Titel Logo
Nohfelder Nachrichten
Ausgabe 40/2022
Amtliche Bekanntmachungen
Zurück zur vorigen Seite
Zurück zur ersten Seite der aktuellen Ausgabe

Bekanntmachung

Teiländerung des Flächennutzungsplanes „Zur Langedellwiese (Projekt ProWAL)“ in der Gemeinde Nohfelden, Ortsteil Walhausen

Bekanntmachung der Öffentlichen Auslegung gem. § 3 Abs. 2 BauGB

Der Gemeinderat der Gemeinde Nohfelden hat in seiner Sitzung am 29.09.2022 die öffentliche Auslegung der Teiländerung des Flächennutzungsplanes im Bereich des Bebauungsplanes „Zur Langedellwiese (Projekt ProWAL)“ beschlossen.

Ziel des Bebauungsplans ist es, die planungsrechtlichen Voraussetzungen für die Umsetzung des städtebaulichen Konzepts im Bereich „Langedellwiese“ im Umfeld der Waldorfschule zu schaffen.

Der Flächennutzungsplan der Gemeinde Nohfelden stellt für den überwiegenden Teil des Bereichs „Langedellwiese“ (inkl. Änderung im Bereich „Langedellwiese“ 2015) bislang eine Fläche für die Landwirtschaft dar.

Gegenstand der vorliegenden Teiländerung des Flächennutzungsplanes ist die Darstellung einer gemischten und einer Wohn-Baufläche, um die Realisierung der geplanten Nutzungen planerisch vorzubereiten.

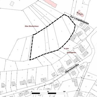
Die Grenzen des räumlichen Geltungsbereiches der Teiländerung umfassen den Geltungsbereich des Bebauungsplanes „Zur Langedellwiese (Projekt ProWAL)“. Die genauen Grenzen des Geltungsbereiches der Teiländerung des Flächennutzungsplanes sind dem beigefügten Lageplan zu entnehmen. Sie umfassen eine Fläche von ca. 1,0 ha.

Gemäß § 3 Abs. 2 BauGB, in der Fassung der Bekanntmachung vom 03. November 2017 (BGBl. I S. 3634), unter Berücksichtigung der aktuell gültigen Änderungen, wird hiermit öffentlich bekannt gemacht, dass der Entwurf der Teiländerung des Flächennutzungsplanes, bestehend aus der Planzeichnung (Teil A) und dem Textteil (Teil B), der Begründung und dem Umweltbericht sowie den umweltbezogenen Stellungnahmen, in der Zeit vom 17.10.2022 bis einschließlich 18.11.2022 während der Dienststunden (Montag bis Freitag von 08.00 Uhr bis 12.00 Uhr sowie Montag bis Donnerstag von 13.30 Uhr bis 15.00 Uhr bzw. Donnerstag, dem 27.10.2022 u. 10.11.2022, bis 18.00 Uhr) im Rathaus der Gemeinde Nohfelden, Bauamt, Zimmer 1.13 für jedermann einsehbar ist.

Folgende Dokumente mit umweltbezogenen Informationen sind verfügbar:

• Umweltbericht (der nach Maßgabe der Anlage 1 zum BauGB u.a. nach den Umweltschutzgütern i.S.d. § 1 Abs. 6 Nr. 7 BauGB gegliedert ist) mit folgenden Informationen:

  • Schutzgut Boden, unter Anwendung externer Ausgleichmaßnahmen keine erhebliche Beeinträchtigung: pedogen geringer Bodenfunktionserfüllungsgrad, funktionale Kompensation durch externe Ausgleichsmaßnahme (Überführung von Ackerland in Grünland)
  • Schutzgut Wasser, unter Anwendung der Schutzmaßnahmen keine erhebliche Beeinträchtigung: Niederschlagswasserableitung in Elsenbach über RRB (wasserrechtliche Erlaubnis gem. § 10 WHG wird im Rahmen des Bauantrages gestellt)
  • Schutzgut Klima und Lufthygiene, keine erhebliche Beeinträchtigung: keine ausgewiesenen Kaltluftentstehungsgebiete oder Abflussbahnen betroffen, geringe geländeklimatische Belastung und Änderung der lufthygienischen Situation durch Bebauung, keine relevante Änderung des Mesoklimas
  • Schutzgut Tiere und Pflanzen/Biologische Vielfalt/Artenschutz, unter Anwendung externer Ausgleichmaßnahmen i.s.d. Eingriffsregelung keine erhebliche Beeinträchtigung: der B-Plan legitimiert den Verlust eines FFH-Lebensraums (FFH-LRT 6510, Erhaltungszustand BPlus), der durch Neuschaffung adäquater Lebensräume im nahen Umfeld funktional ausgeglichen wird; Funktionsraumverlust für das nachgewiesene Braunkehlchen im westlich anschließenden Offenland nicht erheblich; aus der artenschutzrechtlichen Prüfung ergeben sich unter Beachtung der festgesetzten Vermeidungsmaßnahmen keine Hinweise auf das Eintreten der Verbotstatbestände n. § 44 Abs. 1 Nr. 1-3 BNatSchG
  • Schutzgut Landschaftsbild, keine erhebliche Beeinträchtigung: Arrondierung des Siedlungskörpers; geringe Einsehbarkeit durch abschirmende Gehölzflächen; keine Fernwirkung
  • Schutzgut Mensch, geringe Beeinträchtigung: keine Änderung der Wohnqualität benachbarter Bebauung wg. fehlender Einsehbarkeit; Gebiet ohne Erholungsfunktion; keine erhebliche Steigerung der bereits höheren Besucherbewegungen (Waldorfschule)
  • Schutzgut Kultur- und Sachgüter, keine Beeinträchtigung: keine Denkmale, Denkmalensembles, Bodendenkmale, Gebiete bzw. Objekte, die als archäologisch oder geschichtlich bedeutsam eingestuft sind, Fläche derzeit extensiv landwirtschaftlich durch den Vorhabenträger genutzt
  • Schutzgebiete: keine Schutzgebiete n. BNatSchG und WHG direkt betroffen, kein erheblicher Einfluss auf die Erhaltungsziele des ca. 500 m westlich beginnenden NATURA 2000-Gebietes LSG „Südteil des Nohfeldener Rhyolith-Massivs“ (6408-308)
  • Externe Ausgleichsmaßnahmen: Entwicklung von Magergrünland auf Pachtflächen des Vorhabenträgers als multifunktionale Maßnahme zur Abwendung eines Biodiversitätsschadens (FFH-LRT-Entwicklung) und zum Ausgleich des Bilanzdefizites n. der Eingriffsregelung

