Titel Logo
Rund um die Saarschleife Gemeinde Mettlach
Ausgabe 30/2022
Amtliche Bekanntmachungen
Zurück zur vorigen Seite
Zurück zur ersten Seite der aktuellen Ausgabe

Bekanntmachung des Beschlusses

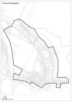
über den Beginn der vorbereitenden Untersuchungen nach § 141 Abs. 3 BauGB zur Prüfung der Sanierungsbedürftigkeit für das Untersuchungsgebiet „Neues Quartier Mosaikfabrik“ im Ortsteil Mettlach

Der Gemeinderat der Gemeinde Mettlach hat in öffentlicher Sitzung am 13.07.2022 gemäß § 141 Abs. 3 BauGB in der Fassung der Bekanntmachung vom 03. November 2017 (BGBI. I S. 3634), unter Berücksichtigung der aktuell gültigen Änderungen, die Einleitung der vorbereitenden Untersuchungen zur Prüfung der Sanierungsbedürftigkeit für das Untersuchungsgebiet „Neues Quartier Mosaikfabrik“ im Ortsteil Mettlach beschlossen.

Der räumliche Geltungsbereich des Untersuchungsbereichs umfasst alle Grundstücke und Grundstücksteile innerhalb der im anliegenden Lageplan durch eine Umgrenzungslinie abgegrenzten Fläche. Der Lageplan ist Bestandteil des Beschlusses und wird zu jedermanns Einsicht im Rathaus der Gemeindeverwaltung während den allgemeinen Dienststunden bereitgehalten.

Als vorläufige Ziele und Zwecke der Sanierung werden die Behebung städtebaulicher Missstände, eine nachhaltige Aufwertung des gesamten Quartiers der ehemaligen Mosaikfabrik und dessen Umfeld sowie die Unterstützung von privaten Investitionen bestimmt.

Die vorbereitenden Untersuchungen sind vor der Festlegung eines Sanierungsgebietes durchzuführen, um Beteiligungsunterlagen zu gewinnen, über die Notwendigkeit der Sanierung, die sozialen, strukturellen und städtebaulichen Verhältnisse und Zusammenhänge sowie die anzustrebenden allgemeinen Ziele und die Durchführbarkeit der Sanierung im Allgemeinen. Der Beschluss über die Einleitung der vorbereitenden Untersuchungen ist nicht gleichbedeutend mit der förmlichen Festsetzung des Sanierungsgebietes. Diese bedarf einer gesonderten Sanierungssatzung.

Mit dieser Bekanntmachung des Beschlusses über den Beginn der vorbereitenden Untersuchungen finden die §§ 137, 138 und 139 BauGB über die Beteiligung und Mitwirkung der Betroffenen, die Auskunftspflicht und die Beteiligung und Mitwirkung öffentlicher Aufgabenträger Anwendung.

Gem. § 138 Abs. 1 S. 1 BauGB sind Eigentümer, Mieter, Pächter und sonstige zum Besitz oder zur Nutzung eines Grundstücks, Gebäudes oder Gebäudeteils Berechtigte sowie ihre Beauftragten verpflichtet, der Stadt oder ihren Beauftragten Auskunft über die Tatsachen zu erteilen, deren Kenntnis zur Beurteilung der Sanierungsbedürftigkeit eines Gebietes oder zur Vorbereitung oder Durchführung der Sanierung erforderlich ist.

Mettlach, den 21.07.2022

Der Bürgermeister

Daniel Kiefer