Titel Logo
Neues aus Merzig
Ausgabe 22/2024
Amtliche Bekanntmachungen
Zurück zur vorigen Seite
Zurück zur ersten Seite der aktuellen Ausgabe

Bekanntmachung der erneuten öffentlichen Auslegung der Änderung des Bebauungsplanes „Neustraße - Kreuzheck“ im Stadtteil Bietzen

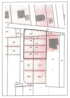
Lageplan mit Abgrenzung des Geltungsbereichs ohne Maßstab, Quelle: LVGL bearbeitet von ArgusConcept

Der Stadtrat der Kreisstadt Merzig hat in seiner Sitzung am 20.12.2022 die Einleitung des Verfahrens zur Änderung des Bebauungsplanes „Neustraße - Kreuzheck“ beschlossen. In der gleichen Sitzung hat der Stadtrat der Kreisstadt Merzig die Änderung des Bebauungsplanes, gebilligt und die öffentliche Auslegung gem. § 13 a Abs. 2 Nr. 1 i.V.m. § 13 Abs. 2 Nr. 2 BauGB und § 3 Abs. 2 BauGB beschlossen. Die öffentliche Auslegung wurde vom 19.01.2023 - 20.02.2023 durchgeführt.

Ziel der Bebauungsplan-Änderung

Die Kaiser Projekt UG beabsichtigt auf den geplanten 4 Grundstücken des noch zu erschließenden Teilbereichs des o.g. Bebauungsplanes zunächst je ein Einfamilienwohnhaus zu errichten, die eine zusammenhängende Bebauung als sogenannte Kettenhäuser ergeben. Bei den geplanten Kettenhäusern grenzen die längsseitig geschlossenen Gebäudekanten an das Nachbargrundstück, wobei die Garagen als Bindeglied der Gebäudekette fungieren. Durch die Breiten der längsseitigen Wohnhausaußenkanten inkl. der jeweiligen Garagenbreiten ergeben sich die gleichmäßigen, schmalen Grundstücksparzellen.

Ziel ist es, durch diese Bauart eine möglichst geringe Gesamtgrundstücksfläche zu nutzen, um verhältnismäßig viel Wohnraum für Eigenheime zu schaffen. Das geplante Bauvorhaben wird so den politischen Absichten gerecht, in Zukunft möglichst verdichteten Wohnraum zu schaffen, ohne den ländlichen, familiengerechte Eigenheimcharakter aufzugeben.

Im Rahmen des o.g. Beteiligungsverfahrens haben sich neben den Behörden und sonstigen Trägern öffentlicher Belange auch in zwei gesonderten Stellungnahmen Bürgerinnen bzw. Bürger kritisch zu der Planung geäußert. Aufgrund dieser beiden Stellungnahmen ist der Stadtrat dem ablehnenden Votum des Ortsrates gefolgt und hat dem Satzungsbeschluss für den Bebauungsplan nicht zugestimmt.

Der Vorhabenträger hat daraufhin mehrere Varianten ausgearbeitet, um zu klären, ob eine und wenn, dann welche dieser Varianten eine Zustimmung des Ortsrates erhalten würde. In seiner Sitzung am 30.01.2024 hat der Ortsrat Bietzen daraufhin der Variante zum Neubau von 4 EFH mit Garagen als Kettenhäuser mit der Auflage zugestimmt, dass Haus Nr. 1 einen 3m Abstand zum Mertesweg einhält und die im entsprechenden Lageplan dargestellten zusätzlichen Stellplätze im Bebauungsplan auch als solche festgeschrieben werden.

Diese Forderungen des Ortsrates sind entsprechend in dem überarbeiteten Entwurf eingearbeitet worden.

Aufgrund der geänderten Planung ist diese gem. § 4a BauGB erneut nach § 3 Abs. 2 BauGB im Internet, mit der Möglichkeit der Stellungnahme seitens der Bürgerinnen und Bürger, zu veröffentlichen und es sind nach § 4 Abs. 2 BauGB auch die Stellungnahmen der Behörden und sonstigen Träger öffentlicher Belange erneut einzuholen.

Der Geltungsbereich der 1. Änderung des Bebauungsplanes „Neustraße - Kreuzheck“ umfasst derzeit folgende Parzellen:

Flurstücke 221/7, 221/8, 221/9, 221/10, 222/3, 222/4, 222/5, 222/6, 234/27 in Flur 2 der Gemarkung Bietzen.

Die genaue Abgrenzung des Geltungsbereiches ist der untenstehenden Abbildung zu entnehmen.

Der in der Örtlichkeit wahrnehmbare Geltungsbereich lässt sich in etwa wie folgt beschrei-ben:

  • Im Norden: die Straße „Fahrenwies“
  • Im Osten: die westliche Grundstücksgrenze des Wohngebäudes „Fahrenwies 8“
  • Im Süden: Wiesenfläche, die laut rechtskräftigen Bebauungsplans für Wohnbebauung vorgesehen ist
  • Im Westen: durch die neu gebaute Erschließungsstraße

Der Bebauungsplan soll im beschleunigten Verfahren gemäß § 13 a BauGB i.V.m. § 13 BauGB aufgestellt werden. Im beschleunigten Verfahren können Bebauungspläne aufgestellt werden, die der Wiedernutzbarmachung von Flächen, der Nachverdichtung oder anderen Maßnahmen der Innenentwicklung (Bebauungspläne der Innenentwicklung) dienen.

Der Bebauungsplan erfüllt die o.g. Vorgaben. § 13 Abs. 2 und 3 Satz 1 BauGB gelten entsprechend.

