Titel Logo
Nohfelder Nachrichten
Ausgabe 30/2022
Amtliche Bekanntmachungen
Zurück zur vorigen Seite
Zurück zur ersten Seite der aktuellen Ausgabe

Vorhabenbezogener Bebauungsplan „Wohnbebauung Primstaler Straße Ecke Blumenstrasse“ in Flur 19 der Gemarkunbg Selbach

hier: Bekanntmachung über die Einleitung des Verfahrens und Beteiligung der Öffentlichkeit (öffentliche Auslegung)

Der Gemeinderat der Gemeinde Nohfelden hat in seiner öffentlichen Sitzung am 21.07.2022 gemäß § 1 Abs. 3 und § 2 Abs. 1 BauGB (Baugesetzbuch) in der Fassung der Bekanntmachung vom 03. November 2017 (BGBI. I S. 3634) - unter Berücksichtigung der aktuell gültigen Änderungen - beschlossen, das Verfahren zur Aufstellung des vorhabenbezogenen Bebauungsplanes „Wohnbebauung Primstaler Straße Ecke Blumenstraße“ mit Vorhaben- und Erschließungsplan in Flur 19 der Gemarkung Selbach einzuleiten.

Gemäß § 2 Abs. 1 BauGB i.V.m. § 12 BauGB in der Fassung der Bekanntmachung vom 03. November 2017 (BGBI. I S. 3634) - unter Berücksichtigung der aktuell gültigen Änderungen - wird hiermit öffentlich bekannt gemacht, dass der Gemeinderat der Gemeinde Nohfelden in öffentlicher Sitzung am 21.07.2022 den Beschluss zur Einleitung des Verfahrens zur Aufstellung des vorhabenbezogenen Bebauungsplanes „Wohnbebauung Primstaler Straße Ecke Blumenstraße“ mit Vorhaben- und Erschließungsplan - in Flur 19 der Gemarkung Selbach - im beschleunigten Verfahren gefasst hat.

Mit der Aufstellung des vorhabenbezogenen Bebauungsplanes werden folgende Ziele verfolgt:

Im Nohfelder Ortsteil Selbach sollen auf einer bislang unbebauten Grün-/Freifläche im Bereich der Primstaler Straße Ecke Blumenstraße drei Mehrfamilienhäuser errichtet werden.

Das Planvorhaben sieht die Realisierung einer Wohnanlage mit insgesamt 18 Wohneinheiten, Garagen, PKW-Stellplätzen, Fahrrad-Stellplätzen und einem Kinder-Spielplatz vor. Die Gebäude sind dabei mit jeweils 2 Geschossen zzgl. Staffelgeschoss geplant.

Die Erschließung der Fläche ist über die nördlich angrenzende Primstaler Straße sowie die östlich angrenzende Blumenstraße gewährleistet, soll jedoch im Zuge der Bebauung ausschließlich über die Primstaler Straße erfolgen. Die erforderlichen Stellplätze (ruhender Verkehr) können vollständig auf dem Grundstück organisiert werden.

Der Standort ist für Wohnnutzung sehr gut geeignet, da auch die Umgebung überwiegend durch Wohnnutzung geprägt ist.

Auf Grundlage des bestehenden Bebauungsplanes „Am Lasterberg“ aus den 1970er Jahren kann das Vorhaben jedoch nicht realisiert werden (insbesondere aufgrund Art und Maß der baulichen Nutzung). Zur Schaffung der planungsrechtlichen Voraussetzungen für die Zulässigkeit der Planung bedarf es daher der Aufstellung eines vorhabenbezogenen Bebauungsplanes.

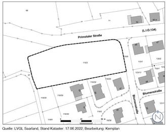
Der Geltungsbereich des vorhabenbezogenen Bebauungsplanes mit Vorhaben- und Erschließungsplan „Wohnbebauung Primstaler Straße Ecke Blumenstraße“ erstreckt sich über die Parz.-Nr. 115/3 in Flur 19 der Gemarkung Selbach und ersetzt in seinem Geltungsbereich den Bebauungsplan „Am Lasterberg“ aus dem Jahr 1978.

Die genauen Grenzen des Geltungsbereiches des vorhabenbezogenen Bebauungsplanes mit Vorhaben- und Erschließungsplan sind dem beigefügten Lageplan zu entnehmen. Er umfasst eine Fläche von ca. 4.800 qm. Der Lageplan ist Teil des Aufstellungsbeschlusses.

Die Flächen befinden sich vollständig im Eigentum des Vorhabenträgers.

Der vorhabenbezogene Bebauungsplan wird im beschleunigten Verfahren gem. § 13a i.V.m. § 13 BauGB aufgestellt.

Der Flächennutzungsplan der Gemeinde Nohfelden stellt die Fläche als gemischte Baufläche dar. Das Entwicklungsgebot gem. § 8 Abs. 2 BauGB ist somit nicht erfüllt. Der Flächennutzungsplan wird im Wege der Berichtigung gem. § 13a Abs. 2 Nr. 2 BauGB angepasst.