• 1 Stellungnahme von Behörden und sonstigen Trägern öffentlicher Belange mit Umweltbezug, betreffend folgende Themen: Umfang und Detaillierungsgrad des Umweltberichtes; FFH-Lebensraum; artenschutzrechtliche Relevanzprüfung; Ausgleich gem. Eingriffsregelung und Funktionalausgleich; Pflanzmaßnahmen; Landschaftsplan; Gewässerschutz; Bodenschutz; Altlasten; Ausführung naturschutzrechtlicher Ausgleichsmaßnahmen.

Der Inhalt der ortsüblichen Bekanntmachung nach § 3 Abs. 2 Satz 2 BauGB und die nach § 3 Abs. 2 Satz 1 BauGB auszulegenden Unterlagen sind zusätzlich zum Internetportal der Gemeinde Nohfelden (https://www.nohfelden.de/rathaus-service/) auch über das zentrale Internetportal des Landes (https://www.uvp-verbund.de/kartendienste) elektronisch abrufbar.

Während der Auslegungsfrist können von jedermann Stellungnahmen schriftlich, zur Niederschrift oder elektronisch per Mail an die E-Mail-Adresse: info@nohfelden.de vorgebracht werden. Nicht fristgerecht abgegebene Stellungnahmen können bei der Beschlussfassung über die Teiländerung des Flächennutzungsplanes unberücksichtigt bleiben, sofern die Gemeinde deren Inhalt nicht kannte und nicht hätte kennen müssen und deren Inhalt für die Rechtmäßigkeit des Bauleitplans nicht von Bedeutung ist.

Es wird darauf hingewiesen, dass eine Vereinigung im Sinne des § 4 Abs. 3 S. 1 Nr. 2 des Umwelt-Rechtsbehelfsgesetzes (UmwRG) in einem Rechtsbehelfsverfahren nach § 7 Abs. 2 des UmwRG gemäß § 7 Abs. 3 S. 1 des UmwRG mit allen Einwendungen ausgeschlossen ist, die im Rahmen der Auslegungsfrist nicht oder nicht rechtzeitig geltend gemacht wurden, aber hätte geltend machen werden können.

Hinweise zum Datenschutz

Die Verarbeitung personenbezogener Daten erfolgt auf Grundlage des § 3 BauGB in Verbindung mit Art. 6 Abs. 1 Buchst. e DSGVO und dem Saarländisches Datenschutzgesetz. Sofern Sie ihre Stellungnahme ohne Absenderangaben abgeben, erhalten Sie keine Mitteilung über das Ergebnis der Prüfung.

Weitere Informationen entnehmen Sie bitte dem Formblatt: Informationspflichten bei der Erhebung von Daten im Rahmen der Öffentlichkeitsbeteiligung nach BauGB (Art. 13 DSGVO), welches mit ausliegt.

Auch wird ausdrücklich darauf hingewiesen, dass ein Flächennutzungsplan-/Bebauungsplanverfahren ein öffentliches Verfahren ist und daher in der Regel alle dazu eingehenden Stellungnahmen in öffentlichen Sitzungen beraten und entschieden werden. Soll eine Stellungnahme nur anonym behandelt werden, ist dies auf derselben eindeutig zu vermerken.

Nohfelden, den 5. Oktober 2022
gez.
Andreas Veit
-Bürgermeister-

Lageplan, ohne Maßstab

Geltungsbereich des Bebauungsplans und der Teiländerung des Flächennutzungsplanes „Zur Langedellwiese (Projekt ProWAL)“ in der Gemeinde Nohfelden, Ortsteil Walhausen

Quelle und Stand Katastergrundlage: LVGL, 07.09.2018; Bearbeitung: Kernplan; Stand: 16.08.2022