Titel Logo
Nohfelder Nachrichten
Ausgabe 40/2022
Amtliche Bekanntmachungen
Zurück zur vorigen Seite
Zurück zur ersten Seite der aktuellen Ausgabe

Bekanntmachung

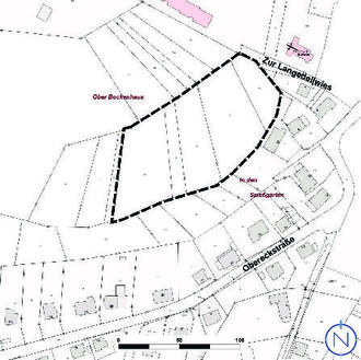
Quelle und Stand Katastergrundlage: LVGL, 07.09.2018; Bearbeitung: Kernplan; Stand: 16.08.2022

Bebauungsplan

„Zur Langedellwiese (Projekt ProWAL)

in der Gemeinde Nohfelden, Ortsteil Walhausen

Bekanntmachung des Beschlusses zum Verfahrenswechsel von einem Bebauungsplan gem. § 13a BauGB zu einem Bebauungsplan im Regelverfahren mit Durchführung einer Umweltprüfung gem. § 2 Abs. 4 BauGB

Bekanntmachung der Öffentlichen Auslegung des Bebauungsplanes gem. § 3 Abs. 2 BauGB

Der Gemeinderat der Gemeinde Nohfelden hat in seiner Sitzung am 27.06.2019 gemäß § 1 Abs. 3 und § 2 Abs. 1 BauGB beschlossen, das Verfahren zur Aufstellung des Bebauungsplanes „Zur Langedellwiese (Projekt ProWAL)“ einzuleiten (Geltungsbereich siehe Anlage).

Ziel des Bebauungsplans ist es, die planungsrechtlichen Voraussetzungen für die Umsetzung des städtebaulichen Konzepts im Bereich „Langedellwiese“ zu schaffen. Dadurch sollen zum einen die planungsrechtlichen Voraussetzungen für die Realisierung eines bedarfsorientierten Wohngebietes für nachhaltiges, barrierefreies und familienfreundliches Wohnen im Bereich „Langedellwiese“ geschaffen werden, das neben Angeboten für Familienwohnen (Einzel- und Doppelhäuser) auch Angebote für Einzel-, Gemeinschafts- und Mehrgenerationenwohnen inkl. barrierefreiem Wohnen umfassen soll.

Die Gemeinde vollzieht ein Verfahrenswechsel hin zu einem Bebauungsplan im Regelverfahren. Die Bebauungsplanunterlagen wurden entsprechend angepasst und ergänzt. Gemäß § 2 Abs. 4 BauGB wird zum Bebauungsplan eine Umweltprüfung durchgeführt und ein Umweltbericht erstellt. Der Umweltbericht ist gesonderter Bestandteil der Begründung. Der Verfahrenswechsel erfordert ein Beteiligungsverfahren nach § 3 Abs. 2 BauGB, § 4 Abs. 2 BauGB und § 2 Abs. 2 BauGB. Der Geltungsbereich bleibt unverändert. Aufgrund der bereits durchgeführten Beteiligungen der Öffentlichkeit, der Behörden und sonstigen Träger öffentlicher Belange sowie der Nachbargemeinden kann die frühzeitige Beteiligung gem. § 3 Abs. 1 BauGB, § 4 Abs. 1 BauGB und § 2 Abs. 2 BauGB als erbracht angesehen werden.

In seiner Sitzung am 29.09.2022 hat der Gemeinderat den überarbeiteten Entwurf des Bebauungsplanes „Zur Langedellwiese (Projekt ProWAL)“, bestehend aus der Planzeichnung (Teil A) und dem Textteil (Teil B), der zugehörigen Begründung und dem Umweltbericht, gebilligt und die öffentliche Auslegung beschlossen.

Wesentlicher Bestandteil der Überarbeitung ist die Ergänzung der Planunterlagen um einen Umweltbericht und Einarbeitung von dessen Ergebnissen (u.a. Kompensationsmaßnahmen).

