Titel Logo
Rund um die Saarschleife Gemeinde Mettlach
Ausgabe 49/2022
Amtliche Bekanntmachungen
Zurück zur vorigen Seite
Zurück zur ersten Seite der aktuellen Ausgabe

Amtliche Bekanntmachung

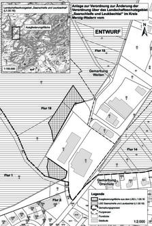
über die Verordnung zur Änderung der Verordnung über das Landschaftsschutzgebiet „Saarschleife und Leukbachtal“ im Kreis Merzig-Wadern

Das Ministerium für Umwelt, Klima, Mobilität, Agrar und Verbraucherschutz - Oberste Naturschutzbehörde - beabsichtigt auf Grund der §§ 20 und 26 des Bundesnaturschutzgesetzes vom 29. Juli 2009 (BGBl I. S. 2542), in Verbindung mit § 20 des Saarländischen Naturschutzgesetzes vom 05. April 2006 (Amtsbl. S. 726), jeweils in der derzeit gültigen Fassung, die Verordnung über das Landschaftsschutzgebiet „Saarschleife und Leukbachtal“ im Kreis Merzig-Wadern vom 01. Dezember 1966 (Amtsbl. S. 153), zuletzt geändert durch die Verordnung vom 13. November 2019 (Amtsbl. I S. 974), dahingehend zu ändern, dass folgende Flurstücke der Gemeinde Mettlach, Gemarkung Weiten, nicht mehr Bestandteil des Landschaftsschutzgebietes „Saarschleife und Leukbachtal“ (L 01.00.16) sind:

Flur 18, Flurstück 29/2 (ganz), 30/1 (teilweise) & 31/3 (teilweise).

Bei der auszugliedernden Fläche handelt es sich um einen Waldrandbereich westlich der Straße zur Keltensiedlung im südlichen Randbereich des LSG’s, welche sich direkt westlich und südwestlich an das Gelände der ehemaligen Schreinerei Reiland anschließt und umfasst jüngeren Eichenwald, teilweise auch jungen Erlenwald sowie durch die frühere Nutzung anthropogen überprägte Flächen.

Die Gesamtflächengröße der ausgegliederten Fläche beträgt ca. 0,56 ha.

Eine Ausgliederung erfolgt aufgrund der Überlappung mit dem Geltungsbereich des Bebauungsplans „Wohnen. Leben. Arbeiten. Ehemaliges Gelände Reiland“ der Gemeinde Mettlach, welcher die brachliegende ehemalige Schreinerei Reiland revitalisieren und dort ein allgemeines Wohngebiet sowie ein Mischgebiet ermöglichen soll.

Der Verordnungsentwurf und die Karte mit Eintragung der auszugliedernden Fläche liegen vom 16.12.2022 bis 31.01.2023 (einschließlich) während der allgemeinen Dienststunden im Rathaus der Gemeinde Mettlach, Freiherr-vom-Stein-Straße 64, im Foyer des 3.OG öffentlich aus.

Zusätzlich können die Ausgliederungsunterlagen auf der Internetseite des Ministeriums für Umwelt, Klima, Mobilität, Agrar und Verbraucherschutz eingesehen werden:

https://www.saarland.de/mukmav/DE/portale/naturschutz/aktuelles/bekanntmachungen/bekanntmachungen/2022-11-LSG_ausglverf_L1.00.16_saarschleifeleukbachtal.html

Jeder, dessen Belange durch das Vorhaben berührt werden, kann während der Auslegungsfrist bei der Gemeinde Mettlach Anregungen und/oder Einwendungen schriftlich oder zur Niederschrift vorbringen, möglichst unter Verwendung des dort vorgehaltenen Formblattes.

Die Oberste Naturschutzbehörde prüft die fristgerecht vorgebrachten Anregungen und Einwendungen und teilt den Betroffenen das Ergebnis mit.

Mettlach, den 02.12.2022

Daniel Kiefer

Bürgermeister

Anlage: Übersichtskarte