Titel Logo
Rund um die Saarschleife Gemeinde Mettlach
Ausgabe 9/2023
Amtliche Bekanntmachungen
Zurück zur vorigen Seite
Zurück zur ersten Seite der aktuellen Ausgabe

Bekanntmachung des Satzungsbeschlusses

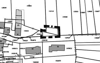
über die Ergänzungssatzung „Schlichtbornwies“ im Ortsteil Bethingen der Gemeinde Mettlach

Der Rat der Gemeinde Mettlach hat gemäß § 10 Abs. 1 Baugesetzbuch (BauGB), in seiner Sitzung am 08.02.2023 die Ergänzungssatzung „Schlichtbornwies“ (Ortsteil Bethingen, Odilienstraße) bestehend aus der Planzeichnung (Teil A), dem Textteil (Teil B) sowie der Begründung, unter Berücksichtigung der Abwägungsergebnisse (§ 1 Abs. 7 BauGB) aus den Beteiligungen der Öffentlichkeit und der Behörden sowie der sonstigen Träger öffentlicher Belange und der Nachbargemeinden nach § 3 Abs. 2 BauGB i.V.m. § 4 Abs. 2 BauGB als Satzung beschlossen.

Dieser Beschluss wird hiermit gem. § 10 Abs. 3 BauGB ortsüblich bekannt gemacht. Mit dieser Bekanntmachung tritt die Satzung „Schlichtbornwies“ in Kraft.

Jedermann kann die Ergänzungssatzung „Schlichtbornwies“, bestehend aus Plan und Begründung im Rathaus der Gemeinde Mettlach, Freiherr-vom-Stein-Straße 64, 3. OG, Bauamt, Zimmer 302, während der allgemeinen Dienststunden einsehen. Eine vorherige Terminvereinbarung wird empfohlen.

Hinweise gemäß §§ 214, 215 BauGB:

Auf die Voraussetzungen für die Geltendmachung der Verletzung von Verfahrens- und Formvorschriften und von Mängeln der Abwägung sowie der Rechtsfolgen der §§ 214, 215 BauGB wird hingewiesen:

Unbeachtlich werden demnach:

1.

eine nach § 214 Abs. 1 Satz 1 Nr. 1 bis 3 BauGB beachtliche Verletzung der dort bezeichneten Verfahrens- und Formvorschriften sowie

2.

nach § 214 Abs. 3 Satz 2 BauGB beachtliche Mängel des Abwägungsvorgangs,

wenn sie nicht innerhalb eines Jahres seit Bekanntmachung der Ergänzungssatzung „Schlichtbornwies“ schriftlich gegenüber der Gemeinde unter Darlegung des die Verletzung begründenden Sachverhalts geltend gemacht worden sind.

Hinweise gemäß § 44 BauGB:

Gemäß § 44 Abs. 3 Satz 1 und 2 und Abs. 4 BauGB wird darauf hingewiesen, dass ein Entschädigungsberechtigter Entschädigung verlangen kann, wenn die in den §§ 39 bis 42 BauGB bezeichneten Vermögensnachteile durch die Festsetzungen dieser Satzung eingetreten sind. Er kann die Fälligkeit dieses Anspruchs dadurch herbeiführen, dass er die Leistung der Entschädigung schriftlich bei dem Entschädigungspflichtigen beantragt. Ein Entschädigungsanspruch erlischt, wenn nicht innerhalb von 3 Jahren nach Ablauf des Kalenderjahres, in dem die oben bezeichneten Vermögensnachteile eingetreten sind, die Fälligkeit des Anspruchs herbeigeführt wird.

Hinweise gemäß § 12 Abs. 6 Kommunalselbstverwaltungsgesetz (KSVG):

Es wird weiter darauf hingewiesen, dass die Satzung gem. § 12 Abs. 6 KSVG im Fall einer Verletzung von Verfahrens- oder Formvorschriften des KSVG ein Jahr nach der öffentlichen Bekanntmachung als von Anfang an gültig zustande gekommen gilt, sofern nicht vor Ablauf der Frist der Bürgermeister dem Beschluss widersprochen oder die Kommunalaufsichtsbehörde den Beschluss beanstandet hat oder der Verfahrens- oder Formmangel gegenüber der Kommune unter Bezeichnung der Tatsache, die den Mangel ergibt, schriftlich gerügt worden ist.

Lageplan mit Geltungsbereich, genordet, ohne Maßstab

Mettlach, den 24.02.2023

Daniel Kiefer