinde Merchweiler (www.merchweiler.de) über das zentrale Internetportal des Landes (https://www.uvp-verbund.de/kartendienste) elektronisch abrufbar.

Folgende Dokumente mit umweltbezogenen Informationen sind verfügbar:

  • Umweltbericht (der nach Maßgabe der Anlage 1 zum BauGB u.a. nach den Umweltschutzgütern i.S.d. § 1 Abs. 6 Nr. 7 BauGB gegliedert ist) mit folgenden Informationen:
  • Schutzgut Biotope, Fauna, Flora, keine erheblichen Beeinträchtigungen: Flächenbilanzierung der Versiegelungen / Überbauungen; Erfassung Biotoptypen; Vermeidungs- und Minimierungsmaßnahmen zur Minimierung des Eingriffs und Flächenverbrauchs, externe Ausgleichsmaßnahme
  • Schutzgut Boden, keine erhebliche Beeinträchtigung: aktuelle Bodenverhältnisse, Seltenheit des Bodentyps, Biotopentwicklungspotenzial, Erfüllungsgrad der natürlichen und übrigen Bodenfunktionen, bestehende Vorbelastungen; Vermeidungs- und Minimierungsmaßnahmen
  • Schutzgut Wasser, keine erheblichen Beeinträchtigungen: vorkommende natürliche Fließ- oder Stillgewässer (keine Oberflächengewässer), Grundwasserkörper, Hydrogeologie, Bedeutung für Grundwasserneubildungsrate, Empfindlichkeit; Vermeidungs- und Minimierungsmaßnahmen
  • Schutzgut Klima und Lufthygiene, keine erhebliche Beeinträchtigung: Geländeklimatische Eigenschaften, lufthygienische Situation, Belastungsgebiete im Einwirkungsbereich
  • Schutzgut Tiere und Pflanzen/ Biologische Vielfalt/ Artenschutz: keine erheblichen Beeinträchtigungen: flächendeckende Vegetationskartierungen, überschlägige avifaunistische sowie unsystematische Erfassungen von anderen Artengruppen, Potenzialabschätzung der übrigen Tiergruppen, FFH-Lebensraumtypen, gesetzlich geschützte Biotope, Rote Liste Biotoptypen und -arten, seltene oder speziell geschützte, abwägungsrelevante Arten, dem Artenschutzrecht unterliegende Arten, Beurteilung der floristischen und faunistischen Bedeutung und Empfindlichkeit, allgemeiner/ spezieller Artenschutz, artenschutzrechtliche Bewertung, Beurteilung Verbotstatbestände, Umweltschädigung gem. Umweltschadensgesetz, Konfliktpotenzial und -analyse, Entwicklung von Vermeidungs- und Minimierungsmaßnahmen; Eingriffstatbestand, Bestandsbewertung und Bilanzierung nach den Vorgaben des saarländischen Eingriffsleitfadens; vollständige Kompensation des ausgelösten ökologischen Defizits durch Maßnahmen außerhalb des Eingriffsgebietes
  • Schutzgut Landschaftsbild/ Erholung, keine erheblichen Beeinträchtigungen: landschaftliches Erscheinungsbild, Bedeutung als Natur-/ Kulturerlebnisraum, Einsehbarkeit / visueller Einwirkungsbereich, Wirkintensität des Vorhabens, Vorbelastungen, Konfliktpotenzial und -analyse; interne Minderungsmaßnahmen, externe Ausgleichsmaßnahme
  • Schutzgut Mensch, keine erheblichen Beeinträchtigungen: Gesundheit, Emissionen, Immissionen, potenzielle schädliche Umwelteinwirkungen, Vorbelastungen; landschaftsbildbezogene Vermeidungsmaßnahmen
  • Schutzgut Kultur- und sonstige Sachgüter, keine erheblichen Beeinträchtigungen: keine landesplanerischen Vorgaben (Vorranggebiete), denkmalgeschützte Objekte oder Flächen (Bau- und Bodendenkmäler) oder andere bedeutsame Kulturgüter, Denkmalensembles, archäologisch oder geschichtlich bedeutsame Gebiete bzw. Objekte, Naturdenkmäler, Natur- und Kulturerlebnisräume nicht betroffen oder nicht bekannt
  • Schutzgebiete, keine erheblichen Beeinträchtigungen: Natura 2000-Gebiete/ FFH-Verträglichkeit, Naturschutzgebiete, Wasserschutzgebiete, Natur- und Nationalparks, festgesetzte Überschwemmungsgebiete, Geschützte Landschaftsbestandteile, Biosphärenreservate, LIK Nord, externe Ausgleichsmaßnahmen
  • 8 Stellungnahme von Behörden und sonstigen Trägern öffentlicher Belange mit Umweltbezug, betreffend folgende Themen: Umfang und Detaillierungsgrad des Umweltberichtes; FFH-Lebensraum; externer Ausgleich gem. Eingriffsregelung und Funktionalausgleich; Wirkungen auf das Landschaftsbild und Vermeidungsmaßnahmen; FFH-Verträglichkeit; Entwässerung; Pflanzmaßnahmen, Nisthilfen

Während der Auslegungsfrist können von jedermann Stellungnahmen schriftlich, zur Niederschrift oder elektronisch per Mail an die Email-Adresse: gemeinde.planungsbeteiligung@merchweiler.de vorgebracht werden. Nicht fristgerecht abgegebene Stellungnahmen können bei der Beschlussfassung über die Teiländerung des Flächennutzungsplanes unberücksichtigt bleiben, sofern die Gemeinde deren Inhalt nicht kannte und nicht hätte kennen müssen und deren Inhalt für die Rechtmäßigkeit des Bauleitplans nicht von Bedeutung ist.

Im Zusammenhang mit dem Datenschutz weisen wir ausdrücklich darauf hin, dass ein Verfahren zur Teiländerung des Flächennutzungsplanes ein öffentliches Verfahren ist und daher in der Regel alle dazu eingehenden Stellungnahmen in öffentlichen Sitzungen beraten und entschieden werden. Soll eine Stellungnahme nur anonym behandelt werden, ist dies auf derselben eindeutig zu vermerken.

Es wird darauf hingewiesen, dass eine Vereinigung im Sinne des § 4 Abs. 3 S. 1 Nr. 2 des Umwelt-Rechtsbehelfsgesetzes (UmwRG) in einem Rechtsbehelfsverfahren nach § 7 Abs. 2 des UmwRG gemäß § 7 Abs. 3 S. 1 des UmwRG mit allen Einwendungen ausgeschlossen ist, die im Rahmen der Auslegungsfrist nicht oder nicht rechtzeitig geltend gemacht hat wurden, aber hätte geltend machen werden können.

66589 Merchweiler, den 31.03.2023
gez.:
Der Bürgermeister
Patrick Weydmann