Titel Logo
Rund um die Saarschleife Gemeinde Mettlach
Ausgabe 26/2023
Amtliche Bekanntmachungen
Zurück zur vorigen Seite
Zurück zur ersten Seite der aktuellen Ausgabe

Öffentliche Informationsveranstaltung

zur Vorstellung der bisherigen Ergebnisse aus den Vorbereitenden Untersuchungen für das Gebiet der ehemaligen Mosaikfabrik – Einladung von betroffenen Eigentümerinnen und Eigentümern

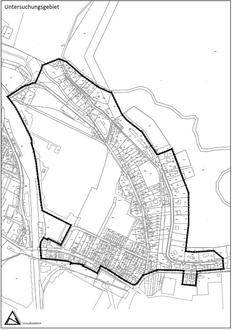
Im Auftrag der Gemeinde Mettlach und der Wohnwerk Mosaikfabrik GmbH & Co. KG untersucht und bewertet die FIRU mbH – Planungsbüro mit Firmensitz in Kaiserslautern – im Rahmen einer „Vorbereitenden Untersuchung“ gem. § 141 BauGB die vorhandenen städtebaulichen Missstände und Mängel des nachfolgend abgegrenzten Untersuchungsgebietes im Hinblick auf die mögliche förmliche Festlegung als Sanierungsgebiet und entsprechender Maßnahmen zur Behebung.

Der Gemeinderat der Gemeinde Mettlach hat in öffentlicher Sitzung am 13.07.2022 gemäß § 141 Abs. 3 Baugesetzbuch (BauGB) in der Fassung der Bekanntmachung vom 03. November 2017 (BGBI. I S. 3634), unter Berücksichtigung der aktuell gültigen Änderungen, den Beginn der vorbereitenden Untersuchungen zur Prüfung der Sanierungsbedürftigkeit für das Untersuchungsgebiet „Ehemaliges Mosaikfabrik und angrenzendes Umfeld“ in der Gemeinde Mettlach, Ortsteil Mettlach beschlossen. Die öffentliche Bekanntmachung des Beschlusses erfolgte am 28.07.2022 im Amtlichen Bekanntmachungsblatt der Gemeinde Mettlach, Nr. 30/2022.

Als vorläufige Ziele und Zwecke der Sanierung werden die Behebung städtebaulicher Missstände, eine nachhaltige Aufwertung des gesamten Quartiers sowie Unterstützung von privaten Investitionen bestimmt.

Die vorbereitenden Untersuchungen sind vor der Festlegung eines Sanierungsgebietes durchzuführen, um Beteiligungsunterlagen zu gewinnen, über die Notwendigkeit der Sanierung, die sozialen, strukturellen und städtebaulichen Verhältnisse und Zusammenhänge sowie die anzustrebenden allgemeinen Ziele und die Durchführbarkeit der Sanierung im Allgemeinen. Der Beschluss über die Einleitung der vorbereitenden Untersuchungen ist nicht gleichbedeutend mit der förmlichen Festsetzung des Sanierungsgebietes. Diese bedarf einer gesonderten Sanierungssatzung.

Im Rahmen der vorbereitenden Untersuchungen ist eine Beteiligung und Mitwirkung der Betroffenen ein gesetzlich vorgeschriebener Bestandteil (§ 137 BauGB). Darüber hinaus besteht seitens Eigentümern, Mietern, Pächtern und sonstigen Nutzungsberechtigten gem. § 138 BauGB eine Auskunftspflicht.

Vor diesem Hintergrund laden wir Sie herzlich zu einer Informationsveranstaltung am

Freitag, den 07.07.2023 um 18:30 Uhr

im Versammlungsraum des Rathauses (UG) ein.

Vertreter des Planungsbüros werden im Rahmen der Veranstaltung die bisherigen Ergebnisse der vorbereitenden Untersuchungen sowie entsprechende Sanierungsziele und die Bedeutung und Möglichkeiten zur Festlegung eines förmlichen Sanierungsgebietes darstellen und für Rückfragen zur Verfügung stehen.

Mettlach, den 26.06.2023

Daniel Kiefer

Bürgermeister