Titel Logo
Nohfelder Nachrichten
Ausgabe 2/2026
Amtliche Bekanntmachungen
Zurück zur vorigen Seite
Zurück zur ersten Seite der aktuellen Ausgabe

Aufstellung des Bebauungsplanes „Holzhauser Wald,

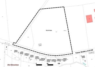
Quelle und Stand Katastergrundlage: LVGL, Stand: 26.11.2025; Bearbeitung: Kernplan GmbH

Quelle: © GeoBasis DE/LVGL-SL (2025); Bearbeitung: Kernplan GmbH

Nachnutzung ehemalige Tennis- und Sportanlage“ in Flur 1 der Gemarkung Türkismühle

hier: Bekanntmachung des Beschlusses zur Einleitung des Verfahrens, Veröffentlichung im Internet u. frühzeitige öffentliche Auslegung gem. § 3 Abs. 1 BauGB

Der Gemeinderat der Gemeinde Nohfelden hat in seiner Sitzung am 18.12.2025 - öffentlicher Sitzungsteil - gemäß § 1 Abs. 3 BauGB und § 2 Abs. 1 BauGB - in der Fassung der Bekanntmachung vom 03. November 2017 (BGBI. I S. 3634) - unter Berücksichtigung der aktuell gültigen Änderungen – die Einleitung des Verfahrens zur Aufstellung des Bebauungsplanes „Holzhauser Wald, Nachnutzung ehemalige Tennis- und Sportanlage“ in Flur 1 der Gemarkung Türkismühle beschlossen. Der ursprüngl. Beschluss zur Aufstellung des vorgenannten Bebauungsplanes vom 07.11.2024 wird auf Grund von Planungs-Modifizierungen durch diesen Aufstellungsbeschluss vom 18.12.2025 ersetzt.

Der Beschluss des Gemeinderates vom 18.12.2025 zur Einleitung des Verfahrens wird gemäß § 2 Abs. 1 BauGB hiermit öffentlich bekannt gemacht.

Am bisherigen Standort der Grüngutsammelstelle im Ortsteil Walhausen ist die Errichtung eines neuen Feuerwehrgerätehauses zur Zusammenlegung von drei Löschbezirken vorgesehen. Die Grüngutsammelstelle soll daher künftig nach Türkismühle verlegt werden und dort nördlich der Trierer Straße auf der Fläche des ehemaligen Tennisplatzes bzw. im Bereich des Sportplatzes untergebracht werden. Der Standort eignet sich zudem für ein Massenlager des Bauhofes. Verbleibende Restflächen sollen im Übrigen perspektivisch für weitere Vereins-, Freizeit- und kommunale Nutzungen vorgesehen werden. Angesichts der im Osten nahe gelegenen Gemeinschaftsschule Nohfelden-Türkismühle soll in diesem Sinne auch eine Inanspruchnahme der Flächen zu schulischen Zwecken möglich sein. Die Waldflächen innerhalb des Plangebietes sollen weitestgehend erhalten bleiben. Die Erschließung des Plangebietes soll über einen von der Trierer Straße (L 330) nach Norden hin abzweigenden Forstweg erfolgen. Dieser soll für die vorgenannten geplanten Nutzungen entsprechend ertüchtigt bzw. ausgebaut und mit internen Zufahrtswegen ausgestattet werden.

Aktuell beurteilt sich die planungsrechtliche Zulässigkeit nach § 35 BauGB (Außenbereich) Danach ist die Planung nicht realisierungsfähig. Daher bedarf es der Aufstellung eines Bebauungsplanes.

Der Bebauungsplan wird für den Bereich der ehem. Tennis- und Sportanlage aufgestellt. Das Plangebiet liegt im Nordwesten des Ortsteils Türkismühle unmittelbar an der Trierer Straße (L 330), westlich der Gemeinschaftsschule Nohfelden-Türkismühle. Der Geltungsbereich des Bebauungsplanes umfasst eine ehemalige Tennis- und Sportanlage mit einem Vereinsgebäude sowie Waldflächen. Im Übrigen befindet sich die Trierer Straße (L 330) anteilig sowie ein von der Trierer Straße nach Norden hin abzweigender Forstweg innerhalb des Plangebietes. Begrenzt wird der Geltungsbereich im Süden durch die Trierer Straße (L 330), im Osten durch Waldflächen und zum Sportplatz zugehörige bauliche Anlagen (u.a. Vereinsgebäude) sowie im Norden und Westen durch Waldflächen.

Der Geltungsbereich des Bebauungsplanes „Holzhauser Wald, Nachnutzung ehemalige Tennis- und Sportanlage“ erstreckt sich über nachfolgende Grundstücke:

Gemarkung Türkismühle, Flur 1, Parz.-Nr. 32/12 TF, 33/3 TF, 32/8 und Parz.-Nr. 117/10 TF (TF = Teilfläche)

Die genauen Grenzen des Geltungsbereiches des Bebauungsplanes sind dem beigefügten Lageplan zu entnehmen. Er umfasst insgesamt eine Fläche von ca. 3,6 ha.

Der Flächennutzungsplan der Gemeinde Nohfelden stellt den Geltungsbereich des Bebauungsplanes derzeit noch als Grünfläche mit der Zweckbestimmung „Sportplatz“ dar. Der vorliegende Bebauungsplan widerspräche damit aktuell dem Entwicklungsgebot gem. § 8 Abs. 2 BauGB, wonach Bebauungspläne aus dem Flächennutzungsplan zu entwickeln sind. Aus diesem Grund wird für den Geltungsbereich des Bebauungsplanes der Flächennutzungsplan im Parallelverfahren gem. § 8 Abs. 3 BauGB teilgeändert.