Das Verfahren zur Aufstellung des vorhabenbezogenen Bebauungsplanes erfüllt die Vorgaben, um gemäß § 13a BauGB - Bebauungspläne der Innenentwicklung - i.V.m. § 13 BauGB im beschleunigten Verfahren durchgeführt zu werden. Es wird darauf hingewiesen, dass gem. § 13 Abs. 3 BauGB von einer Umweltprüfung nach § 2 Abs. 4 BauGB, von dem Umweltbericht nach § 2 a BauGB, von der Angabe nach § 3 Abs. 2 Satz 2 BauGB, welche Arten umweltbezogener Informationen verfügbar sind, der zusammenfassenden Erklärung nach § 10a Abs. 1 BauGB und gem. § 13 Abs. 2 BauGB und § 13a Abs. 3 BauGB von der frühzeitigen Unterrichtung und Erörterung nach §§ 3 Abs. 1 und 4 Abs. 1 BauGB abgesehen wird.

In seiner öffentlichen Sitzung am 21.07.2022 hat der Gemeinderat den Entwurf des vorhabenbezogenen Bebauungsplanes „Wohnbebauung Primstaler Straße Ecke Blumenstraße“, bestehend aus der Planzeichnung (Teil A) und dem Textteil (Teil B), dem Vorhaben- und Erschließungsplan sowie der Begründung, gebilligt und die öffentliche Auslegung beschlossen.

Gemäß §§ 13a, 13 BauGB und 3 Abs. 2 BauGB in der Fassung der Bekanntmachung vom 03. November 2017 (BGBI. I S. 3634), unter Berücksichtigung der aktuell gültigen Änderungen, wird hiermit öffentlich bekannt gemacht, dass der Entwurf des vorhabenbezogenen Bebauungsplanes, bestehend aus der Planzeichnung (Teil A) und dem Textteil (Teil B), dem Vorhaben- und Erschließungsplan sowie der Begründung, in der Zeit vom 08.08.2022 bis einschließlich 09.09.2022 während der Dienststunden (Montag bis Freitag von 08.00 Uhr bis 12.00 Uhr sowie Montag bis Donnerstag von 13.30 Uhr bis 15.00 Uhr sowie am 11.08.2022 u. 25.08.2022 bis 18:00 Uhr) im Rathaus der Gemeinde Nohfelden, Bauamt, Zimmer 1.13, zu jedermanns Einsicht öffentlich ausliegt.

Der Inhalt der ortsüblichen Bekanntmachung nach § 3 Abs. 2 Satz 2 BauGB und die nach § 3 Abs. 2 Satz 1 BauGB auszulegenden Unterlagen sind zusätzlich zum Internetportal der Gemeinde Nohfelden (https://www.nohfelden.de/rathaus-service/) auch über das zentrale Internetportal des Landes (https://www.uvp-verbund.de/kartendienste) elektronisch abrufbar.

Während der Auslegungsfrist können von jedermann Stellungnahmen schriftlich, zur Niederschrift oder elektronisch per Mail an die E-Mail-Adresse info@nohfelden.de vorgebracht werden; nicht fristgerecht vorgebrachte Stellungnahmen können bei der Beschlussfassung über den vorhabenbezogenen Bebauungsplan unberücksichtigt bleiben.

Hinweise zum Datenschutz

Die Verarbeitung personenbezogener Daten erfolgt auf Grundlage des § 3 BauGB in Verbindung mit Art. 6 Abs. 1 Buchst. e DSGVO und dem Saarländisches Datenschutzgesetz. Sofern Sie ihre Stellungnahme ohne Absenderangaben abgeben, erhalten Sie keine Mitteilung über das Ergebnis der Prüfung. Weitere Informationen entnehmen Sie bitte dem Formblatt: Informationspflichten bei der Erhebung von Daten im Rahmen der Öffentlichkeitsbeteiligung nach BauGB (Art. 13 DSGVO), welches mit ausliegt.

Auch wird ausdrücklich darauf hingewiesen, dass ein Flächennutzungsplan-/Bebauungsplanverfahren ein öffentliches Verfahren ist und daher in der Regel alle dazu eingehenden Stellungnahmen in öffentlichen Sitzungen beraten und entschieden werden. Soll eine Stellungnahme nur anonym behandelt werden, ist dies auf derselben eindeutig zu vermerken.

Nohfelden, den 26.07.2022
gez. Andreas Veit
-Bürgermeister-

Lageplan, ohne Maßstab

Geltungsbereich des vorhabenbezogenen Bebauungsplans mit Vorhaben- und Erschließungsplan „Wohnbebauung Primstaler Straße Ecke Blumenstraße“ in der Gemeinde Nohfelden, Ortsteil Selbach