Titel Logo
Nohfelder Nachrichten
Ausgabe 37/2025
Amtliche Bekanntmachungen
Zurück zur vorigen Seite
Zurück zur ersten Seite der aktuellen Ausgabe

Teiländerung des Flächennutzungsplanes im Bereich des vorhabenbezogenen Bebauungsplanes mit Vorhaben-

und Erschließungsplan „Neubau NORMA-Markt“ in der Gemeinde Nohfelden, Ortsteil Bosen

Bekanntmachung der Anpassung des Geltungsbereiches sowie der Veröffentlichung im Internet und der Auslegung zur frühzeitigen Beteiligung der Öffentlichkeit gem. § 3 Abs. 1 BauGB

Der Gemeinderat hat in seiner Sitzung am 01.02.2024 gemäß § 1 Abs. 3 und § 2 Abs. 1 BauGB beschlossen, den Flächennutzungsplan im Bereich des vorhabenbezogenen Bebauungsplanes mit Vorhaben- und Erschließungsplan „Neubau NORMA-Markt“ teilzuändern. In seiner Sitzung am 04.09.2025 hat der Gemeinderat die Anpassung des Geltungsbereiches der Teiländerung des Flächennutzungsplanes im Bereich des vorhabenbezogenen Bebauungsplanes mit Vorhaben- und Erschließungsplan „Neubau NORMA-Markt“ beschlossen.

Gegenstand der vorliegenden Teiländerung des Flächennutzungsplanes ist die Darstellung einer Sonderbaufläche, um die Errichtung eines Lebensmittelmarktes mit Bäckerei / Cafe planerisch vorzubereiten. Aktuell stellt der Flächennutzungsplan den Geltungsbereich als Fläche für die Landwirtschaft dar.

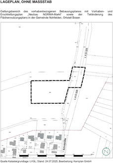
Die Grenze des räumlichen Geltungsbereiches der Teiländerung umfasst den Geltungsbereich des vorhabenbezogenen Bebauungsplanes mit Vorhaben- und Erschließungsplan „Neubau NORMA-Markt“. Die genauen Grenzen des Geltungsbereiches der Teiländerung des Flächennutzungsplanes sind dem beigefügten Lageplan zu entnehmen. Er umfasst eine Fläche von ca. 7.870 m2.

Die BürgerInnen sind im Rahmen der frühzeitigen Beteiligung über die Ziele und Zwecke der Planung zu informieren.

Gemäß § 3 Abs. 1 BauGB, in der Fassung der Bekanntmachung vom 03. November 2017 (BGBl. I S. 3634), unter Berücksichtigung der aktuell gültigen Änderungen, wird hiermit öffentlich bekannt gemacht, dass der Vorentwurf der Flächennutzungsplanteiländerung, bestehend aus dem Plan und der Begründung, in der Zeit vom 15.09.2025 bis einschließlich 17.10.2025 auf der Internetseite der Gemeinde (unter www.nohfelden.de) unter folgendem Pfad: RATHAUS & SERVICE, Öffentliche Auslegungen von Bebauungsplänen/Flächennutzungsplanänderungen/Sonstiges, veröffentlicht und zur Ansicht und zum Herunterladen bereitgehalten werden. Der Inhalt dieser Bekanntmachung ist ebenfalls ins Internet eingestellt.

Die oben genannten Unterlagen können während des oben genannten Zeitraums zusätzlich im Rathaus der Nohfelden, An der Burg, 66625 Nohfelden, Zimmer Nr. 0.3, während der folgenden allgemeinen Dienststunden eingesehen werden: Um telefonische Voranmeldung wird gebeten

Der Umweltbericht gem. § 2a BauGB wird nach Abschluss der frühzeitigen Beteiligung gem. § 3 Abs. 1 BauGB, § 4 Abs. 1 BauGB und § 2 Abs. 2 BauGB erstellt.

Während der Veröffentlichungsfrist können von jedermann Stellungnahmen elektronisch per E-Mail an die E-Mail-Adresse: kerstin.lauerburg@nohfelden.de, bei Bedarf auch schriftlich oder zur Niederschrift, vorgebracht werden.

Nohfelden 04.09.2025
Gez. Andreas Veit, Bürgermeister