Der Geltungsbereich des Bebauungsplanes „Zur Langedellwiese (Projekt ProWAL)“ erstreckt sich über nachfolgende Grundstücke:

Gemarkung Walhausen, Flur 5, Parz.-Nr. 56, 57, 58, 59 u. 60.

Die genauen Grenzen des Geltungsbereiches des Bebauungsplanes sind dem beigefügten Lageplan zu entnehmen. Er umfasst eine Fläche von ca. 9.900 m2.

Der Flächennutzungsplan der Gemeinde Nohfelden stellt für den überwiegenden Teil des Geltungsbereiches (inkl. Änderung im Bereich „Langedellwiese“) eine Fläche für die Landwirtschaft dar. Das Entwicklungsgebot gem. § 8 Abs. 2 BauGB ist somit nicht erfüllt. Der Flächennutzungsplan wird gem. § 8 Abs. 3 BauGB im Parallelverfahren geändert.

Gemäß 3 Abs. 2 BauGB in der Fassung der Bekanntmachung vom 03. November 2017 (BGBI. I S. 3634), unter Berücksichtigung der aktuell gültigen Änderungen, wird hiermit öffentlich bekannt gemacht, dass der Entwurf des Bebauungsplanes, bestehend aus der Planzeichnung (Teil A) und dem Textteil (Teil B), der zugehörigen Begründung und dem Umweltbericht sowie den umweltbezogenen Stellungnahmen, in der Zeit vom 17.10.2022 bis einschließlich 18.11.2022 während der Dienststunden (Montag bis Freitag von 08.00 Uhr bis 12.00 Uhr sowie Montag bis Donnerstag von 13.30 Uhr bis 15.00 Uhr bzw. Donnerstag, dem 27.10.2022 u. 10.11.2022, bis 18.00 Uhr) im Rathaus der Gemeinde Nohfelden, Bauamt, Zimmer 1.13 für jedermann einsehbar ist.

Folgende Dokumente mit umweltbezogenen Informationen sind verfügbar:

Umweltbericht (der nach Maßgabe der Anlage 1 zum BauGB u.a. nach den Umweltschutzgütern i.S.d. § 1 Abs. 6 Nr. 7 BauGB gegliedert ist) mit folgenden Informationen:

Schutzgut Boden, unter Anwendung externer Ausgleichmaßnahmen keine erhebliche Beeinträchtigung: pedogen geringer Bodenfunktionserfüllungsgrad, funktionale Kompensation durch externe Ausgleichsmaßnahme (Überführung von Ackerland in Grünland)

Schutzgut Wasser, unter Anwendung der Schutzmaßnahmen keine erhebliche Beeinträchtigung: Niederschlagswasserableitung in Elsenbach über RRB (wasserrechtliche Erlaubnis gem. § 10 WHG wird im Rahmen des Bauantrages gestellt)

Schutzgut Klima und Lufthygiene, keine erhebliche Beeinträchtigung: keine ausgewiesenen Kaltluftentstehungsgebiete oder Abflussbahnen betroffen, geringe geländeklimatische Belastung und Änderung der lufthygienischen Situation durch Bebauung, keine relevante Änderung des Mesoklimas

Schutzgut Tiere und Pflanzen/Biologische Vielfalt/Artenschutz, unter Anwendung externer Ausgleichmaßnahmen i.s.d. Eingriffsregelung keine erhebliche Beeinträchtigung: der B-Plan legitimiert den Verlust eines FFH-Lebensraums (FFH-LRT 6510, Erhaltungszustand BPlus), der durch Neuschaffung adäquater Lebensräume im nahen Umfeld funktional ausgeglichen wird; Funktionsraumverlust für das nachgewiesene Braunkehlchen im westlich anschließenden Offenland nicht erheblich; aus der artenschutzrechtlichen Prüfung ergeben sich unter Beachtung der festgesetzten Vermeidungsmaßnahmen keine Hinweise auf das Eintreten der Verbotstatbestände n. § 44 Abs. 1 Nr. 1-3 BNatSchG

Schutzgut Landschaftsbild, keine erhebliche Beeinträchtigung: Arrondierung des Siedlungskörpers; geringe Einsehbarkeit durch abschirmende Gehölzflächen; keine Fernwirkung

