Titel Logo
Rund um die Saarschleife Gemeinde Mettlach
Ausgabe 42/2022
Amtliche Bekanntmachungen
Zurück zur vorigen Seite
Zurück zur ersten Seite der aktuellen Ausgabe

Bekanntmachung der Einleitung des Verfahrens

zur Aufstellung der Ergänzungssatzung „Schlichtbornwies“ gem. § 2 Abs. 1 BauGB und der Beteiligung der Öffentlichkeit gem. § 3 Abs. 2 BauGB im Ortsteil Bethingen der Gemeinde Mettlach

Der Rat der Gemeinde Mettlach hat in seiner öffentlichen Sitzung am 12.10.2022 gemäß § 2 Abs. 1 BauGB den Beschluss zur Aufstellung der Ergänzungssatzung „Schlichtbornwies“ im vereinfachten Verfahren gem. § 13 BauGB in der Fassung der Bekanntmachung vom 3. November 2017 (BGBl. I S. 3634), unter Berücksichtigung der aktuell gültigen Änderungen gefasst.

Der Aufstellungsbeschluss wird hiermit gemäß § 2 Abs. 1 BauGB öffentlich bekannt gemacht.

Durch die Aufstellung der Ergänzungssatzung „Schlichtbornwies“ sollen die planungsrechtlichen Voraussetzungen zur Errichtung von Carports/Stellplätzen im Umfeld der „Odilienstraße“ geschaffen werden. Um ein verträgliches Einfügen in die Umgebungsbebauung sowie in das Orts- und Landschaftsbild zu gewährleisten, wurden entsprechende Festsetzungen zur Art und zum Maß der baulichen Nutzung, der Bauweise, der Grünordnung etc. getroffen.

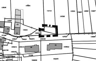
Das Plangebiet befindet sich auf Gemarkung Bethingen am Rande der Odilienstraße, Ortsausgangs in Richtung Dreisbach und umfasst die Grundstücke Flur 2, Parzellen 1609/16 und 1371/3. Die genaue Abgrenzung des Geltungsbereiches ist dem untenstehenden Lageplan zu entnehmen.

Der Flächennutzungsplan der Gemeinde Mettlach stellt das Plangebiet als landwirtschaftliche Fläche dar. Eine landwirtschaftliche Nutzung ist im Bestand nicht gegeben. Der Flächennutzungsplan ist im Wege der Berichtigung anzupassen.

Um den Belangen der Umwelt und des Artenschutzes Rechnung zu tragen, wurde im Rahmen des Planungsverfahrens eine spezielle artenschutzrechtliche Prüfung (saP) vorgenommen. Im Rahmen von Genehmigungsverfahren für Projekte fordert das Bundesnaturschutzgesetz (§ 44 BNatSchG und § 45 BNatSchG) eine spezielle artenschutzrechtliche Prüfung (saP), um die Vorgaben des besonderen Artenschutzes einzuhalten.

In seiner Sitzung am 12.10.2022 hat der Rat der Gemeinde Mettlach den Entwurf der Ergänzungssatzung bestehend aus Planzeichnung und Begründung gebilligt und die öffentliche Auslegung beschlossen. Da keine frühzeitige Unterrichtung und Erörterung im Sinne des § 3 Absatz 1 stattfinden, wird hiermit gem. § 13a Abs. 3 bekannt gemacht, dass im Rahmen der Beteiligung der Öffentlichkeit gem. § 3 Abs. 2 BauGB über die allgemeinen Ziele und Zwecke sowie die wesentlichen Auswirkungen der Planung unterrichtet wird und dass sich die Öffentlichkeit im Rahmen der Beteiligung gem. § 3 Abs. 2 BauGB zur Planung äußern kann. Gemäß § 3 Abs. 2 BauGB wird hiermit öffentlich bekannt gemacht, dass die Ergänzungssatzung „Schlichtbornwies“

in der Zeit vom 02.11.2022 bis einschließlich 02.12.2022

während der allgemeinen Dienststunden im Rathaus der Gemeinde Mettlach, Freiherr-vom-Stein-Straße 64, im Foyer des 3. OG, 66693 Mettlach, zu jedermanns Einsicht öffentlich ausliegt und eingesehen werden kann.

Während der Auslegungsfrist können von jedermann Stellungnahmen schriftlich, zur Niederschrift oder elektronisch per Mail an die E-Mail-Adresse: bauamt@mettlach.de vorgebracht werden. Die Unterlagen können im Zeitraum der Auslegung auch auf der Homepage der Gemeinde Mettlach unter https://www.mettlach.de/rat-und-verwaltung/veroeffentlichungen/offenlagen/ eingesehen werden.

Es wird darauf hingewiesen, dass nicht fristgerecht abgegebene Stellungnahmen bei der Beschlussfassung über die Ergänzungssatzung unberücksichtigt bleiben können.

Hinweis zum Datenschutz

Im Rahmen der Abgabe einer Stellungnahme werden personenbezogene Daten, insbesondere Namen, Anschrift, Telefonnummer, die allein zur Information über das durchgeführte Verfahren dienen, verarbeitet. Mit Abgabe einer Stellungnahme erklärt sich die abgebende Person mit dieser Verarbeitung einverstanden. Sie willigt ein, dass die Gemeinde Mettlach oder ein von der Gemeinde eingeschalteter Dritter (hier ein externes Planungsbüro) ihr postalisch oder per E-Mail Informationen zum durchgeführten Verfahren zukommen lässt. Sie ist gemäß § 15 der Datenschutz-Grundverordnung (DSGVO) jederzeit berechtigt, die Gemeinde Mettlach oder den von der Gemeinde eingeschalteten Dritten um umfangreiche Auskunftserteilung zu den zu ihrer Person gespeicherten Daten zu ersuchen. Gemäß § 17 DSGVO kann sie jederzeit gegenüber der Gemeinde Mettlach oder dem von der Gemeinde einschalteten Dritten die Berichtigung, Löschung und Sperrung einzelner personenbezogener Daten verlangen.

Im Zusammenhang mit dem Datenschutz weist die Gemeinde Mettlach ausdrücklich darauf hin, dass ein Bauleitplanverfahren ein öffentliches Verfahren ist und daher in der Regel alle dazu eingehenden Stellungnahmen in öffentlichen Sitzungen beraten und entschieden werden. Soll eine Stellungnahme nur anonym behandelt werden, ist dies auf derselben eindeutig zu vermerken.

Lageplan mit Geltungsbereich, genordet, ohne Maßstab

Mettlach, den 17.10.2022

Der Bürgermeister

Daniel Kiefer