Titel Logo
Neues aus Merzig
Ausgabe 41/2024
Amtliche Bekanntmachungen
Zurück zur vorigen Seite
Zurück zur ersten Seite der aktuellen Ausgabe

1. Teiländerung des Bebauungsplans „Neustraße - Kreuzheck“ im Stadtteil Bietzen der Kreisstadt Merzig

Bekanntmachung des Satzungsbeschlusses gemäß § 10 Abs. 1 BauGB

Der Stadtrat der Kreisstadt Merzig hat mit Beschluss vom 26.09.2024 die 1. Teiländerung des Bebauungsplans „Neustraße - Kreuzheck“ im Stadtteil Bietzen gem. § 10 Abs. 1 BauGB als Satzung beschlossen. Dieser Beschluss wird hiermit gemäß § 10 Abs. 3 des Baugesetzbuches (BauGB) ortsüblich bekanntgemacht. Mit dieser Bekanntmachung tritt die 1. Teiländerung des Bebauungsplans „Neustraße - Kreuzheck“ im Stadtteil Bietzen in Kraft.

Jedermann kann die 1. Teiländerung des Bebauungsplans „Neustraße - Kreuzheck“, bestehend aus Plan und Begründung, im Rathaus der Kreisstadt Merzig, Bauamt, Zimmer 231 während der allgemeinen Dienststunden einsehen und über dessen Inhalt Auskunft verlangen.

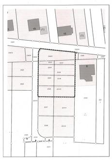
Lageplan mit Geltungsbereich; ohne Maßstab; Quelle: LVGL; Bearbeitung: ArgusConcept

Hinweise gem. §§ 214, 215 BauGB

Auf die Voraussetzungen für die Geltendmachung der Verletzung von Verfahrens- und Formvorschriften und von Mängeln der Abwägung sowie die Rechtsfolgen der §§ 214, 215 BauGB wird hingewiesen.

Unbeachtlich werden demnach:

  1. eine nach § 214 Abs. 1 Satz 1 Nr. 1 bis 3 BauGB beachtliche Verletzung der dort bezeichneten Verfahrens- und Formvorschriften,
  2. eine unter Berücksichtigung des § 214 Abs. 2 BauGB beachtliche Verletzung der Vorschriften über das Verhältnis des Bebauungsplanes und des Flächennutzungsplanes und
  3. nach § 214 Abs. 3 Satz 2 BauGB beachtliche Mängel des Abwägungsvorgangs,

wenn sie nicht innerhalb eines Jahres seit Bekanntmachung der 1. Teiländerung des Bebauungsplans „Neustraße - Kreuzheck“ schriftlich gegenüber der Kreisstadt unter Darlegung des die Verletzung begründenden Sachverhalts geltend gemacht worden sind. Dies gilt entsprechend, wenn Fehler nach § 214 Abs. 2a BauGB beachtlich sind.

Hinweise gem. § 44 BauGB

Auf die Vorschriften des § 44 Abs. 3 Satz 1 und 2 sowie Abs. 4 BauGB wird hingewiesen. Danach erlöschen Entschädigungsansprüche für die in §§ 39 bis 42 BauGB bezeichneten eingetretenen Vermögensnachteile, wenn nicht innerhalb von drei Jahren nach Ablauf des Kalenderjahres, in dem die Vermögensnachteile eingetreten sind, die Fälligkeit des Anspruchs herbeigeführt wird.

Hinweise gem. § 12 Abs. 6 KSVG

Satzungen, die unter Verletzung von Verfahrens- oder Formvorschriften des Kommunalselbstverwaltungsgesetzes (KSVG) oder aufgrund dieses Gesetzes zustande gekommen sind, gelten ein Jahr nach der öffentlichen Bekanntmachung als von Anfang an gültig zustande gekommen. Dies gilt nicht, wenn

  1. die Vorschriften über die Genehmigung oder die öffentliche Bekanntmachung der Satzung verletzt worden sind,
  2. vor Ablauf der vorbezeichneten Frist (Satz 1 des § 12 Abs. 6 KSVG) der Bürgermeister dem Beschluss widersprochen oder die Kommunalaufsichtsbehörde den Beschluss beanstandet hat oder der Verfahrens- oder Formmangel gegenüber der Kommune unter Bezeichnung der Tatsache, die den Mangel ergibt, schriftlich gerügt worden ist.
Marcus Hoffeld, Oberbürgermeister