Schutzgut Mensch, geringe Beeinträchtigung: keine Änderung der Wohnqualität benachbarter Bebauung wg. fehlender Einsehbarkeit; Gebiet ohne Erholungsfunktion; keine erhebliche Steigerung der bereits höheren Besucherbewegungen (Waldorfschule)

Schutzgut Kultur- und Sachgüter, keine Beeinträchtigung: keine Denkmale, Denkmalensembles, Bodendenkmale, Gebiete bzw. Objekte, die als archäologisch oder geschichtlich bedeutsam eingestuft sind, Fläche derzeit extensiv landwirtschaftlich durch den Vorhabenträger genutzt

Schutzgebiete: keine Schutzgebiete n. BNatSchG und WHG direkt betroffen, kein erheblicher Einfluss auf die Erhaltungsziele des ca. 500 m westlich beginnenden NATURA 2000-Gebietes LSG „Südteil des Nohfeldener Rhyolith-Massivs“ (6408-308)

Externe Ausgleichsmaßnahmen: Entwicklung von Magergrünland auf Pachtflächen des Vorhabenträgers als multifunktionale Maßnahme zur Abwendung eines Biodiversitätsschadens (FFH-LRT-Entwicklung) und zum Ausgleich des Bilanzdefizites n. der Eingriffsregelung

1 Stellungnahme von Behörden und sonstigen Trägern öffentlicher Belange mit Umweltbezug, betreffend folgende Themen: Umfang und Detaillierungsgrad des Umweltberichtes; FFH-Lebensraum; artenschutzrechtliche Relevanzprüfung; Ausgleich gem. Eingriffsregelung und Funktionalausgleich; Pflanzmaßnahmen; Landschaftsplan; Gewässerschutz; Bodenschutz; Lärmschutz.

Der Inhalt der ortsüblichen Bekanntmachung nach § 3 Abs. 2 Satz 2 BauGB und die nach § 3 Abs. 2 Satz 1 BauGB auszulegenden Unterlagen sind zusätzlich zum Internetportal der Gemeinde Nohfelden (https://www.nohfelden.de/rathaus-service/) auch über das zentrale Internetportal des Landes (https://www.uvp-verbund.de/kartendienste) elektronisch abrufbar.

Während der Auslegungsfrist können von jedermann Stellungnahmen schriftlich, zur Niederschrift oder elektronisch per Mail an die E-Mail-Adresse info@nohfelden.de vorgebracht werden; nicht fristgerecht vorgebrachte Stellungnahmen können bei der Beschlussfassung über den Bebauungsplan unberücksichtigt bleiben, sofern die Gemeinde deren Inhalt nicht kannte und nicht hätte kennen müssen und deren Inhalt für die Rechtmäßigkeit des Bauleitplans nicht von Bedeutung ist.

Hinweise zum Datenschutz

Die Verarbeitung personenbezogener Daten erfolgt auf Grundlage des § 3 BauGB in Verbindung mit Art. 6 Abs. 1 Buchst. e DSGVO und dem Saarländisches Datenschutzgesetz. Sofern Sie ihre Stellungnahme ohne Absenderangaben abgeben, erhalten Sie keine Mitteilung über das Ergebnis der Prüfung.

Weitere Informationen entnehmen Sie bitte dem Formblatt: Informationspflichten bei der Erhebung von Daten im Rahmen der Öffentlichkeitsbeteiligung nach BauGB (Art. 13 DSGVO), welches mit ausliegt.

Auch wird ausdrücklich darauf hingewiesen, dass ein Flächennutzungsplan-/Bebauungsplanverfahren ein öffentliches Verfahren ist und daher in der Regel alle dazu eingehenden Stellungnahmen in öffentlichen Sitzungen beraten und entschieden werden. Soll eine Stellungnahme nur anonym behandelt werden, ist dies auf derselben eindeutig zu vermerken.

Nohfelden, den 5. Oktober 2022
gez.
Andreas Veit
-Bürgermeister-

Lageplan, ohne Maßstab

Geltungsbereich des Bebauungsplans und der Teiländerung des Flächennutzungsplanes „Zur Langedellwiese (Projekt ProWAL)“ in der Gemeinde Nohfelden, Ortsteil Walhausen