Im Rahmen der Bebauungsplanaufstellung wird eine Umweltprüfung gem. § 2 Abs. 4 BauGB durchgeführt und ein Umweltbericht gem. § 2a BauGB erstellt. Ein Entwurf des Umweltberichts liegt bereits vor und wird nach Abschluss der frühzeitigen Beteiligung der Öffentlichkeit, der Behörden und sonstiger Träger öffentlicher Belange sowie der Nachbargemeinden gem. § 3 Abs. 1 BauGB, § 4 Abs. 1 BauGB und § 2 Abs. 2 BauGB fertiggestellt.

In seiner Sitzung am 18.12.2025 hat der Gemeinderat die Entwurfsplanung, bestehend aus der Planzeichnung (Teil A) und dem Textteil (Teil B), der Begründung sowie dem Entwurf des Umweltberichts, zur Aufstellung des Bebauungsplanes „Holzhauser Wald, Nachnutzung ehemalige Tennis- und Sportanlage“ gebilligt und die frühzeitige öffentliche Auslegung beschlossen.

Gemäß § 3 Abs. 1 BauGB, in der Fassung der Bekanntmachung vom 03. November 2017 (BGBl. I S. 3634), unter Berücksichtigung der aktuell gültigen Änderungen, wird hiermit öffentlich bekannt gemacht, dass der Entwurf zur Aufstellung des Bebauungsplanes „Holzhauser Wald, Nachnutzung ehemalige Tennis- und Sportanlage“ – bestehend aus Planzeichnung (Teil A) Textteil (Teil B), Begründung und Entwurf des Umweltberichtes - in der Zeit vom 12.01.2026 bis einschließlich 13.02.2026 auf der Internetseite der Gemeinde Nohfelden unter folgendem Pfad: Rathaus & Service, Öffentliche Auslegungen von Bebauungsplänen/Flächennutzungsplanänderungen (https://www.nohfelden.de/rathaus-service/) veröffentlicht und zur Ansicht und zum Herunterladen bereitgehalten werden.

Der Inhalt der Bekanntmachung ist ebenfalls eingestellt.

Die oben genannten Unterlagen können zusätzlich in der Zeit vom 12.01.2026 bis einschließlich 13.02.2026 im Rathaus der Gemeinde Nohfelden, An der Burg, 66625 Nohfelden, Zimmer Nr. 1.13, während der allgemeinen Dienststunden (Montag bis Freitag von 08.00 Uhr bis 12.00 Uhr sowie Montag bis Donnerstag von 13.30 Uhr bis 15.00 Uhr bzw. Donnerstag, dem 22.01.2026 u. 12.02.2026, bis 18.00 Uhr) eingesehen werden.

Während der zuvor genannten Frist können von jedermann Stellungnahmen elektronisch per E-Mail an die E-Mail-Adresse info@nohfelden.de - bei Bedarf auch schriftlich oder zur Niederschrift - vorgebracht werden. Nicht fristgerecht vorgebrachte Stellungnahmen können bei der Beschlussfassung über den Bebauungsplan unberücksichtigt bleiben, sofern die Kommune deren Inhalt nicht kannte und nicht hätte kennen müssen und deren Inhalt für die Rechtmäßigkeit des Bauleitplans nicht von Bedeutung ist.

Die Öffentlichkeit kann sich gemäß § 3 Abs. 1 BauGB frühzeitig über die allgemeinen Ziele und Zwecke der Planung informieren und zur Planung äußern.

Hinweise zum Datenschutz

Die Verarbeitung personenbezogener Daten erfolgt auf Grundlage des § 3 BauGB in Verbindung mit Art. 6 Abs. 1 Buchst. e DSGVO i. V. m. § 3 BauGB und dem Saarländischen Datenschutzgesetz.

Es wird ausdrücklich darauf hingewiesen, dass ein Flächennutzungsplan-/Bebauungsplanverfahren ein öffentliches Verfahren ist und daher in der Regel alle dazu eingehenden Stellungnahmen in öffentlichen Sitzungen beraten und entschieden werden. Soll eine Stellungnahme nur anonym behandelt werden, ist dies auf derselben eindeutig zu vermerken.

Sofern Sie Ihre Stellungnahme ohne Absenderangaben abgeben, erhalten Sie keine Mitteilung über das Ergebnis der Prüfung. Weitere Informationen entnehmen Sie bitte dem Formblatt: Informationspflichten bei der Erhebung von Daten im Rahmen der Öffentlichkeitsbeteiligung nach BauGB (Art. 13 DSGVO), welches mit ausliegt.

Nohfelden, den 07.01.2026
gez.
Andreas Veit
-Bürgermeister-

Lagepläne, ohne Maßstab

Geltungsbereich des Bebauungsplanes/der Teiländerung des Flächennutzungsplanes „Holzhauser Wald, Nachnutzung ehemalige Tennis- und Sportanlage“ in der Gemeinde Nohfelden, Ortsteil Türkismühle

Übersichtsplan

Geltungsbereich des Bebauungsplanes „Holzhauser Wald, Nachnutzung ehemalige Tennis- und Sportanlage“ in der Gemeinde Nohfelden, Ortsteil Türkismühle

Auszug aus der Planzeichnung

zur Teiländerung des Flächennutzungsplanes der Gemeinde Nohfelden für den Bereich des Bebauungsplanes „Holzhauser Wald, Nachnutzung ehemalige Tennis- und Sportanlage“ in der Gemeinde Nohfelden, Ortsteil Türkismühle