Es wird darauf hingewiesen, dass gem. § 13 Abs. 3 BauGB von einer Umweltprüfung nach § 2 Abs. 4 BauGB, von dem Umweltbericht nach § 2 a BauGB, von der Angabe nach § 3 Abs. 2 Satz 2 BauGB, welche Arten umweltbezogener Informationen verfügbar sind, der zusammenfassenden Erklärung nach § 10a Abs. 1 BauGB und gem. § 13 Abs. 2 BauGB und § 13a Abs. 3 BauGB von der frühzeitigen Unterrichtung und Erörterung nach §§ 3 Abs. 1 und 4 Abs. 1 BauGB abgesehen wird.

Der Stadtrat der Kreisstadt Merzig hat in seiner Sitzung am 13.05.2024 den Entwurf der Änderung des Bebauungsplanes „Neustraße - Kreuzheck“ bestehend aus der Planzeichnung (Teil A) und dem Textteil (Teil B) gebilligt und die erneute öffentliche Auslegung gem. § 4a Abs. 3 BauGB beschlossen.

Gemäß § 4a Abs. 3 i.V.m. § 3 Abs. 2 des Baugesetzbuches wird hiermit öffentlich bekannt gemacht, dass der Entwurf des Planes und die dazugehörige Begründung in der Zeit vom 03. Juni 2024 bis einschließlich 05. Juli 2024 während der Dienststunden im Rathaus der Kreisstadt Merzig, Ressort 30, Fachbereich Stadtplanung und Umwelt, Brauerstraße 5, Schaukasten neben Zimmer 234, 66663 Merzig, zu jedermanns Einsicht während der allgemeinen Dienststunden öffentlich ausliegt.

Gleichzeitig wird der Entwurf der Teiländerung des Bebauungsplanes „Neustraße - Kreuzheck“ im Internetportal der Kreisstadt Merzig unter https://www.merzig.de/amtlichebekanntmachungen zum Download bereitgestellt.

Zusätzlich besteht die Möglichkeit zur Teilnahme am elektronischen Beteiligungsverfahren. Unter der Internetadresse

https://argusconcept.planungsbeteiligung.de kann jedermann Einsicht in die vollständigen Unterlagen zum Verfahren nehmen und Stellungnahmen abgeben. Dieser Dienst steht nur während der Beteiligungsfristen vom 03. Juni 2024 bis einschließlich zum 05. Juli 2024 zur Verfügung.

Es ist davon auszugehen, dass der Zeitraum der Auslegung der Komplexität der Planungsaufgabe angemessen ist.

Folgende Unterlagen liegen vor:

  • Diese öffentliche Bekanntmachung nach § 3 Abs. 2 BauGB
  • Planzeichnung der Bebauungsplan-Teiländerung (Teil A)
  • Textteil der Bebauungsplan-Teiländerung (Teil B)
  • Begründung des Bebauungsplanes

Während der Auslegungsfrist können von jedermann Stellungnahmen schriftlich, zur Niederschrift oder elektronisch per Mail an die E-Mail-Adresse: bauamt@merzig.de vorgebracht werden. Über die Beteiligungsplattform des Planungsbüros können zudem Stellungnahmen direkt beim Planungsbüro eingereicht werden. Nicht fristgerecht vorgebrachte Stellungnahmen können bei der Beschlussfassung über den Bebauungsplan unberücksichtigt bleiben.

Hinweis zum Datenschutz

Die Verarbeitung personenbezogener Daten erfolgt auf Grundlage des § 3 BauGB in Verbindung mit Art. 6 Abs. 1 Buchst. e DSGVO und dem Landesdatenschutzgesetz Saarland.

Im Rahmen der Abgabe einer Stellungnahme werden personenbezogene Daten, insbesondere Namen, Anschrift, Telefonnummer, die allein zur Information über das durchgeführte Verfahren dienen, verarbeitet. Mit Abgabe einer Stellungnahme erklärt sich die abgebende Person mit dieser Verarbeitung einverstanden. Sie willigt ein, dass die Kreisstadt Merzig oder ein von der Kreisstadt Merzig eingeschalteter Dritter (hier ein externes Planungsbüro) ihr postalisch oder per E-Mail Informationen zum durchgeführten Verfahren zukommen lässt. Sie ist gemäß § 15 der Datenschutz-Grundverordnung (DSGVO) jederzeit berechtigt, die Kreisstadt Merzig oder den von der Gemeinde eingeschalteten Dritten um umfangreiche Auskunftserteilung zu den zu ihrer Person gespeicherten Daten zu ersuchen. Gemäß § 17 DSGVO kann sie jederzeit gegenüber der Kreisstadt Merzig oder dem von der Gemeinde einschalteten Dritten die Berichtigung, Löschung und Sperrung einzelner personenbezogener Daten verlangen.

Sofern Sie ihre Stellungnahme ohne Absenderangaben abgeben, erhalten Sie keine Mitteilung über das Ergebnis der Prüfung. Weitere Informationen entnehmen Sie bitte dem Formblatt: Informationspflichten bei der Erhebung von Daten im Rahmen der Öffentlichkeitsbeteiligung nach BauGB (Art. 13 DSGVO), welches mit ausliegt.

Im Zusammenhang mit dem Datenschutz weist die Kreisstadt Merzig ausdrücklich darauf hin, dass ein Bauleitplanverfahren ein öffentliches Verfahren ist und daher in der Regel alle dazu eingehenden Stellungnahmen in öffentlichen Sitzungen beraten und entschieden werden. Soll eine Stellungnahme nur anonym behandelt werden, ist dies auf derselben eindeutig zu vermerken.

Marcus Hoffeld, Oberbürgermeister